![]() |
![]() |
![]() |
![]() |
안녕하세요. 포항 양포 방파제낚시입니다.
바다는 잔잔하고 물색이 맑으며 서풍이 약하게 부는 맑고 차가운 아침입니다.
현재기온 0도, 표층수온 13.2도, 체감온도 -3도 내외, 습도 40%.
만조시각은 15시 12분( 간조 06시 55분, 20시 13분 ), 물때는 3물입니다.
오늘은 서에서 북서풍이 다소 강하게 불고 맑겠으며 낮 최고 4도 예보입니다.
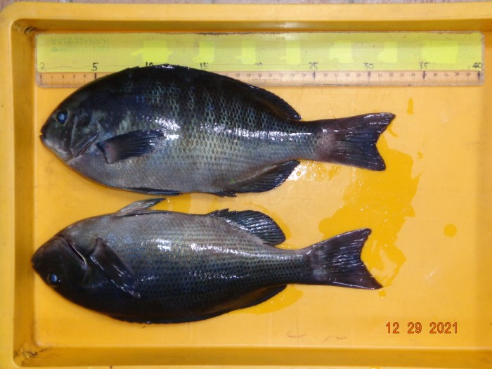
어제는 전반적으로 무난한 낚시 여건이었으나 조황은 부진했습니다.
오후에는 벵에돔이 가끔씩 부상하기도 했지만 미끼에는 관심이 없었네요.
잔씨알 중간씨알 낱마리 조과에 메가리 자리돔 졸복 성화가 심했습니다.
오늘은 차가운 북서풍이 다소 강하게 분다니 낚시가 불편하겠습니다.
현재 < 강풍 & 풍랑주의보 >가 발효중이고 내일도 기상이 나쁘다니 참고하세요.
표층수온이 뚝 떨어져 물고기 움직임이 별로 없을듯...
건강한 하루 보내시고 안전운전 하세요. 감사합니다.
양포 방파제낚시 ; 054 ~ 276 ~ 1324
네비게이션 주소 ; 포항시 남구 장기면 동해안로 3360 ~ 21(신창리 421 ~ 3)
*** 내 쓰레기는 내가 거두어 나옵시다 !!!
|
|
|
|





