- 방파제 조황을 올리는 게시판입니다. - 제목에 특수문자 사용하시면 안됩니다. (온점, 쉼표, 느낌표, 괄호, 물결만 허용) ☆ 공지사항에 조황등재시 유의사항을 꼭 확인하여 조황작성 부탁드리며, 가장 기본적인 규칙이 지켜지지 않을 시, 예고없이 삭제 및 이용정지 될 수 있음을 알려드립니다. |
![]() |
|
![]() |
![]() |
안녕하세요!!
통영 삼덕항,
비키라 피싱입니다.
삼덕항 뜬방으로
기상 이상이 없으면
계속해서 정상 출조합니다.
많은 관심과 사랑 부탁드립니다.
쓰레기 제발 잘 챙겨주십시요.
(배에그냥던져주시면됩니다)
밑밥친 자리 물청소 꼭 부탁드립니다.
※※※※※※※※※※※※※※※※※※※※※※※
12월9일부터 이벤트 시작!!!

이벤트1차상품수령했습니다.
@@@@@@@@@@@@@@@@@@
1차이벤트 종료
2차이벤트는
12월9일 월욜부터하겠습니다.
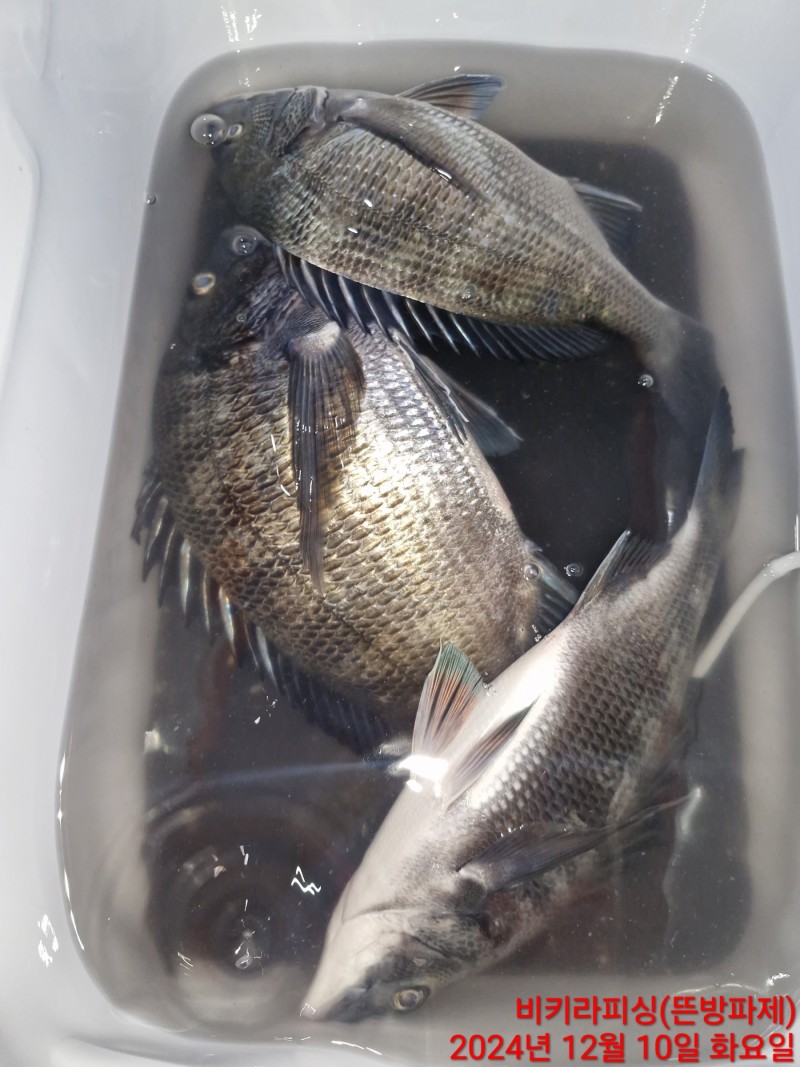
몇마리씩나옵니다.
꼴방이 없습니다.
누구나 다잡는다.
한산한 평일 적극추천.
점점 수온도 떨어지고
큰것들 잘 물어줄때 댓습니다.
뜬방은 그리크게 날씨에 영향
받지않습니다.
확실히 밤에 잘무네요.
벵에돔이 밤이고낮이고
잘무네요.
빵가루 몇개 챙겨오시면
몇마리 잡겠습니다.
아직 수온이 들쑥날쑥하니
애들이 쫌 예민합니다.
챔질 타이밍 잘 잡으셔야됩니다.
통영신신낚시점에서 밑밭을하시던
소품을사시던 1만5천원 하시면됩니다.
감사합니다.
밤낚시에 감시가 큰것들이
뭅니다.
5짜도 나올때 댔습니다.
점점 시즌이 되어 가고있습니다.
터주는게 있습니다.
목줄점검잘하셔야됩니다.
씨알괜찬은 붉바리가 한마리씩 무네요.
확실히 낮보단 밤이 확률이좋습니다.
감시.벵에 같이노려보시죠.
청개비 필숩니다.
점점 수온도 떨어지고 큰것들
움직일때 댓습니다.
현재 뜬방 낮보다는
밤이 고기가 더 잘 됩니다.
밤낚시 적극 추천드립니다.
밑밥친자리 뚜레박으로
물 몇바가지 뿌리고 청소부탁드립니다.
※※※※※※※※※※※※※※※※※※※※※※※
◈ 뜬 방 낚 시 ◈
거리&멀미 걱정 No~!
- 삼덕항에서 5분미만 거리에 위치.
날씨 걱정 No~!
- 웬만한 날씨에도 출항 O.K.
경비 걱정 No~!
※※※※※※※※※※※※※※※※※※※※※※※※※
쾌적한 낚시를 위하여
정원을 15인으로 기준합니다.
원투나 카고낚시는 불가합니다.
머문자리는 깨끗하게 정리해주시고
쓰레기는 절대 버리시면 안됩니다.
밑밥친자리 제발 물청소부탁드립니다.
1박야영은되도.2박3박야영불가입니다!!
(선장이 갯바위 안나갈때는 중간시간
출항.철수 되니 전화로문의를주십시요)
※※※※※※※※※※※※※※※※※※※※※※※※※

비키라는 내일도 대물 찾아
정상 출항하오니
편하게 문의해주세요~
늦은 시간이라도 문자보다는
전화로 꼭 문의해주십시오~
비키라는 한 두 분이라도
최대한 출항하고자 합니다.
24시간 언제라도
편하게 문의해주십시오^^
※※※※※※※※※※※※※※※※※※※※※※※
기타 궁금하신 점이 있으시면
전화 주십시오.
↓↓24시간 핫라인↓↓
010-9250-4039
안전하고 즐거운 낚시를 추구하는
비키라 피싱이 되겠습니다.
감사합니다.
[ 네 비 주 소 ]
|
|
|
|



















