- 방파제 조황을 올리는 게시판입니다. - 제목에 특수문자 사용하시면 안됩니다. (온점, 쉼표, 느낌표, 괄호, 물결만 허용) ☆ 공지사항에 조황등재시 유의사항을 꼭 확인하여 조황작성 부탁드리며, 가장 기본적인 규칙이 지켜지지 않을 시, 예고없이 삭제 및 이용정지 될 수 있음을 알려드립니다. |
![]() |
|
![]() |
![]() |
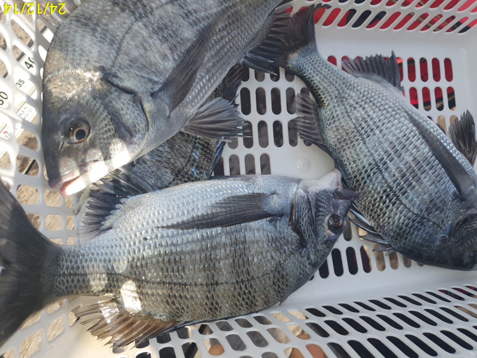
일요일 오늘은 나쁜 바다상황으로
출조를 하지 않았습니다
사진은 어제 조황입니다
어제도 바다상황이 좋지못한 상황이라
개인 출조하실 조우님들은 다음을 기약하며
출조를 미루었고
단체 정출팀은 출조를 강행하신다 하여
단체팀 출조만 다녀왔습니다
탱크급 들 여러마리 터트림도 있었고
최대어 47외 마리수는 60수정도 엄청나와
정확한카운터가 불가할 정도 였습니다
낚시란게 늘 그렇듯 조황이 좋은날도 있고
꼴방에 가까운 날도있고 찐하게 손맛 즐기신
분들이 계신반면 아쉬움으로 복귀하시는
출조하신분들 매일전원 손맛 보실수 있는
그날을위하 더 노력 하겠습니다
요즘 욕지권은 감성돔,참돔,뱅에돔,뺀찌등~
모든 어종이 풍성하게 나오는 시기입니다
모든어종들의 활성도가 좋아 꼭 원하시는
대상어가 아니더라도 4대 돔들로 손맛 즐기시는데
아무런 어려움이 없는 시기입니다
1년중 가장핫한 시기입니다
잡어도 아직 많을때이니 대체미끼는 필히
준비하셔야 됩니다
특히 살아있는 게미끼가 특효이니 참고 하세요
파워피싱 아일랜드호는 계류장 사무실앞에
넓직한 전용주차장이있어 주장걱정 않으셔도 됩니다
주요출조지는 욕지권전역이며 상황에따라
사량도,나무여,추도,두미도,갈도,좌사리도 도
출조합니다
선비
사량도,추도 4만원
나무여 5만원
두미,욕지권(연화,초도) 6만원
좌시리도 6.5만원
갈도 7만원
지금시기는 대부분 어종들이 바닥층보다는
약간 떠서 무는 경향이 많으니 참고 하세요
반유동 보다는 전유동이 마리수 조과가 있습니다
출조하신 조우님들 수고 많으셨습니다
예약 하실때 대상어종만 말씀해주시면 어종에
맞는 최고의 포인트로 최대한 손맛 즐기실수있게
모셔드릴것을 약속드립니다
새벽녘은 제법쌀쌀합니다
추위 대비 하셔야 됩니다
파워피싱아일랜드호는
선장이기 이전에 낚시인의 마음으로
조우님들의 출조길이 즐거워지실수 있도록
출조하신 조우님 한분 한분 최선으로
선장이 피곤해져야 조우님들이 즐거워진다는
마인드로 모시겠습니다
출조,철수시에 선실내 냉,난방기 가동됩니다
선박후미에 시원한음료와 라면등간단한 간식거리
준비되어있습니다
예약,출조문의는 010 8517 1782
네비주소
통영시 산양읍 산양일주로 1429-17
파워피싱아일랜드호 밴드로 초대합니다
|
|
|
|

















