감성돔(어초)대물 4방 팅~굵은 5짜 참돔들~젠틀호(27일 예약)

신상품 소개


회원 랭킹


공지사항


NaverBand
점주/선장 > 선상 + 좌대 조황

감성돔(어초)대물 4방 팅~굵은 5짜 참돔들~젠틀호(27일 예약)

거제젠틀호 0 100
● 출항지 : 거제
25일(화) 5물, 거제 최상급포인트 직항 감성돔낚시 "젠틀호"(마감)조황입니다.
(대물시상) 53Cm이상 감성돔 체포시(1일 1名) 아지카 최상급 라인 증정.
★ 빅원이벤트 순금 1돈 골드바+무료승선권 1장 증정.시즌 2.
▣ 순금 1돈+무료승선권 "골드바 시즌2" 주인공에 도전하십시요.▣
https://band.us/band/80672268/post/705

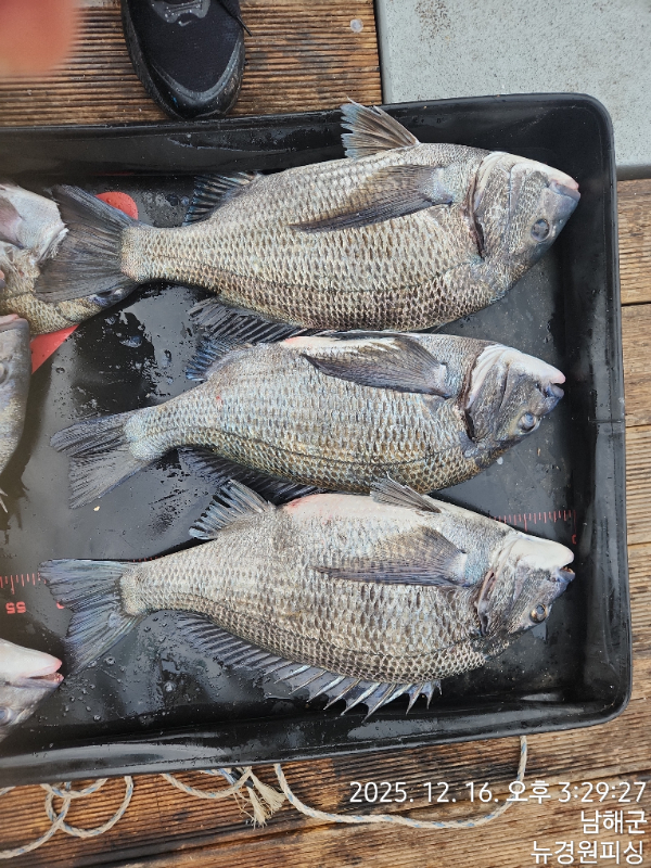
감성돔 4방 터지고~참돔 57Cm외 5짜 5짜 굵은 손맛
27일(목요일) 7물, 거제도권 깊은수심대 진입, 감성돔선상낚시 (05명)"예약접수"
  • 사용자가 올린 이미지

거제도 젠틀호 한선장입니다.
예보보다 강한 바람으로 인해 포인트 제약이 유독 많았습니다. 진입만 하면
승율이 높은 포인트이긴 하지만, 오늘은 바람을 등지는 포인트로 진입해
오라는 감성돔은 보이질 않고, 원줄을 호로록 가져 가는 강력한 입질에
참돔 57Cm외 5짜 5짜 굵은놈들로 손맛보고, 감당이 안되는 4방은 터지는
안타까운 장면을 함께 했습니다. 기상만 좋으면 상시 대물포인트로 진입
하겠습니다.

젠틀호 순금 1돈 골드바+무료승선권 1매~이벤트 시즌 2가 시작됩니다
대물 감성돔 손맛 보시고 골드바에 도전해보십시오!
2월 27일(목요일) 부터 거제도권 대물감성돔낚시 본시즌 핫포인트 직항합니다.
오늘도 젠틀호와 함께해주신 조사님들 수고 많으셨습니다.

▣젠틀호 선비 인상 안내▣
(기존) 출조비 10만원 (조정) 11만원으로 변경됩니다.
선비 인상 후 더욱 승율이 높은 어초 여밭권을 선정하여 진입하고
조사님들 모두 손맛 보실 수 있게 최선을 다하겠습니다.
조사님들께 이해와 양해를 구합니다.

따뜻하게~방한복 및 낚시복 필수!!!
거제도 대물포인트로 굵은 씨알들의 감성돔들이 진입하고
있습니다. 채비 튼튼히 챙기시고, 몇 일전부터 새벽과 낮시간대
기온차가 심해 체온 유지를 위해 낚시복 꼭 챙기시길 바랍니다.

▣ 젠틀호 감성돔/참돔낚시 예약 일정 ▣
27일(목요일) 7물, 거제도 대물포인트 어초여밭(05명) "예약가능"
28일(금요일) 8물, 거제도 대물포인트 어초여밭(04명) "예약가능"
3월 1일(토요일) 예약완료.
3월 2일(일요일) 기상 주시중

▣ 젠틀호 예약문의 ☎ 010-8949-4045
(찾아 오시는 길) 거제시 거제면 서정리 773-14
젠틀호 밴드 : https://band.us/@gentlefishing
  • 사용자가 올린 이미지
  • 사용자가 올린 이미지
  • 사용자가 올린 이미지
  • 사용자가 올린 이미지
  • 사용자가 올린 이미지
  • 사용자가 올린 이미지

▣ 감성돔낚시 & 참돔낚시 ▣
(감성돔) 새벽~14시 전후(유동적) 종일 11만원/독배 평일 70만원 주말 75만원
( 참돔 ) 새벽~14시 전후(유동적) 종일 13만원/독배 75만원
- 밑밥, 미끼, 도시락, 생수, 음료 커피 제공

▣ 젠틀호 공지사항 및 주의 사항
- 예약 문의는 저녁 9시까지 연락 바랍니다
- 선상에서 음주 및 주류 반입은 금지입니다
- 신분증 꼭 지참 및 구명조끼 착용 필수입니다.

젠틀호 예약문의 ☎ 010-8949-4045
(찾아 오시는 길) 거제시 거제면 서정리 773-14
▣ 젠틀호 밴드 : https://band.us/@gentlefishing
입금계좌 (수협) 0010-8949-4045 한성재
  • 사용자가 올린 이미지

, , , , , , , , , , , , , , , , , , , , , , , , , , ,

  • 페이스북으로 보내기
  • 트위터로 보내기
  • 구글플러스로 보내기
  • 카카오스토리로 보내기
  • 네이버밴드로 보내기
  • 네이버로 보내기
  • 텀블러로 보내기
  • 핀터레스트로 보내기
0 댓글
포토 제목
 
 

인낚 최신글


인낚 최신댓글


온라인 문의 안내


월~금 : 9:00 ~ 18:00
토/일/공휴일 휴무
점심시간 : 12:00 ~ 13:00