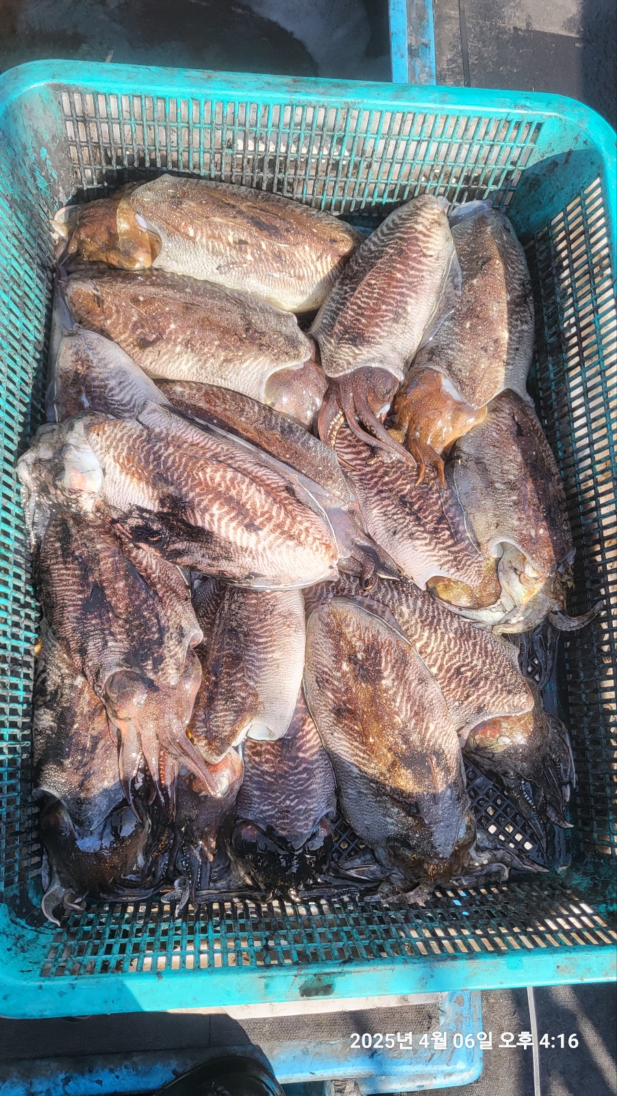
4월6일 제주 그렉스호 갑오징어 조황입니다.

신상품 소개


회원 랭킹


공지사항


NaverBand
점주/선장 > 선상 + 좌대 조황

4월6일 제주 그렉스호 갑오징어 조황입니다.

제주피싱투어 0 44
● 출항지 : 제주

오늘도 먼~ 제주까지 오시느라 고생 많으셨구요,

항상 찾아주셔서 감사합니다.


오늘도 행복한 날 되세요


★ 제주 그렉스호 : 7.31


★ 승선인원 : 11명 (편의를 위해 승선인원은 11명만 승선합니다)


★ 쌍포가능 합니다


★ 문의(예약)전화 : 010-3119-6789


★ 네이버 밴드 : https://band.us/@grex


★ 출조항 : 갑오징어 -> 제주 사계항


★ 그렉스호 예약사이트 : https://www.sunsang24.com/ship/list/?ship_no=1259&sdate



d1de89043f7bc09f6640bad3bd02dc68_1743928026_483.jpg



d1de89043f7bc09f6640bad3bd02dc68_1743928026_7821.jpg



d1de89043f7bc09f6640bad3bd02dc68_1743928027_0914.jpg



d1de89043f7bc09f6640bad3bd02dc68_1743928027_4016.jpg



d1de89043f7bc09f6640bad3bd02dc68_1743928027_7224.jpg



d1de89043f7bc09f6640bad3bd02dc68_1743928027_9967.jpg



d1de89043f7bc09f6640bad3bd02dc68_1743928028_2682.jpg



d1de89043f7bc09f6640bad3bd02dc68_1743928028_5129.jpg



d1de89043f7bc09f6640bad3bd02dc68_1743928028_723.jpg



d1de89043f7bc09f6640bad3bd02dc68_1743928028_9558.jpg



 

, , , , , , ,

  • 페이스북으로 보내기
  • 트위터로 보내기
  • 구글플러스로 보내기
  • 카카오스토리로 보내기
  • 네이버밴드로 보내기
  • 네이버로 보내기
  • 텀블러로 보내기
  • 핀터레스트로 보내기
0 댓글
포토 제목
 
 

인낚 최신글


인낚 최신댓글


온라인 문의 안내


월~금 : 9:00 ~ 18:00
토/일/공휴일 휴무
점심시간 : 12:00 ~ 13:00