네임
카드
카드
진해해그린호
창원시 진해구 명제로324번길, 9-12(명동)
01035776769
창원시 진해구 명제로324번길, 9-12(명동)
낚시뚜에서 인낚으로 보내는 자동조황
| |||||||||||||||||||
진해 해그린호 문의 010-3577-6769
진해구 명제로 324번길 29 (오른쪽 방파제 삼포등대앞)
선상낚시 전문 출조 안내 도다리,문어,백조기,감성돔,기타 잡어
한분이 타더라도 안전함과 즐거움을 위하여 최선을 다하겠습니다
수협 2020-4703-5295 (박영원) | |||||||||||||||||||
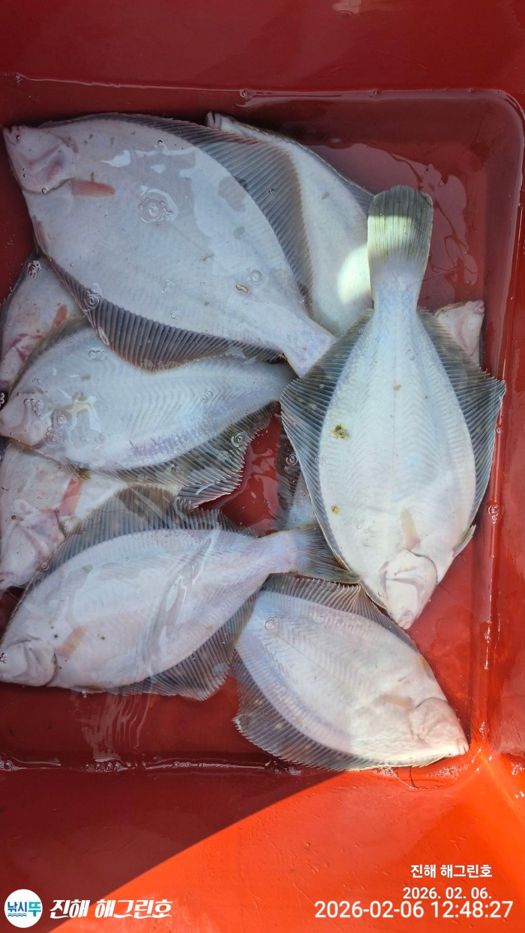
■ 봄도다리조황!! | |||||||||||||||||||
![]() ![]() ![]() ![]() ![]() ![]() ![]() ![]() ![]() ![]() ![]() ![]() ![]() ![]() ![]() ![]() ![]() ![]() ![]() ![]() ![]() ![]() ![]() ![]() ![]() ![]() ![]() ![]() ![]() ![]() ![]() ![]() | |||||||||||||||||||
■ 봄도다리 시즌 연일 마리수조황 조으네요!! (차주 월요일부터 예약가능) 봄도다리 시즌 연일 왕치급 마리수로 쭉쭉 올라오네요. 바다기상만 좋으면 굵직한 봄도다리 마리수조황 기대됩니다. 오늘, 내일,모레까지 바다기상이 엉망이라 출조에 어려움이 많네요. 차주 월요일부터 쭉 예약가능 합니다. 물때와 바다기상도 좋아 왕치급 봄도다리 마리수조황 기대됩니다. 함께 봄도다리 즐낚하실분 연락 주십시오. 감사합니다. ※ 차주 월요일부터 예약가능!! ■ 봄도다리 출조안내. > 아침 7시까지 도착하시면 됩니다. > 도다리 전용편대와 바늘은 무료제공. > 청개비는 무료제공(기본 2통제공). ※ 단, 개인 릴 사용등 필요에따라 추가로 구매 해 오시면 됩니다. > 개인 신분증 지참. > 쿨러와 목장갑준비. > 아침에 따끈한 오뎅탕과 구운계란 제공. > 점심제공. > 생수, 커피, 과자류제공. * 계좌번호/수협 (박영원) 202047035295. ■ 봄도다리 예약현황. > 2월 7일(토요일): 휴무. > 2월 8일(일요일): 휴무. > 2윌 9일(월요일): ~ 쭉 예약가능. | |||||||||||||||||||
진해 해그린호
문의 010-3577-6769 진해구 명제로 324번길 29 (오른쪽 방파제 삼포등대앞)
선상낚시 전문 출조 안내 도다리,문어,백조기,감성돔,기타 잡어
한분이 타더라도 안전함과 즐거움을 위하여 최선을 다하겠습니다.
수협 2020-4703-5295 (박영원) | |||||||||||||||||||
| |||||||||||||||||||
![]() |
|
|
|
|





































