어초흘림 》 예약가능합니다

신상품 소개


회원 랭킹


공지사항


NaverBand
점주/선장 > 선상 + 좌대 조황

어초흘림 》 예약가능합니다

레전드피쉬 0 84
● 출항지 : 거제 ● 출조지 : 거제
밴드 바로가기


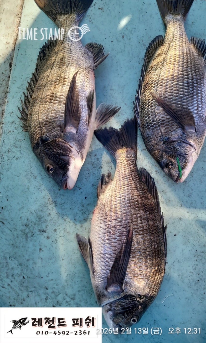
어초흘림》4짜들로 마무리 합니다.

한분 조사님과 어초 여밭에서 손맛 봤습니다.
대물사이즈급들이 원줄까지 끌고가는 입질 받았네요!
연휴간 여유자리 많이 있습니다.

예약 가능합니다.
010 4592 2361


《밴드에 오시면 더욱많은 조황정보가 있으니 가입하기 꼭 눌러주세요》 

밴드 바로가기 : https://band.us/@legendfish


예약문의는 010 4592 2361 

부재시 선장마눌레게노맘 010 2480 2361 



☆☆☆☆☆☆☆☆☆☆☆☆☆☆☆☆☆☆☆☆☆☆☆☆☆



《 감성돔 찌낚시 》

감성돔흘림 : 11만원

*종일낚시: 출항시간기준 8시간 전.후입니다


※독배는 시간 조정 가능합니다.


안전한 운항을 위하여 예약문의는 저녁 9시까지 부탁드립니다!

예약 010 4592 2361




출항지 : 경남 거제시 거제면 산달1길 15-8











  • 페이스북으로 보내기
  • 트위터로 보내기
  • 구글플러스로 보내기
  • 카카오스토리로 보내기
  • 네이버밴드로 보내기
  • 네이버로 보내기
  • 텀블러로 보내기
  • 핀터레스트로 보내기
0 댓글
포토 제목
 
 

인낚 최신글


인낚 최신댓글


온라인 문의 안내


월~금 : 9:00 ~ 18:00
토/일/공휴일 휴무
점심시간 : 12:00 ~ 13:00