![]() |
|
![]() |
![]() |
영덕권 5짜 감성돔과 벵에돔 마릿수 그리고 최근 동향.....안녕하세요,
FTV 바다 통신원, 피쉬&피플 바다 통신원, 피싱태그 특파원 김진대입니다.
오랜만에 반가운 5짜 감성돔 소식입니다.
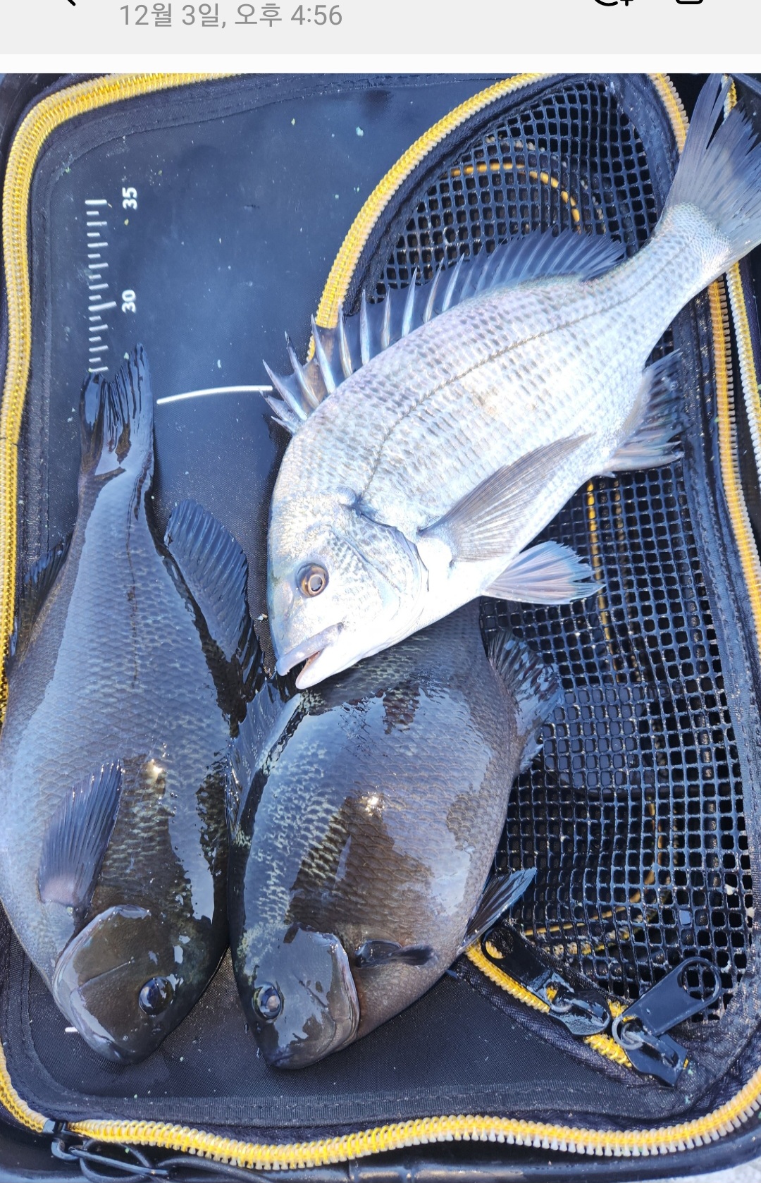
포항에서 오신 밴드회원께서 50cm금 감성돔 소식을 전해주셨으며 흥해에서 오신 밴드회원분과 충북 진천에서 오신 회원분께서도 씨알좋은 벵에돔과 감성돔 소식을 전해주셨습니다. 올해는 예년에 비해 30cm 전후부터 대물 감성돔까지 감성돔 소식이 자주 들리고 있어 꾼들을 흥분케하네요.
벵에돔 낚시 도중 씨알좋은 감성돔이 올라 오기도 하며 감성돔이 주춤하면 30cm를 훌쩍 넘어가는 벵에돔이 손맛을 대신 하기도 ㅎㅎ
벵에돔 탐사차 몇몇 밴드회원분들께서 벵에돔 출조를 나가시어 벵에돔은 낱마리로 확인할수 있었으며
대신 벵에돔 채비에 감성돔 손맛을......
올해는 예년과 달리 감성돔 개체수가 제법 들어온듯 보여지오니 참고하시기 바랍니다.
다들 수고 많으셨고 감사합니다.^~^
벵에돔은 찌의 선택과 밑채비의 각, 목줄의 굵기와 바늘 무게, 미끼의 하강속도에 따라 조과 차이가 많이 나고 있으니
섬세한 채비구성과 운영에 좀 더 신경을.......
최근 벵에돔 씨알은 25~35cm급으로 중치급~씨알급까지 다양하게 모습을 보이고 있으니 참고하시기 바랍니다.
###### 네이버 밴드운영 : https://band.us/@21cfishing ( 영덕 21세기 바다낚시 ) ######
■■■■■ 벵에돔, 학꽁치, 전어등 예민한 대상어종을 위한 "벵에돔 기" 막대찌(벵기찌)가 출시 되었습니다. ■■■■■
▶▶▶▶▶ 벵에돔 저승사자 ***일명 파란소세지*** @ 벵에짱 @ 준비되어 있습니다. ◀◀◀◀
◆◆◆◆◆ 벵에돔 낚시는 개개인의 채비구성과 밑밥운영, 미끼에 따라 조과차이가 많이나고 있습니다.
궁금하신 조사님께서는 샾을 방문해 주시면 보다 자세히 알려드리겠습니다.◆◆◆◆◆
######## 국산 최고 품질의 특A급 크릴을 동해안 최저 가격으로 준비했으니 많은 이용 바랍니다.########
★★★★★ 동해안 최고의 구색을 자랑하는 브리덴 , 다이와 스테이 에기가 구비되어 있으며
야마시타 에기(4+1) 할인행사 하오니 많은 이용 부탁드립니다. ★★★★★
●●● 화신 키리 오동목 에기가 입점되어 있습니다. ●●●
@@@@@최근 상주~영덕간 고속도로 개통으로 많은 조사님들께서 영덕을 찾아주시고계시네요.
청정지역 영덕바다의 매력에 푹 빠질수 있도록 수십년간의 경험을 살려 모든 조사님들이
손맛 보실수 있도록 최선을 다하겠습니다.(영덕 IC에서 8분거리에 위치하고 있습니다.) @@@@@
****** 본점에서는 그날의 파도, 물색, 바람의 방향과 세기에 따라 20여년간의 경험으로
확률 높은 포인트를 추천해 드리고 있습니다.******
###### 홍개비, 혼무시 준비되어 있습니다. ######
♡♡♡ ♡♡ 해진 빵가루. 해진 감성돔 파우더 전문 취급점입니다.♡♡♡♡♡
**** 나만의 수제찌 전문 취급점입니다. ****
조황문의는......제발 휴대폰으로 문의 주세요
(유선은 바쁜 관계로 받기 힘듭니다.)
010-3528-4581
네비주소 : 경북 영덕군 남정면 동해대로 4078 번지 (장사~강구 중간지점)
(7번국도 도로변 이마트 24 편의점 같은 마당에 위치하고 있습니다.)
|
|
|
|









