- 방파제 조황을 올리는 게시판입니다. - 제목에 특수문자 사용하시면 안됩니다. (온점, 쉼표, 느낌표, 괄호, 물결만 허용) ☆ 공지사항에 조황등재시 유의사항을 꼭 확인하여 조황작성 부탁드리며, 가장 기본적인 규칙이 지켜지지 않을 시, 예고없이 삭제 및 이용정지 될 수 있음을 알려드립니다. |
![]() |
|
![]() |
![]() |
안녕하세요. 감포 동경주낚시입니다
2024년 5월 6일 월요일 감포 바다날씨입니다.
아침바다는 물색이 좋고 파도가 높으며 남서풍이 다소 불고 구름많은 아침
입니다. 오늘은 구름있는 날씨에 남~남서풍이 세게 불고 파도는 높게 있겠
습니다.
현재 감포바다는 풍랑 주의보가 발효중이고 오늘 늦은 오후에 해제되겠습니
다.외항권 방파제,갯바위등에는 파도가 높아 낚시가 어려운 상태입니다.
어제는 약한비가 종일 오락가락했고 남동풍이 다소 불면서 파도가 제법 높게
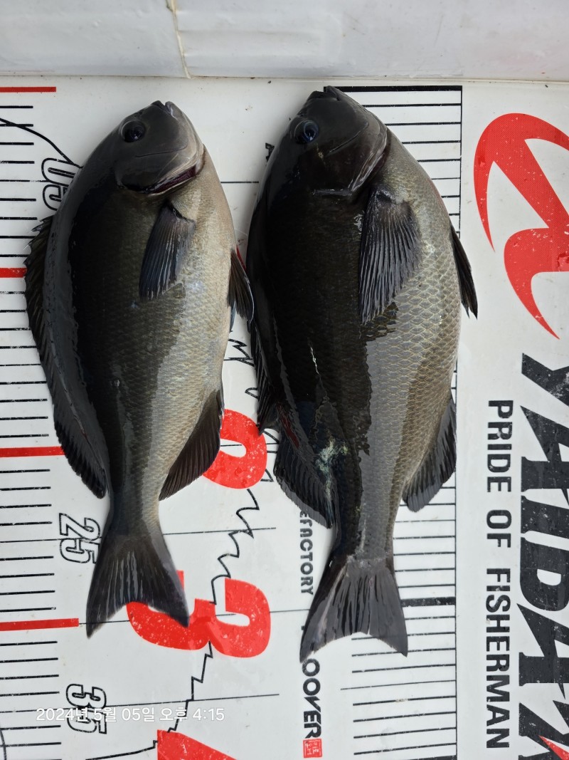
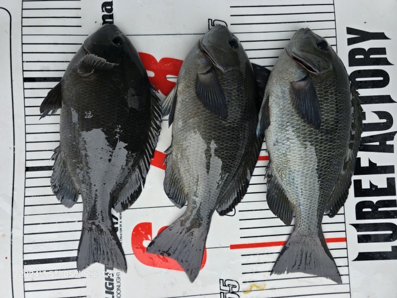
들어와 낚시여건이 좋지 못했습니다.기상은 좋지 못했으나 벵에돔은 활성도가
괜찮아 상층권까지 많이 부상했습니다.중치급은 마리수 조황이 있었고 씨알급
도 입질 빈도가 잦았으며 터트림도 좀 있는 하루였습니다.
갑오징어는 조황이 꾸준하나 마리수는 많지 않습니다.최근에는 삼봉채비에 반
응이 좋습니다.
어제는 파도가 일렁이면서 농어가 제법 많이 들어왔으며 씨알도 괜찮았습니다.
오늘도 안전하고 즐거운 낚시가 되길 바랍니다.
물 때: 5 물 ( 만조 03:48 15:59 간조 09:50 22:42 )
풍향/파 고: 오전 남~남서풍 8~16m ( 1.5~3.5m ) 오후 남~남서풍 8~16m( 1.0~3.5m )
표층수온(1~2m권): 17.2도
네이버 밴드 : https://band.us/@dkj7719922
주 소: 경주시 감포읍 감포리 595-1번지 (감포 복지회관 삼거리에서 포항방향 900M 우측편)
(도로명 주소:경주시 감포읍 동해안로 2228 )
핸드폰: 010-6510-9991
매 장: 054)771-9922
|
|
|
|












