- 방파제 조황을 올리는 게시판입니다. - 제목에 특수문자 사용하시면 안됩니다. (온점, 쉼표, 느낌표, 괄호, 물결만 허용) ☆ 공지사항에 조황등재시 유의사항을 꼭 확인하여 조황작성 부탁드리며, 가장 기본적인 규칙이 지켜지지 않을 시, 예고없이 삭제 및 이용정지 될 수 있음을 알려드립니다. |
![]() |
|
![]() |
![]() |
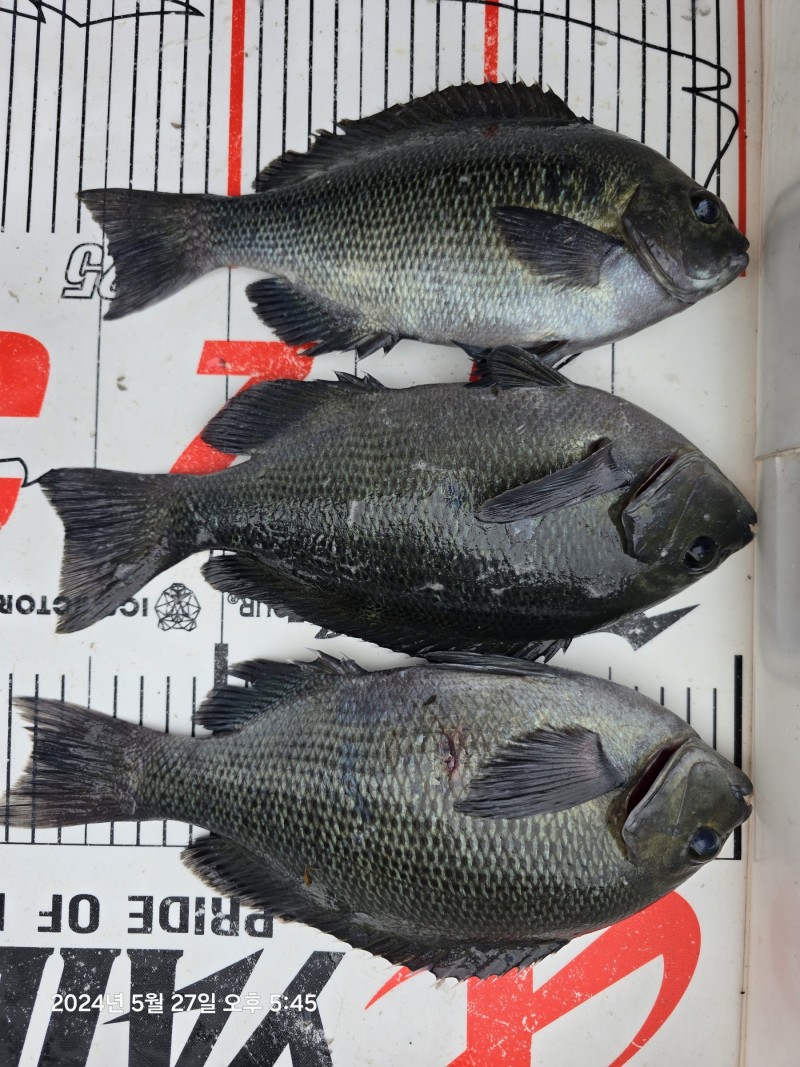
안녕하세요. 감포 동경주낚시입니다
2024년 5월 28일 화요일 감포 바다날씨입니다.
아침바다는 물색이 맑고 파도가 잔잔하며 북동풍이 약하게 불고 구름
있는 아침입니다. 오늘은 대체로 맑은 날씨에 북~북동풍이 세게 불고
파도는 오후에 높아지겠습니다.
현재 감포바다는 북동풍이 약하고 파도도 잔잔하여 낚시여건이 좋으나
점차 바람이 세게 불고 파도도 높아져 낚시여건이 오후에는 낚시여건이
좋지 않을듯합니다.
어제는 오전에 남풍이 세게 불어 많이 불편했고 오후에는 바람이 약해져
낚시여건이 무난했습니다.벵에돔은 수온이 좀 떨어져 활성도가 좋지는 못
했고 마리수도 조금 떨어졌습니다.
어제 갑오징어는 전반적으로 부진했고 낱마리였습니다.원투낚시에 성대
도 마리수가 많지 않았습니다.
오늘도 안전하고 즐거운 낚시가 되길 바랍니다.
물 때: 13 물 ( 만조 19:01 간조 03:10 )
풍향/파 고: 오전 북~북동풍 10~15m ( 1.0~3.0m ) 오후 북~북풍 10~15m( 1.0~3.0m )
표층수온(1~2m권): 16.8도
네이버 밴드 : https://band.us/@dkj7719922
주 소: 경주시 감포읍 감포리 595-1번지 (감포 복지회관 삼거리에서 포항방향 900M 우측편)
(도로명 주소:경주시 감포읍 동해안로 2228 )
핸드폰: 010-6510-9991
매 장: 054)771-9922
|
|
|
|











