네임
카드
카드
하동남해청풍피싱
경남 하동군 금남면 미법마을길 49-23 (남해대교 옆 선창)
010-3856-7355
청풍피싱 오늘도 우리배는 대박입니다.
경남 하동군 금남면 미법마을길 49-23 (남해대교 옆 선창)
안녕하세요! 하동남해 신노량 청풍피싱입니다.
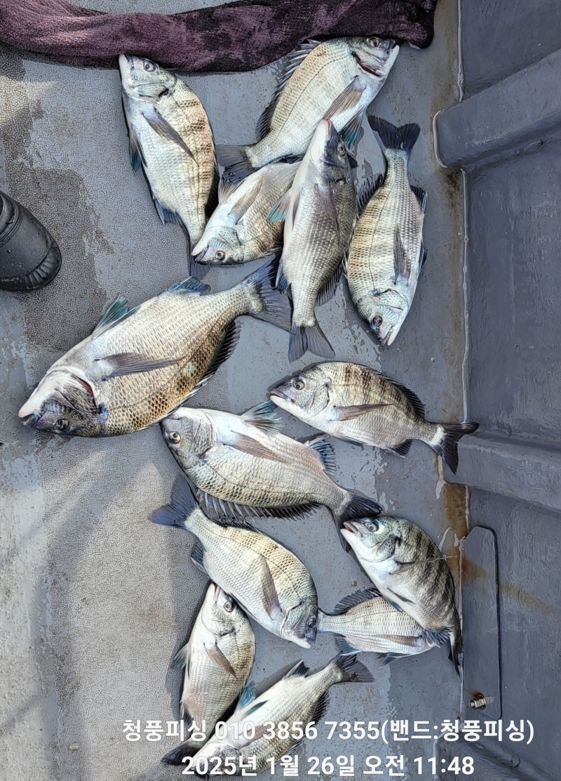
26일 열정 조사님들 모시고 감성돔 체포작전 펼쳤습니다.
27,28 양일 바다가 뒤집어지는 관계로
다 취소결정 내렸습니다.
오전 일찍 포인트 도착해 밑밥 투척하니 따분따분 한마리씩 나오더니 약속의 시간이 다가오자 쏟아지는 입질의 연속이였습니다.








4짜포함하여 많은 중치급 감성돔을 체포했네요.
찐한 손맛보고 힐링낚시 하고 마감 했습니다.
설연휴 예약현황
30일 완료
31일 주간; 자리널널
야간; 완료
2월1일 주간; 완료
야간; 4자리여유
2월2일 주간; 5자리여유
야간; 자리널널
2월달 쭈~~욱 예약 받습니다.
1분이든 2분이든 예약 해 주시면 인원 취합후 3인이상 기상만 허락한다면 계속 출항합니다
선장 010 3856 7355
[밴드 초대]
하동 남해 삼천포 청풍피싱
https://band.us/n/afa4A1nbxdSbA
※청풍피싱 소개 ※
*새로 만든 3톤 새배입니다
(옛날 배 4톤 크기입니다)
*선장포함 9명승선, 사모장 항상 승선합니다
*겨울낚시를 위해 선실에 히터 장착
*수세식 화장실완비 되어 있습니다
하동남해 감성돔 흘림낚시, 하동노량 감성돔 밤낚시, 하동남해 감성돔 낚시, 하동 금남 청풍피싱