- 방파제 조황을 올리는 게시판입니다. - 제목에 특수문자 사용하시면 안됩니다. (온점, 쉼표, 느낌표, 괄호, 물결만 허용) ☆ 공지사항에 조황등재시 유의사항을 꼭 확인하여 조황작성 부탁드리며, 가장 기본적인 규칙이 지켜지지 않을 시, 예고없이 삭제 및 이용정지 될 수 있음을 알려드립니다. |
![]() |
|
![]() |
![]() |
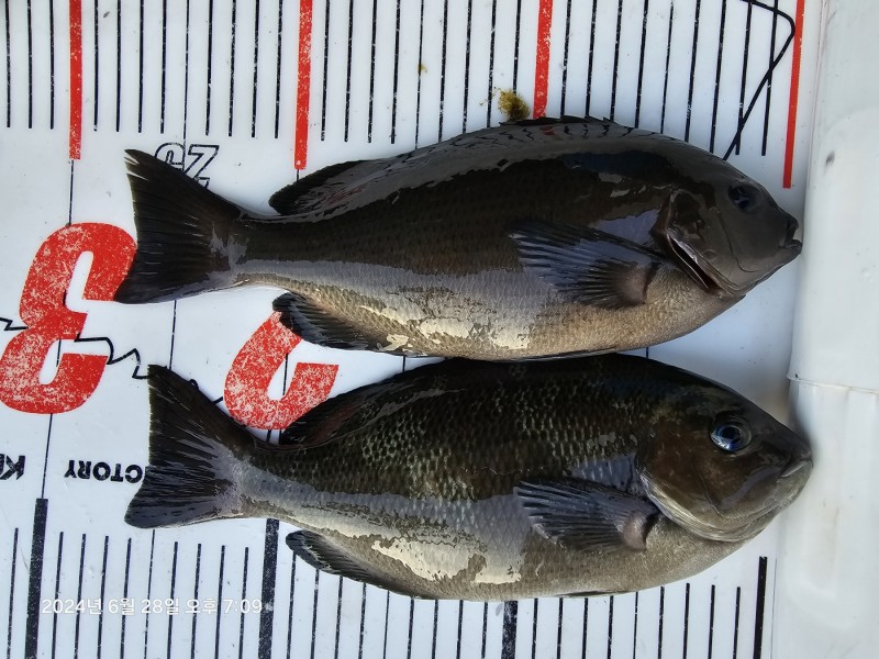
안녕하세요.감포 동경주낚시입니다.
2024년 6월 29일 토요일 감포 바다날씨입니다.
아침바다는 물색이 맑고 파도가 잔잔하며 바람없이 맑은 아침입니다.
오늘은 맑다가 저녁부터 비가오고 남동 ~ 남풍이 약하게 불다 저녁부
터 점차 강하게 불고 파도는 약간 있겠습니다.
현재 감포바다는 바람없이 파도도 잔잔하여 낚시여건이 좋은 상태입니
다.저녁부터 바람이 강해지고 비도오면서 바다기상이 좋지 않겠고 일요
일에도 종일 비가오고 바람도 강하게 불면서 바다기상이 나쁘겠습니다.
어제도 낮에는 남풍이 불면서 낚시여건이 좀 불편했으나 크게 어렵지는
않았습니다.벵에돔은 수온이 조금 오르면서 잔씨알,씨알급이 중상층권까
지 몇차례 부상하였고 다소간 입질이 있었습니다. 입질상태는 아직은 좀
예민한 상태이며 크릴,빵가루에 골고루 반응했습니다.
원투낚시에 성대조황은 꾸준하며 보리멸,도다리는 낱마리입니다.야간 전
갱이는 씨알이 괜찮으며 해거름부터 초저녁이 좋습니다.
방파제,갯바위권에 농어는 씨알이 좋으며 연안 가까이 붙은 상태입니다.
갑오징어는 대체로 씨알이 크지 않으며 낱마리 조과가 있습니다.
오늘도 안전하고 즐거운 낚시가 되길 바랍니다.
물때 : 1 물 ( 만조 12:20 23:18 간조 05:25 17:56 )
풍향/파고: 오전 남동~남풍 4~8m(0.5~1.0m) 오후 남동~남풍 5~10m(0.5~2.0m)
푲등수온(1~2m권): 17.6도
네이버 밴드 : https://band.us/@dkj7719922
주소:경주시 감포읍 동해안로 2228(구주소:경주시 가포읍 감포리 595-1번지)
(감포 복지회관 삼거리에서 포항방향 900m 우측편)
핸드폰:010-6510-9991
매 장:054)771-9922
|
|
|
|










