영덕권 벵에돔 마릿수와 무늬 오징어 마릿수 조황입니다.안녕하세요,
FTV 바다 통신원, 피쉬&피플 바다 통신원, 피싱태그 특파원 김진대입니다.
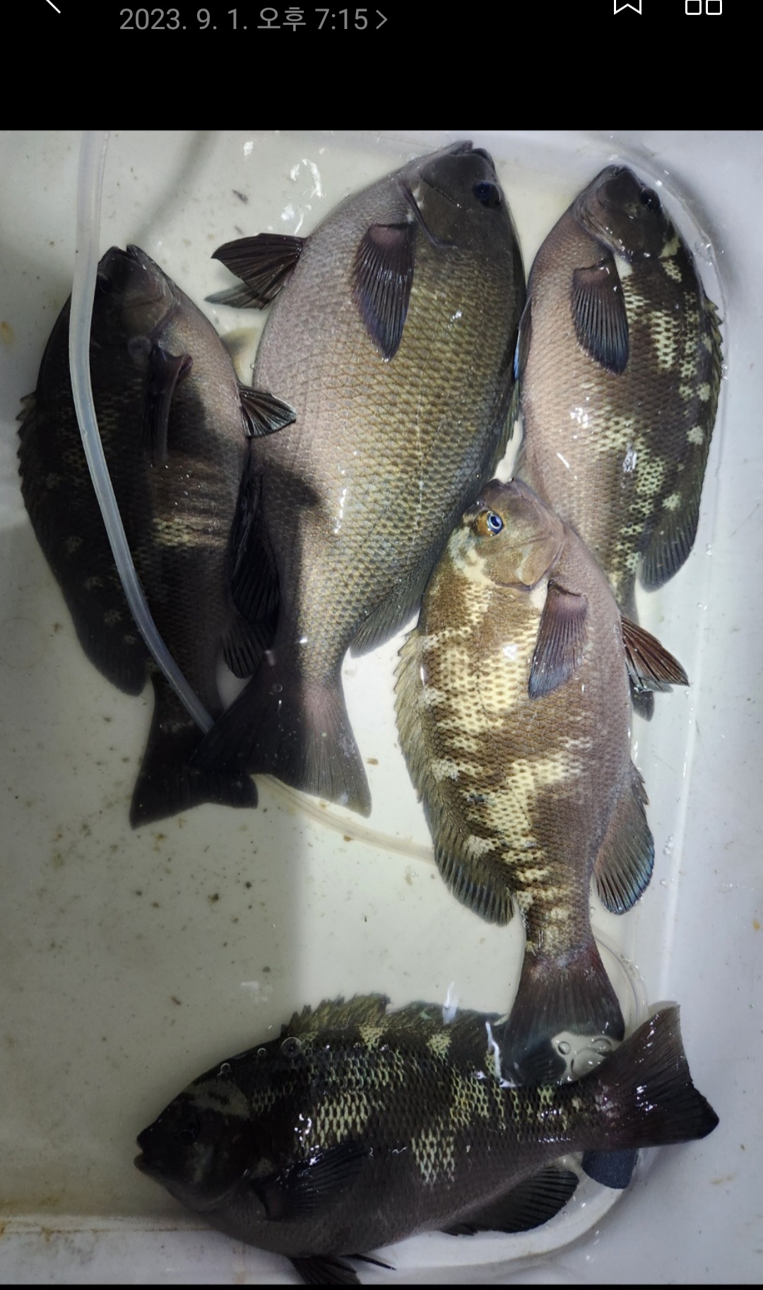
최근 무더운 날씨속에 밴드회원분들께서 나가시더니 25~32cm급으로 마릿수 벵에돔 손맛을 보셨네요.
입질이 매우 예민하여 최근 출시한 "벵에돔 기" (벵기찌) 막대찌로 초장타 낚시가 위력을 발휘하고 있네요.
