구산면 썬피싱 ㅡ 도다리 조황!!

신상품 소개


회원 랭킹


공지사항


NaverBand
점주/선장 > 선상 + 좌대 조황

구산면 썬피싱 ㅡ 도다리 조황!!

구산면썬피싱 0 149
● 출항지 : 마산 ● 출조지 : 마산
홈페이지

4562c3c647babb1fb679f990f3c2e52f_1770356734_714.jpg



4562c3c647babb1fb679f990f3c2e52f_1770356735_9591.jpg



4562c3c647babb1fb679f990f3c2e52f_1770356737_4412.jpg



4562c3c647babb1fb679f990f3c2e52f_1770356739_18.jpg



4562c3c647babb1fb679f990f3c2e52f_1770356740_3355.jpg



4562c3c647babb1fb679f990f3c2e52f_1770356741_7448.jpg


 

​[썬피싱 출조 안내]


※ 안전을 위한 기본 수칙 꼭 지켜주세요!

  • ​신분증 필수 지참
  • ​구명조끼 반드시 착용
  • ​음주 및 주류 반입 절대 금지
  • ※ 위반 시 승선이 제한될 수 있습니다
  •  

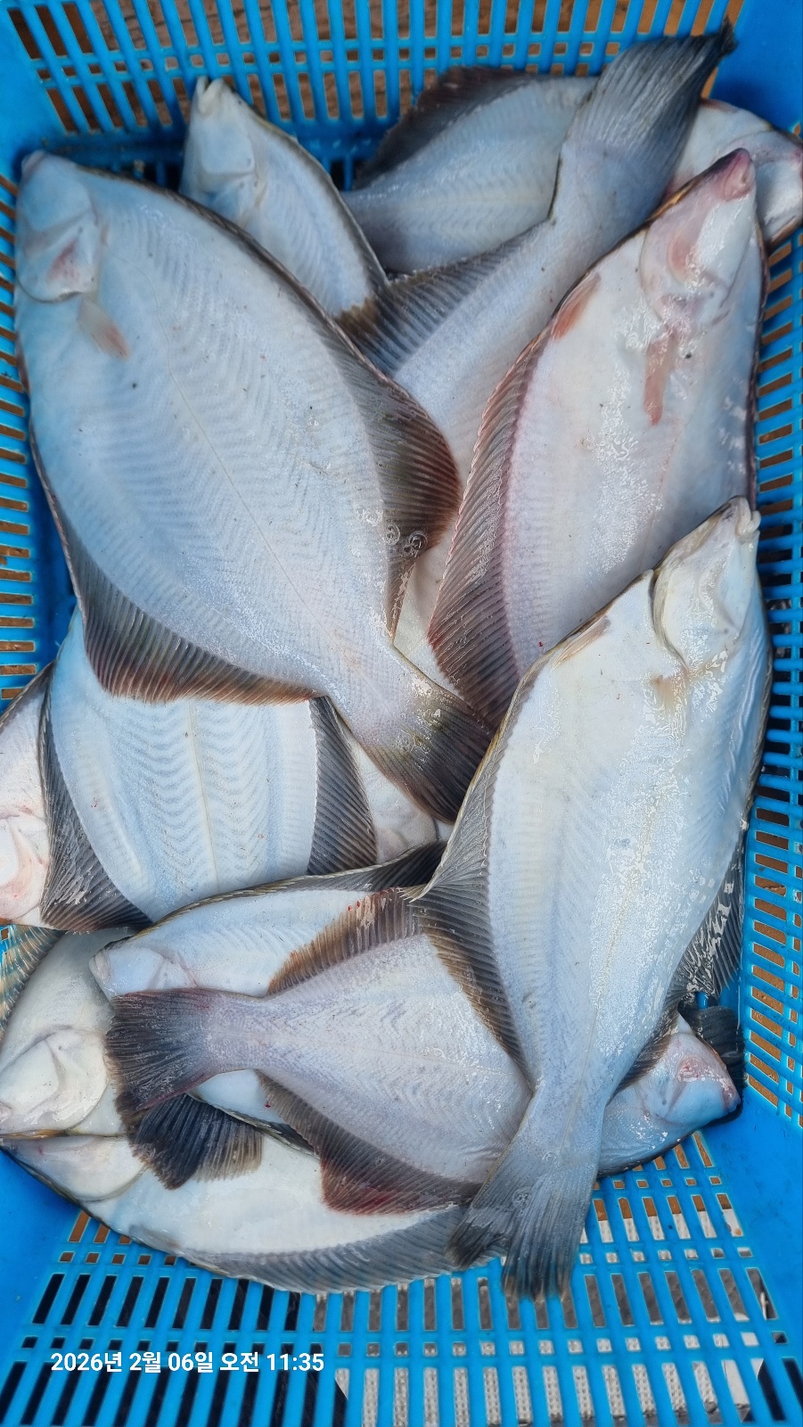
​[오늘의 조황 소식]


도다리

출조인원 5명 


손맛좋고 씨알굵은 봄도다리 다녀왔습니다ㆍ

바람이 좀불었어도 입질은꾸준히 들어왔습니다ㆍ

연일 많은 조과를 보여주고있습니다ㆍ

토요일은 예약완료되었습니다ㆍ

일요일에는 내일 날씨 봐가면서 출조여부를 생각해봅니다ㆍ

완만큼 바람이 괜찮으면 출조예정입니다ㆍ

좋은 조과를위해 미끼선택을잘하시면 많은 조과를 기대할수있겠네요ㆍ

미끼차이가 많이납니다ㆍ

참고하시면 좋겠습니다ㆍ

오늘도 좋은 조과를위해 수고많이 하신 조사님들께 감사인사드립니다ㆍ

ㅡ감사합니다ㅡ




​[출조 정보]


  • 대상 어종
  • 도다리
    • ​내만갈치
    • ​돌장어
    • ​돌문어
    • ​호래기

  • 출조 시간
  • 도다리 : 출항 오전 7시 ㅡ 입항 오후 12시 30분
    • ​내만갈치 · 돌장어 : 오후 6시 30분 출항 / 익일 새벽 1시 전후 입항
    • ​주간 돌문어 : 오전 6시 출항 / 오후 12시 30분 입항
    • ​호래기 : 오후 5시 30분 출항 / 익일 새벽 1시 전후 입항

  • 요금
    • ​내만권 : 6만 원
    • ​고성 · 거제권 : 7만 원

​[위치 및 예약]

  • 위치
    • ​경남 창원시 마산합포구 구산면 반동리 611-6
    • ​(반동굴구이 지나서 두 번째 방파제)

  • 예약 문의: 010-2587-1506

  • 밴드 안내: https://band.us/band/9271028092710280

  • 계좌 번호: 농협 821072 52 046 049 진만석

  • 예약금 안내: 처음 오시는 조사님들은 예약금을 받고 예약을 확정합니다.

  • 환불 규정
    • ​당일 취소 : 환불 불가
    • ​전날(출조 전일) 취소 : 50% 환불
    • ​2일 전 취소 : 100% 환불
  • ​기상 불량 및 선박 정비 시 : 100% 환불
​ 


  • 페이스북으로 보내기
  • 트위터로 보내기
  • 구글플러스로 보내기
  • 카카오스토리로 보내기
  • 네이버밴드로 보내기
  • 네이버로 보내기
  • 텀블러로 보내기
  • 핀터레스트로 보내기
0 댓글
포토 제목
 
 

인낚 최신글


인낚 최신댓글


온라인 문의 안내


월~금 : 9:00 ~ 18:00
토/일/공휴일 휴무
점심시간 : 12:00 ~ 13:00