
안녕하세요~
미래호(통영 미래낚시)입니다.
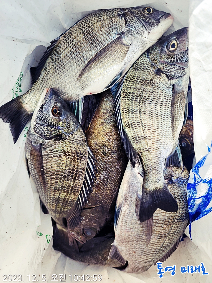
어제출조하신 조사님들의 삼덕항 뜬 방파제
감성돔 조황으로 인사 드립니다.
좋은 기상속에 즐낚하실수 있었고
4짜 감성돔 포함 마릿수 감성돔으로
손맛보신 조사님도 있었습니다.
오늘은 저녁부터 강한바람이 예보되어 있어
하루쉬어가고 기상이 좋아지는 내일부터
정상출항 하오니 참고하시기 바랍니다.
잡어가 조금 있으니 출조시
경단,옥수수,혼무시등 대체미끼는
필수이니 이점 참고하시기 바랍니다.
어제 미래호를 찾아주신 조사님들께 진심으로
감사드리며 미래호는 아래 일정대로 계속해서
정상출항 하오니 출조계획 있으신 조사님들은
언제든지 문의 바랍니다.
※ 삼덕항 뜬방 출조안내 ※
매일 : 1항차 06시 ~ 07시
2항차 16시 ~ 17시
# 위 출조시간은 기본 정기출항 시간이며
계절이나 선장 출조 스케줄에 따라 출조시간이
변경될수 있으니 사전에 필히 선장과 통화후
출조시간을 예약하시기 바랍니다.
**********************************
※ 뜬방파제 출조의 장점 ※
-. 날씨의 영향을 거의 받지않고
주,야간..즐낚하실수 있습니다.
-. 삼덕항에서 최단거리(5분거리)위치하여
남녀노소 누구나 배멀미 걱정이 전혀 없습니다.
-. 저렴한 경비로서
바다낚시를 즐길수가 있습니다.
-. 가을,겨울엔 대물감성돔을...
봄,여름엔 마릿수 벵에돔 등...
계절에 따라서
다양한 어종들을 접할수가 있습니다.
-. 석축방파제이지만,
상단은 시멘트포장이므로
어느곳보다 안전하게
바다낚시를 즐기실수가 있습니다.
-. 간단한 의자를 준비하시면
신선낚시를 즐길수가 있습니다.
***********************************
※필 독※
철수10분전..쓰레기는
선장에게서 지급받은 종량제봉투에
반드시,철저히,수거하셔야됩니다.