





























안녕하세요 마린호입니다.
기상이 좋지 않아 쉬다가
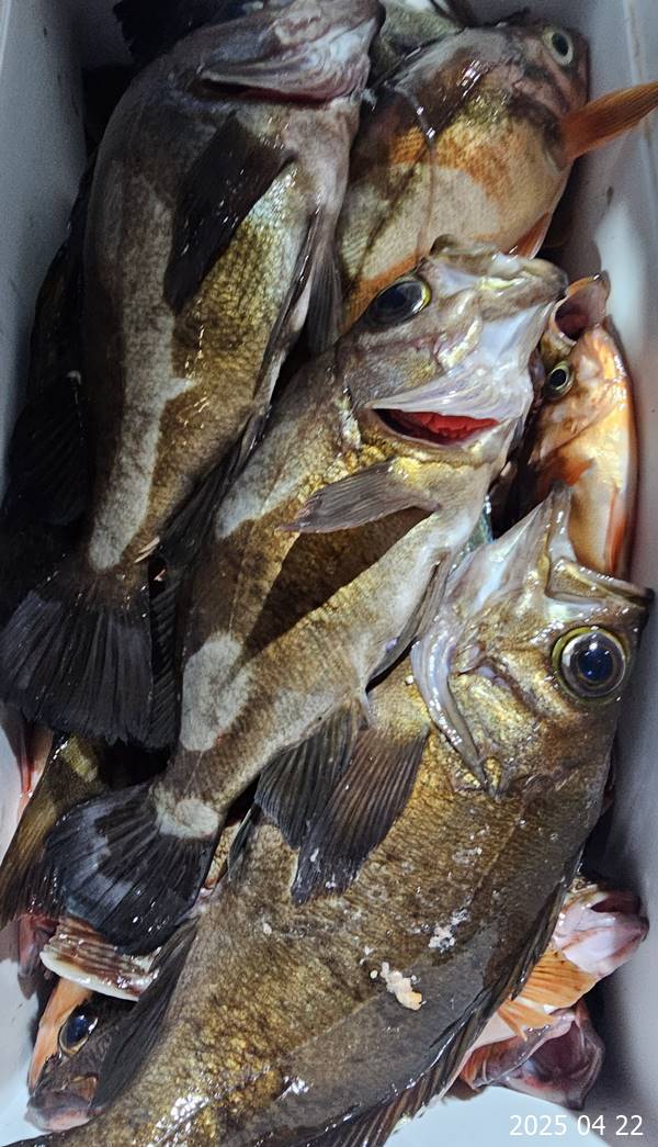
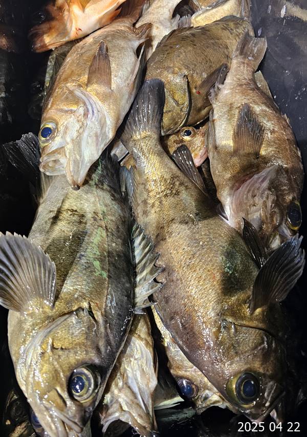
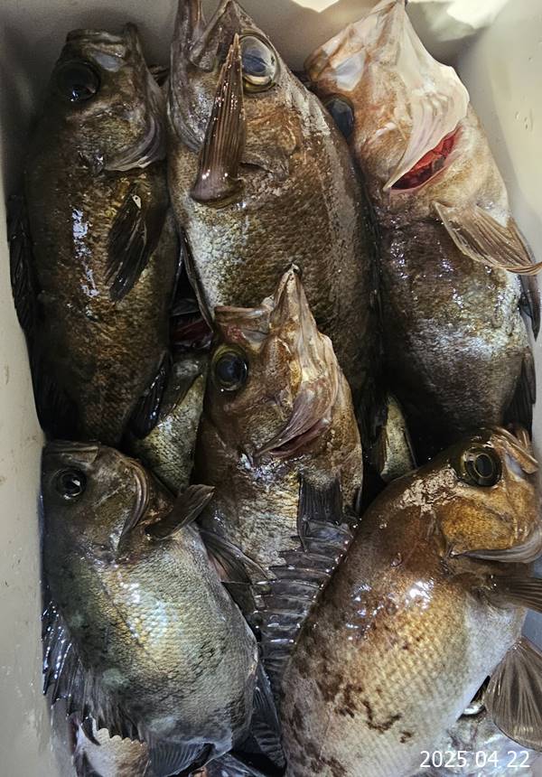
오랜만에 날씨가 좋아 출조를 했는데
씨알 좋은 왕사미 밤볼락들이 많이 나왔습니다.
내일(수)부터 밤볼락 출조합니다.
자리 여유 많습니다.
출조하신 조사님들 수고 많으셨습니다.
찾아주셔서 늘 감사드립니다.
<주의사항>
♦신분증 필수 지참 ♦주류 반입 금지 ♦구명조끼 착용 의무화
<출조 일정>
4/23(수) 밤볼락 출조
4/24(목) 밤볼락 출조
4/25(금) 밤볼락 출조
4/26(토) 밤볼락 출조
4/27(일) 밤볼락 출조
<밴드 초대>
http://band.us/band/94139490/post/4
★예약 담당자(010-8338-0477)
★주소 : 부산시 해운대구 달맞이길 62번길33-1