
※ 한분이라도 예약만 하시면 ※
출항하오니 참고하시기 바랍니다.
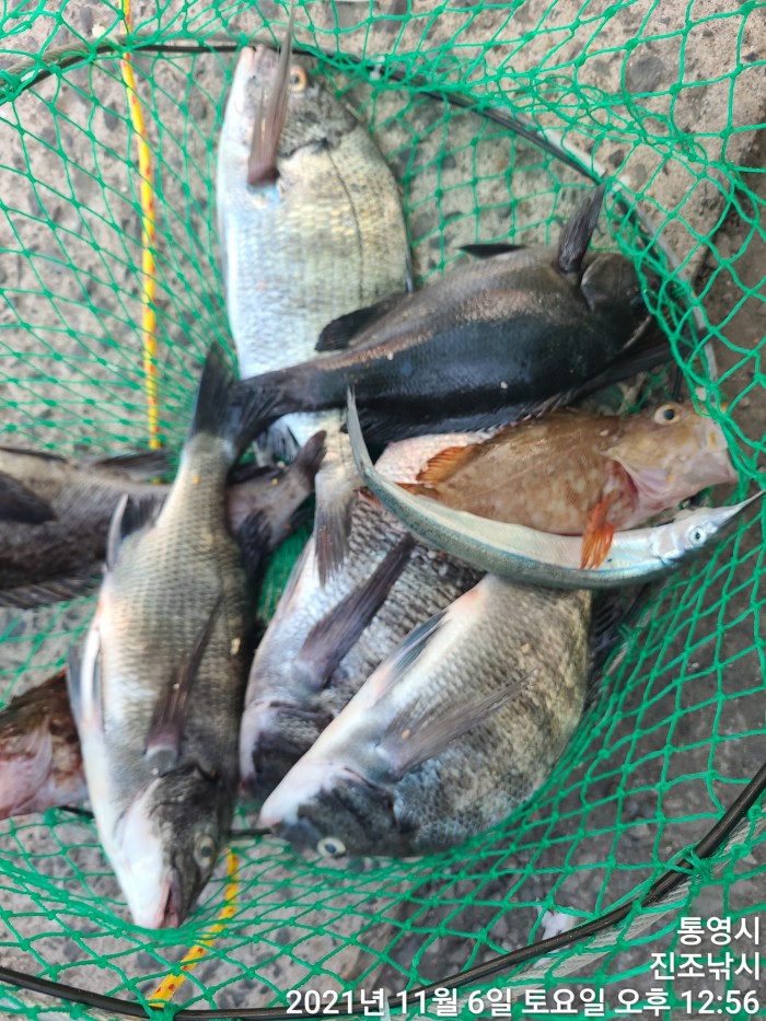
★ 이제 삼덕항 뜬방의 ★
본격적인 가을 감성돔 시즌이 시작되었습니다.
★ 슬슬 감성돔 채비 준비하셔서 ★
들이대 보실만 하겠습니다. ^^
★감성돔 미끼★
경단 / 옥수수 필수!!!
기상만 이상없으면
매일 시간대 출조하오니 참고하시기 바랍니다.
매일 07시 / 17시[야영]
두번 정기출항으로 나가니 참고 하시고,
정기 출조 시간 외 수시출조는 없으며
간단한 텐트, 라면 정도는 가능합니다.
쓰레기 안치우고 오시는 분들은 출입통제 하오니
쓰레기 꼭 챙겨오시기 바랍니다.
코로나가 잦아들줄을 모르고 있습니다.
개인 위생관리 잘 하시고
마스크 필히 착용하시기 바랍니다.
마스크 미착용 시
승선이 안될 수도 있습니다.




다녀가신 조사님들 모두 수고 많으셨습니다~
기상만 이상없으면
매일 시간대 출조하오니 참고하시기 바랍니다.
매일 07시 / 17시[야영]
두번 정기출항으로 나가니 참고하시고
꾸준히 조황보고 드리겠습니다.
간혹, 석축 사이에 쓰레기를 버리시는 분이 계신데
본인만 생각하지 마시고 다음분을 위해
그러한 행위는 삼가해주시기 바라며 청개비는 필수지참입니다.
정기 출조 시간 외 수시출조는 없으며
간단한 텐트, 라면 정도는 가능합니다.
쓰레기 안치우고 오시는 분들은 출입통제 하오니
쓰레기 꼭 챙겨오시기 바랍니다.
전자막대찌 가져오시게 유리하며
미끼는 밤낚시는 청개비,크릴이 갑입니다.
칸칸 불 들어오는 막대찌가 아주 좋습니다.
일반 막대찌 제일 위에 케미 꼽는 타입은
약은 입질을 파악하기가 어렵습니다.
인원 제한이 있기에
미리미리 예약하셔야 하며,
예약은 필수 입니다.
그리고, 필히!!!
쓰레기 내것 남의것 없이 꼭 들고오셔야 합니다.