선외기(감성돔) 大物 5짜 5짜급 연일 체포~대어선외기(11일 예약)

신상품 소개


회원 랭킹


공지사항


NaverBand
점주/선장 > 선상 + 좌대 조황

선외기(감성돔) 大物 5짜 5짜급 연일 체포~대어선외기(11일 예약)

거제대어낚시선외기 0 38
● 출항지 : 거제 ● 출조지 : 거제
선외기 연일 5짜 5짜급들~대형사이즈 소식~
9일(월요일) 거제 대어선외기 대여, 대물 감성돔낚시 (철수)핫조황입니다.
※ 선외기는 면허가 없어도 운전이 가능합니다. 3분교육후, 직접 몰고 가세요.
※ 53Cm이상 감성돔 체포시, 아지카(AJIKA) 공동이벤트, 최상급 원줄 증정.

☆11일(수) 어초여밭 대물 감성돔 흘림낚시"예약가능"
(11일 1물, 간조: 10:03 만조: 03:41 )
▶선상낚시/선외기/단독펜션 운영(가족,초보, 생활낚시는 "거제대어선외기" )
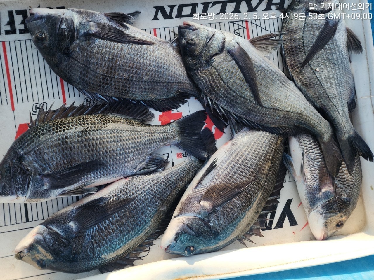
(감성돔) 5짜급 대물~선외기 씨알급들 쏟아지네요~
  • 사용자가 올린 이미지

거제 대어 선외기 조황입니다.
선외기 씨알급 감성돔들이 진입하고 몇 일째 대물 손맛이
이어집니다~ 강한 바람이 지나고 쭉~ 좋은 물때 구간과
기상 조건이 맞춰졌기에 대물의 확률이 상당히 높은 주가
될 듯합니다. 오늘도 5짜급 대물 2수 확인했고, 막강한 파워에
터트린 녀석도 있으니 장비 튼튼히 준비하셔서 기록 갱신
도전해보십시오~ 내일부터 쭉 예약 가능합니다.

11일(수요일) 선외기대여 감성돔낚시, 선단 감성돔 낚시 예약 가능합니다.
날씨가 많이 춥습니다. 낚시복 및 방한복 챙겨오십시오.
오늘도 거제대어선외기와 함께해주신 조사님들 수고 많으셨습니다.
※손맛 보시고 철수 하실때 요청 주시면 잡으신 고기 소정의
비용으로 손질 해드립니다~ 선장님께 요청주세요~

▣ 거제대어낚시선외기대여 일정 안내 ▣
★숙박+낚시배를 동시에 이용하고자 하는 분들은 할인 혜택 적용.
☆11일(수) 선외기 "감성돔 돌문어낚시, 선단 감성돔 "예약가능"
☆12일(목) 선외기 "감성돔 돌문어낚시, 선단 감성돔 "예약가능"
☆13일(금) 선외기 "감성돔 돌문어낚시, 선단 감성돔 "예약가능"
☆14일(토) 선외기 "감성돔 돌문어낚시, 선단 감성돔 "예약가능"
☆15일(일) 선외기 "감성돔 돌문어낚시, 선단 감성돔 "예약가능"
※ 주말 공휴일은 미리 미리 예약을 해 주시길 바랍니다.
※ 낚시장비가 필요하신 분들은 임대 해 드립니다. 예약시 꼭 알려 주세요.

