![]() |
![]() |
![]() |
![]() |
안녕하세요. 포항 양포 방파제낚시입니다.
바다는 잔잔하고 물색이 맑으며 북서풍이 약하게 부는 맑은 아침입니다.
현재기온 3도, 표층수온 13.2도, 체감온도 0도 내외, 습도 60%.
만조시각은 20시 59분( 간조 13시 32분 ), 물때는 10물입니다.
오늘은 북서에서 북풍이 다소 불고 맑겠으며 낮 최고 13도 예보입니다.
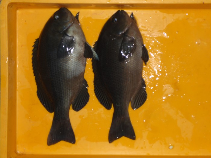
어제는 무난한 낚시 여건이었고 낱마리 벵에돔 조황이 있었습니다.
2m ~ 4m의 중층권에서 입질이 있었는데 매우 약은 입질이라 후킹이 안되네요.
또 위치에 따라 잔씨알 메가리와 졸복 성화가 심해 낱마리 조과에 그쳤습니다.
동절기라 동물성인 홍개비와 크릴 미끼가 보다 효과적입니다.
생활낚시는 여전히 대상어가 없어 출조객도 거의 없네요.
오늘은 오후에 북풍이 다소 불편할 것으로 예상됩니다.
건강한 하루 보내시고 안전운전 안전낚시 하세요. 감사합니다.
양포 방파제낚시 ; 054 ~ 276 ~ 1324
네비게이션 주소 ; 포항시 남구 장기면 동해안로 3360 ~ 21(신창리 421 ~ 3)
*** 내 쓰레기는 내가 거두어 나옵시다 !!!
|
|
|
|





