네임
카드
카드
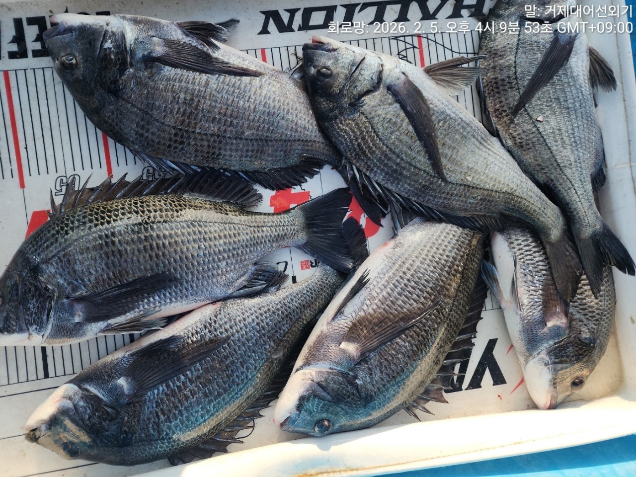
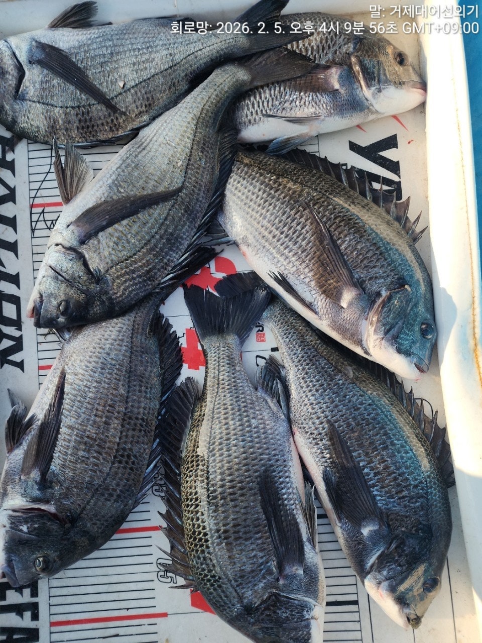
거제대어낚시선외기
거제시 거제면 법동리 1074번지 아지랑경로당 방파제
010-6400-2082
010-4547-3937
거제시 거제면 법동리 1074번지 아지랑경로당 방파제








문어낚시, 거제문어낚시, 문어조황, 문어출조, 문어배, 선외기, 선외기대여, 선외기조황, 거제도선외기, 참돔낚시, 참돔, 참돔조황, 참돔낚시배, 거제도참돔낚시, 거제도참돔, 감성돔, 감성돔낚시, 감성돔선상낚시, 거제도낚시, 거제도배낚시, 거제도펜션, 거제도숙박, 선외기낚시, 아지랑선외기, 낚시체험, 생활낚시, 감성돔조황, 돔낚시, 참돔부시리, 부시리낚시, 부시리조황, 부시리출조, 낚시생활, 체험낚시, 대어선외기