(다대포)와라락~부시리 타작 참돔 농어까지~용진호 핫조황(19일 예약)

신상품 소개


회원 랭킹


공지사항


NaverBand
점주/선장 > 선상 + 좌대 조황

(다대포)와라락~부시리 타작 참돔 농어까지~용진호 핫조황(19일 예약)

다대포용진호 0 178
● 출항지 : 부산
밴드 바로가기
13일(일) 다대포 본동 출발, 형제섬,외섬 선상전문 "용진호" (철수)조황입니다.
※ 대물 참돔 포획시, 아지카(AJIKA)라인에서 고급 라인 증정 (용진호 이벤트)

★19일(토요일) 참돔/부시리/방어 형제섬 외섬 "예약가능"
※ 평일 3명 이상, 상시 출조합니다.
※ 용진호는 다대포 본동 출발~본류대 대물 흘림낚시는 역시 "용진호"
부시리떼(다대포) 쏟아집니다~빅사이즈들 합류~
주차는 부두에~바로 승선 가능!낚싯대 채비 대여 가능합니다
  • 사용자가 올린 이미지

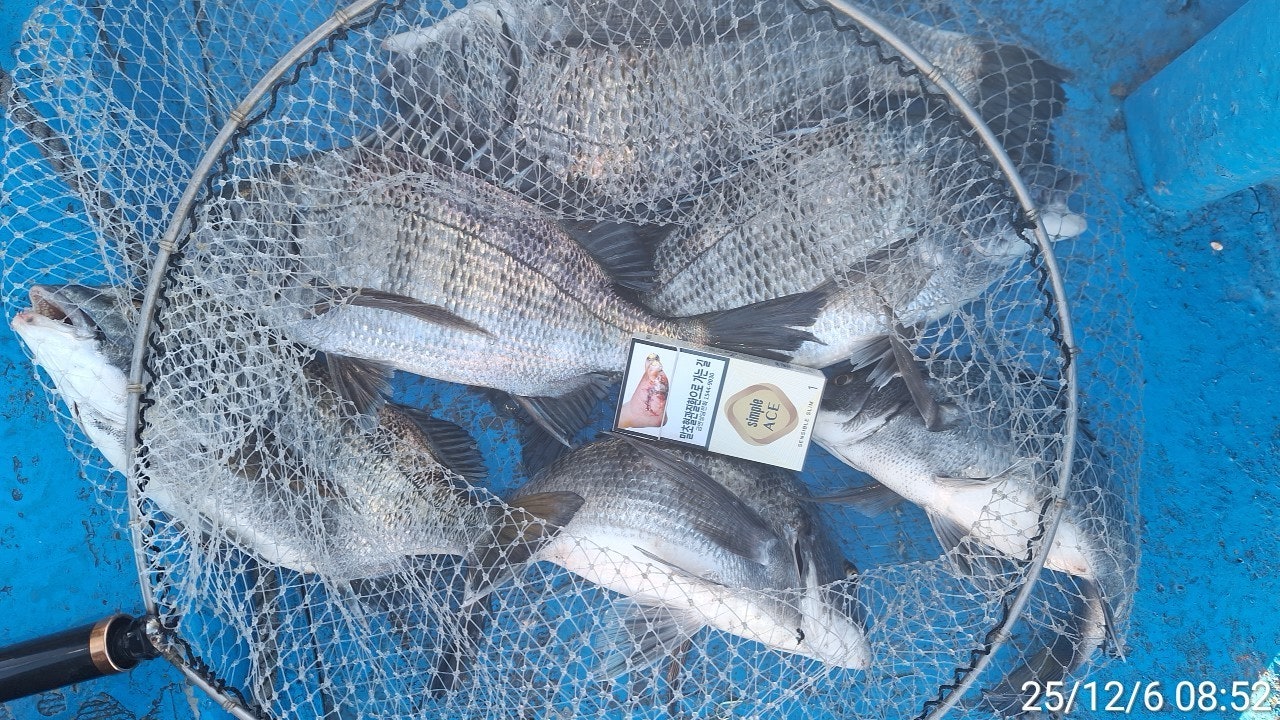
부산 용진호 외섬 형제섬 흘림 낚시 조황입니다.
좋은 물때로 진입한 다대포 물골자리, 오늘도 밑밥이 깔리기 시작하면서
시작된 미사일부대 부시리떼와 방어, 참돔 등이 원줄을 마구 당겼습니다.
몇수 터지고~빠지면서도 완벽한 활성도에 힘입어 많은 마리수 손맛을
볼 수 있었습니다. 당분간 주말까지 좋은 물때 구간이라 호조황이 예상
됩니다.

19일(토요일)부산 최고의 형제섬 외섬 본류 대물 골자리 대물들의
길목으로 진입합니다.
오늘도 용진호를 찾아 주신 조사님 수고 많으셨습니다.
※주차는 부두에 하시고 바로 승선 가능합니다~ 낚싯대 채비 대여도 가능합니다.

▣ 다대포 "용진호" 출조 일정 안내 ▣
※ 평일 3명 이상 상시(다대포 본동에서 출발) 출조합니다.
★19일(토) 참돔/부시리/방어 형제섬 외섬 "예약가능"
★20일(일) 참돔/부시리/방어 형제섬 외섬 "예약가능"
※ 먼바다는 기상상태를 주시하여 상시 출조 일정을 예약 문의 해 주십시요.

▦ 용진호 예약 : ☎ 010-3256-8488
▦ 밴드 https://band.us/@yongjinho
출항지 : 부산 사하구 다대동 680-7번지 용진호 선착장.
  • 사용자가 올린 이미지
  • 사용자가 올린 이미지
  • 사용자가 올린 이미지
  • 사용자가 올린 이미지
  • 사용자가 올린 이미지
▦출조시간 : 오전 04시 출항 ~ 12시 철수(유동적)
- 출조 시간은 최고의 승율을 위해 물때에 따라 유동적일 수 있습니다.
2) 선비 기준 / 12만원
- 밑밥, 미끼, 식사, 음료 제공됩니다.
- 전용 장비 대여 1만원
- 채비 전체 대여 1만원
※ 평일 3명 이상이면 상시 출조합니다.

▦ 선상 참돔/부시리낚시 채비 안내 ▦
1) 낚시대 : 2호 ~ 3호대
2) 릴 : 4000번~5000번
- 원줄 5호, 목줄 4호, 바늘 감성돔바늘 10호~11호 사용
※ 수중찌 -2B, -3B로 조류에 태워 흘리는 낚시입니다.
※채비 장비 각 1만원씩에 대여가능합니다.

▦ 용진호 예약 : ☎ 010-3256-8488
▦ 밴드 https://band.us/@yongjinho
▦ 출항지 : 부산 사하구 다대동 680-7번지 용진호선착장
- 주차는 부두에 하시고 바로 승선 가능합니다~
  • 사용자가 올린 이미지

, , , , , , , , , , , , , , , , , , , , , , , , , , ,

  • 페이스북으로 보내기
  • 트위터로 보내기
  • 구글플러스로 보내기
  • 카카오스토리로 보내기
  • 네이버밴드로 보내기
  • 네이버로 보내기
  • 텀블러로 보내기
  • 핀터레스트로 보내기
0 댓글
포토 제목
 
 

인낚 최신글


인낚 최신댓글


온라인 문의 안내


월~금 : 9:00 ~ 18:00
토/일/공휴일 휴무
점심시간 : 12:00 ~ 13:00