네임
카드
카드
하동남해청풍피싱
경남 하동군 금남면 미법마을길 49-23 (남해대교 옆 선창)
010-3856-7355
청풍피싱 흘림낚시 초대박!!!
경남 하동군 금남면 미법마을길 49-23 (남해대교 옆 선창)
안녕하세요! 하동남해 신노량 청풍피싱입니다.
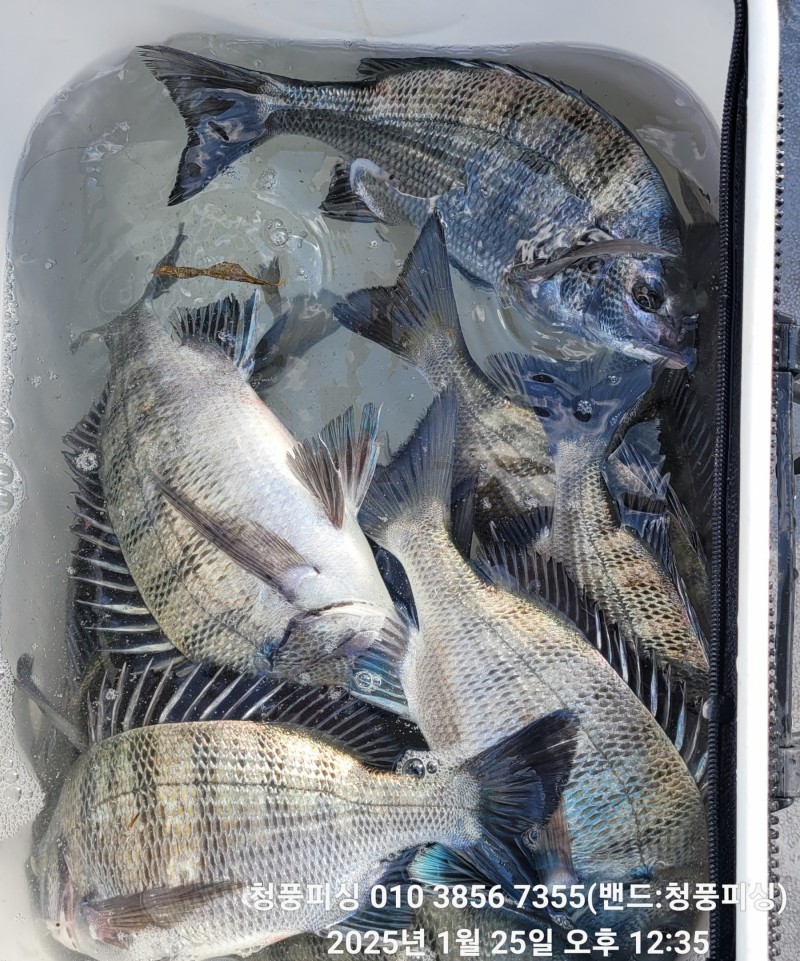
6분의 조사님들 모시고 감성돔 체포작전 펼쳤습니다.
오늘도 우리배는 대박입니다.
설연휴라 바빠서 업로드가 몇일 밀려 버렸네요.




4짜 포함하여 중치급 많은 마릿수를 체포했습니다. 대성공입니다
전원 손맛 보시고 힐링낚시 했습니다.
31일 목 주간 자리널널
2월2일 주간,야간 자리널널
1분이든 2분이든 예약 해 주시면 인원 취합후 3인이상 기상만 허락한다면 계속 출항합니다.
선장 010 3856 7355
[밴드 초대]
하동 남해 삼천포 청풍피싱
https://band.us/n/aba7A5n0P3r7W
※청풍피싱 소개 ※
*새로 만든 3톤 새배입니다
(옛날 배 4톤 크기입니다)
*선장포함 9명승선,사모장 항상 승선합니다.
*겨울낚시를 위해 선실에 히터 장착
*수세식 화장실완비 되어 있습니다
하동남해 감성돔 흘림낚시, 하동노량 감성돔 밤낚시, 하동남해 감성돔 낚시, 하동금남 청풍피싱
|
|
|
|

