카드
전라남도 여수시 국동남7길36 202호
전라남도 여수시 국동남7길36 202호
낚시뚜에서 인낚으로 보내는 자동조황
| |||||||||||||||||||
여수명랑피싱 갈치 출조 출항시간 오후 1시 (자리 추첨 후 즉시 출항) 입항시간 오전 7시 문의 010.3623.4942 010.4623.9300 여수 바다낚시 32년의 베테랑 명랑피싱입니다. 갈치낚시,갯바위낚시,생활낚시 풍부한 조황으로 최선을 다하겠습니다 명랑피싱 사이트 바로가기 http://myrangfishing.com 홈페이지에서 각종 조황정보를 확인 하실 수 있습니다 명랑피싱 갈치 낚시 BAND 초대 명랑피싱 돌문어낚시 BAND 초대 명랑피싱 갯바위낚시 BAND 초대
| |||||||||||||||||||
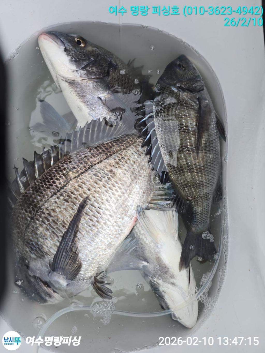
안녕하십니까 여수 명랑피싱호입니다 오늘도 잊지않고 찾아주신 조사님들 모시고 갯바위 낚시 다녀왔습니다 대물감성돔 시즌답게 터지고 바늘빠지고 아쉬움이 많았습니다 그래도 다들열심들하셔셔 조황사진 올려봅니다 수고들 많으셨습니다 귀가길 꼭 안전 들하시고 다음에 또 뵙겠습니다 감사합니다 꾸>>>>벅 | |||||||||||||||||||
![]() ![]() ![]() ![]() ![]() ![]() ![]() ![]() ![]() ![]() ![]() ![]() | |||||||||||||||||||
갈치 출조 오후1시까지 배 선승 명부 작성후 추첨 후에 바로 출항합니다 입항 오전 7시 전후입니다
오시는길 전라남도 여수시 신월동 112-42번지 소경도 선착장
수협 467-62-009326 손철석
문의 자선장(선주) 010.3623.4942
명랑피싱 사이트 바로가기 http://myrangfishing.com 홈페이지에서 각종 조황정보를 확인 하실 수 있습니다
명랑피싱 갈치 낚시 BAND 초대 명랑피싱 돌문어낚시 BAND 초대
명랑피싱 갯바위낚시 BAND 초대
※ 출조 셔틀버스 운행 안내 [출조버스는 따로 예약하셔야 합니다.] - 서울,경기지역 출조버스 [에이스관광] : 010-3236-2329 / 02-2665-2326
-------------------------------------------------- 홍보 및 정보 열람창 여수 명랑피싱호 입니다 < 출 조 문 의 > H.P 010-3623-49042 (부재시 문자남겨 주셔요) 오시는 길 : 전라남도 여수시 신월동 112-42번지(소경도 선착장)
[ 출조 예약 및 문의] H.P 010-3623-4942. H.P 010-4623-9300.
밴드로 놀러 오세요. => band.us/@myoungrangfishing (갯바위밴드) band.us/@myoungrangfishoct (문어.생활낚시 밴드) band.us/@myoungranggalchi (갈치 밴드) 명랑피싱 홈페이지 => http://www.myrangfishing.com(예약확인.예약가능)
승선명부는 선내에서 바로작성합니다
매장 따로 이용하시는곳 없으시면 국동신신낚시 이용 하시면 됩니다 (단, 매주 월요일날은 오전8시에 매장 이용가능합니다)
**** 선입금 계좌 : 수협 467-62-009326 손철석****
선입금계좌 광주은행 손철석*** 1121~023~562170 | |||||||||||||||||||
| |||||||||||||||||||
![]() |
|
|
|
|


