거제대어낚시 선외기(선상)낚시 예약(독채 민박)
문의 ☎ 010-640-2082 / ☎ 010-454-3937
ㅁ선외기 예약: ☎ 010-6400-2082
■ 밴드: https://band.us/@geojedaefishing
  • 사용자가 올린 이미지
(7일 53Cm 대물 조황 첨부합니다~)
  • 사용자가 올린 이미지
  • 사용자가 올린 이미지
  • 사용자가 올린 이미지
  • 사용자가 올린 이미지
  • 사용자가 올린 이미지
  • 사용자가 올린 이미지
  • 사용자가 올린 이미지
  • 사용자가 올린 이미지
  • 사용자가 올린 이미지
  • 사용자가 올린 이미지
  • 사용자가 올린 이미지
  • 사용자가 올린 이미지
  • 사용자가 올린 이미지
  • 사용자가 올린 이미지
  • 사용자가 올린 이미지
  • 사용자가 올린 이미지
  • 사용자가 올린 이미지
  • 사용자가 올린 이미지
  • 사용자가 올린 이미지
  • 사용자가 올린 이미지
  • 사용자가 올린 이미지
▣ 대어낚시 선외기 대여 ▣
(4인승)- 13만원, (3인승) - 10만원 / (2인승) - 8만원 / (1인승)- 7만원.
영업구역 내 조정면허증 필요 없으므로, 누구나 이용이 가능합니다.
회사팀/기업팀/동호회팀/선상 낚시대회도 가능한 충분한 인원을 수용 가능.

(내만권/중장거리 상시 출조)
한나절:새벽부터 ~ 2시까지(유동적) 14만원
- 밑밥,미끼,도시락 제공, 커피, 음료, 생수 제공
(낚싯대) 기본 1.5호~2호대 530(경질대 선호)
(릴) 4000번~6000번. 권사량 150~200미터 추천되는 스피닝릴.
(라인) 원줄 4~6호 플로팅 세미타입, 목줄 후로로카본 100% 4호~6호 선호.
(바늘) 참돔 8~12호, 큐션또는 수중큐션 -2B ~ -5B, 좁쌀봉돌, 스위벨도래
※독배는 시간 조정 가능합니다.

▦ 거제대어낚시 참돔 시상 내역 ▦ 일 1명씩 시상됩니다.
68Cm 이상 - 최상급 원줄 증정

■ 생활낚시 & 낚시체험
- 상시 예약 출조 가능합니다.
- 낚은 고기로 회썰어 드립니다.
- 몸만 오시면 됩니다.(낚싯대, 장비일절제공, 구명복 제공)

★안전 주의 사항★
- 거제대어낚시 선단 이용시, 안전한 낚시를 위해 선착장 통로 이용시
바닥 및 부대시설에 대해 미끌림을 주의 해 주시길 바랍니다. 통로 좌우에
있는 핸들을 잡고 이동하시면 안전합니다.
- 선착장 도착전, 배에서 미리 내리지 마시고, 배가 정박하고, 로프를 묶은
뒤에 하선해 주시길 바랍니다.

★대어낚시 선단★
거제 대어낚시 1호 ㅡ 안젤라호
거제 대어낚시 2호 ㅡ 안드레아호
거제 대어낚시 3호 ㅡ 야호(YAHO)
거제 대어낚시 4호 ㅡ 돌핀호
거제 대어낚시 5호 ㅡ 미래호
거제 대어낚시 6호 ㅡ 거제바다호
거제 대어낚시 7호 ㅡ 사랑호

■ 주변 제휴 민박집 ■
아지랑 민박(단체-독채) ☎010-6400-2082
해송굴구이민박(단체) ☎010-2545-3755
거제 대어낚시 주변 파라스파찜질방 검색하시면 됩니다.

거제대어낚시 선외기(선상)낚시 예약(독채 민박)
010-6400-2082 / ☎ 010-4547-3937
ㅁ선외기: ☎ 010-6400-2082
■ 밴드: https://band.us/@geojedaeeofishing

★찾아오시는길★
※출항지: 거제시 거제면 법동리 1074번지 아지랑경로당 방파제
사무실 :거제시 거제면 서정리 746-3(GS25시편의점)검색하시면 바로 옆 위치
★★★신분증 꼭 지참해주세요★★★
  • 사용자가 올린 이미지

, , , , , , , , , , , , , , , , , , , , , , , , , , , , , , , , , , , , , , , , , , ,

  • 페이스북으로 보내기
  • 트위터로 보내기
  • 구글플러스로 보내기
  • 카카오스토리로 보내기
  • 네이버밴드로 보내기
  • 네이버로 보내기
  • 텀블러로 보내기
  • 핀터레스트로 보내기
0 댓글
포토 제목
 
 

인낚 최신글


인낚 최신댓글


온라인 문의 안내


월~금 : 9:00 ~ 18:00
토/일/공휴일 휴무
점심시간 : 12:00 ~ 13:00