씨알은 25~32cm급으로 마릿수 소식이 들렸으며 표층 수온이 26도 정도의 고수온이 유지되고 있어 잔씨알의 얘기 벵에돔이
극성을 부리고 있으니 참고하시기 바랍니다.
전체적으로 표층까지 부싱하는 잔씨알을 피해 내리니 씨알좋은 벵에돔 손맛을 볼수 있었습니다.
또 어떤 포인트는 벵에돔이 부상은 하였지만 매우 약은 입질을 보이기도 하였습니다.
참고로 최근 영덕권은 작년과 많이 다른 패턴을 보이고 있네요.
포인트별 유리한 공략시간과 채비가 포인트마다 많은 차이를 보이고 잇으니 참고하시길.....
그리고 무늬 오징어가 본격적으로 마릿수 소식이 들리기 시작했습니다.
올해는 예년과 달리 시즌 초반부터 고구마급 사이즈가 자주 모습을 보이고 있으며
포인트별 편차가 하루하루 틀리니 이점 참고하시기 바랍니다.
다들 수고 많으셨고 감사합니다.^~^
시즌 초반 찌의 선택과 밑채비의 각, 목줄의 굵기와 바늘 무게, 미끼의 하강속도에 따라 조과 차이가 많이 나고 있으니
섬세한 채비구성과 운영에 좀 더 신경을.......
최근 벵에돔 씨알은 25~35cm급으로 중치급~씨알급까지 다양하게 모습을 보이고 있으니 참고하시기 바랍니다.
###### 네이버 밴드운영 : https://band.us/@21cfishing ( 영덕 21세기 바다낚시 ) ######
■■■■■ 벵에돔, 학꽁치, 전어등 예민한 대상어종을 위한 "벵에돔 기" 막대찌(벵기찌)가 출시 되었습니다. ■■■■■
▶▶▶▶▶ 벵에돔 저승사자 ***일명 파란소세지*** @ 벵에짱 @ 준비되어 있습니다. ◀◀◀◀
◆◆◆◆◆ 벵에돔 낚시는 개개인의 채비구성과 밑밥운영, 미끼에 따라 조과차이가 많이나고 있습니다.
궁금하신 조사님께서는 샾을 방문해 주시면 보다 자세히 알려드리겠습니다.◆◆◆◆◆
######## 국산 최고 품질의 특A급 크릴을 동해안 최저 가격으로 준비했으니 많은 이용 바랍니다.########
★★★★★ 동해안 최고의 구색을 자랑하는 브리덴 , 다이와 스테이 에기가 구비되어 있으며
야마시타 에기(4+1) 할인행사 하오니 많은 이용 부탁드립니다. ★★★★★
●●● 화신 키리 오동목 에기가 입점되어 있습니다. ●●●
@@@@@최근 상주~영덕간 고속도로 개통으로 많은 조사님들께서 영덕을 찾아주시고계시네요.
청정지역 영덕바다의 매력에 푹 빠질수 있도록 수십년간의 경험을 살려 모든 조사님들이
손맛 보실수 있도록 최선을 다하겠습니다.(영덕 IC에서 8분거리에 위치하고 있습니다.) @@@@@
****** 본점에서는 그날의 파도, 물색, 바람의 방향과 세기에 따라 20여년간의 경험으로
확률 높은 포인트를 추천해 드리고 있습니다.******
###### 홍개비, 혼무시 준비되어 있습니다. ######
♡♡♡ ♡♡ 해진 빵가루. 해진 감성돔 파우더 전문 취급점입니다.♡♡♡♡♡
**** 나만의 수제찌 전문 취급점입니다. ****
조황문의는......제발 휴대폰으로 문의 주세요
(유선은 바쁜 관계로 받기 힘듭니다.)
010-3528-4581
네비주소 : 경북 영덕군 남정면 동해대로 4078 번지 (장사~강구 중간지점)
(7번국도 도로변 이마트 24 편의점 같은 마당에 위치하고 있습니다.)