[여수 젠틀호] #감성돔선상 2.4 5짜외 조황입니다.
02월 05일(목)
인낚 현재접속자
4,180명 (
274
)
공지사항
인낚도서관
점주선장전용 공지사항
로그인
광고/제휴 문의
운영진에게
인낚ㅣ인터넷바다낚시
0
어종별선상
어종별갯바위
낚시인조황
점주선장조황
출조정보
낚시광장
낚시지식인
낚시교실
중고장터
휴게실
인낚도서관
인낚몰
0
어종별선상
4대돔 조황
먹물 조황
갈치 조황
볼락&전갱이
빅게임 지깅&파핑
외줄&외수질
기타 어종
어종별갯바위
4대돔 조황
먹물 조황
갈치 조황
볼락&전갱이
농어&삼치&방어&부시리
기타 어종
낚시인조황
낚시인 번개조황
낚시인조행기
스탭조행기
우리낚시동호회이야기
전국낚시동호회소개
동호회갤러리
지난 조황자료보기(년도별 조황 자료)
점주선장조황
전국 실시간 조황
선상(배)+좌대 조황
갯바위+방파제 조황
점주선장전용 공지사항
지난 조황자료보기(년도별 조황 자료)
출조정보
낚시인동행출조
점주선장 갯바위 출조
점주선장 선상출조
기상파고정보(기상청)
해상예보
물때표
파고예보(일본)
실시간해양관측예보
스마트조석예보
낚시광장
낚시계뉴스
대회 및 낚시관련 홍보
제품평가단
신상품소개
낚시지식인
Q&A 묻고 답하기
지식인 베스트
조황/포인트 문의
낚시용품 사용기
낚시투표
토론방
新어류도감
낚시교실
낚시기법소개
어종별 낚시교실
입문자교실
중급자교실
낚시용어사전
중고장터
중고장터 이용후기
더치트 사기피해 검색
팝니다
삽니다
교환합시다
무료로 드립니다
부품팝니다
부품삽니다
일반 생활용품 사고 팔기
휴게실
출석부
낚시갤러리
세상사는 이야기(자유게시판)
낚시이야기 마당
먹고사는 이야기
구인구직
칭찬합니다
어째이런일이
습득물 찾기
인낚도서관
인낚 유튜브
인낚 칼럼
블루, 그것이 알고싶다
더블테일의 두 눈으로 보는 세상
입질의추억의 피싱다이어리
나無의 바다 이야기
전문강좌
海巖의 바다낚시 이야기
이성규의 전유동낚시 강좌
조성민의 금요루어클럽
메인
어종별선상
어종별갯바위
낚시인조황
점주선장조황
출조정보
낚시광장
낚시지식인
낚시교실
중고장터
휴게실
인낚도서관
인낚몰
0
전국 실시간 조황
선상(배)+좌대 조황
갯바위+방파제 조황
점주선장전용 공지사항
지난 조황자료보기(년도별 조황 자료)
점주/선장 >
선상 + 좌대 조황
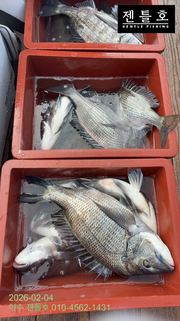
[여수 젠틀호] #감성돔선상 2.4 5짜외 조황입니다.
여수젠틀호
0
25
5시간전
● 출항지 : 여수,광양
● 출조인원 : 6~10명
네임
카드
젠틀호
전라남도 여수시 신월5길 55
010-4562-1431
실시간 예약
홈페이지
밴드 바로가기
유튜브/SNS
#감성돔선상 #감성돔
안녕하십니까 . 여수 젠틀호 입니다.
4.수.감성돔선상 조황입니다.
5짜외 씨알좋은 녀석들로 손맛보고 왔습니다.
목줄2호 이상 써주세요. 목줄관리 해주세요!!
주말예약은 미리 서둘러 주세요^^
출항안내는 선상24나 유선으로 문의 바랍니다.
*** 여수 젠틀호 예약 안내 ***
예약문의 : 010-4562-1431
오시는길 : 여수시 신월5길55. 넙내리 방파제
예약사이트 : https://gentle.sunsang24.com/
밴드 : 여수 젠틀호 https://band.us/@gentle
*** 여수 젠틀호 예약 안내 ***
예약문의 : 010-4562-1431
오시는길 : 전라남도 여수시 신월5길 55
홈페이지 : https://gentle.sunsang24.com/
0
신고
목록
0
댓글
로그인한 회원만 댓글 등록이 가능합니다.
×
Image Upload
로그인한 회원만 등록가능합니다.
포토
제목
이름
날짜
[진해] 감성돔 흘림!!사이즈 마릿수 다잡아~내일 예약가능 정상출항
출항지 : 진해 / 출조지 : 거제
진해백호
36
32초전
진해백호
13:25
[진해] 윤피싱 주말 쭈꾸미 출항합니다~
출항지 : 진해 / 출조지 : 진해
진해윤피싱
2
1분전
진해윤피싱
13:24
[진해] 감성돔(카고)ㅡ5짜,4짜급으로 손맛 굿굿(금.토.일.예약가능)
출항지 : 진해 / 출조지 : 진해
진해레져
37
16분전
진해레져
13:10
[진해] (문어)믿음의 원도권 3.3K 포함 K전후 망탱이조황~강민호(6…
출항지 : 진해 / 출조지 : 진해
진해강민호
25
16분전
진해강민호
13:10
[진해] 도다리 출조합니다!~ 예약중~
출항지 : 진해 / 출조지 : 진해
필바다호
9
19분전
필바다호
13:06
[진해] 진해도다리낚시] 후둑 후둑 활기차게 올라오는 도다리 찐한 손맛 …
출항지 : 진해 / 출조지 :
진해한바다
10
19분전
진해한바다
13:06
[사천] 4짜!4짜!4짜! 금.토 어초로 직행
출항지 : 사천 / 출조지 :
피싱케이
10
20분전
피싱케이
13:05
[진해] 왕도다리~최고40수이상!! 43cm와왕!!/내일부터 예약가능
출항지 : 진해 / 출조지 : 진해
진해고고피싱
20
21분전
진해고고피싱
13:04
[마산] 왕도다리 출조합니다~
출항지 : 마산 / 출조지 :
뉴고니호
11
22분전
뉴고니호
13:03
[사천] 원도권 제수용 덩치 문어들 잡으러 갑니다
출항지 : 사천 / 출조지 :
삼천포스피드피싱
3
22분전
삼천포스피드피싱
13:03
[진해] 세진호/돌문어kg.마릿수많이~금.토.일.가능~
출항지 : 진해 / 출조지 : 진해
세진호선장
6
27분전
세진호선장
12:59
[사천] 금요일만 날씨 괜찮네요 볼락 콜~
출항지 : 사천 / 출조지 : 사천
정판수낚시마트
12
32분전
정판수낚시마트
12:53
[사천] 삼천포 주홍호 야간낙지 주말원도권 문어 갑니다
출항지 : 사천 / 출조지 :
주홍호
8
34분전
주홍호
12:51
[진해] 감성돔흘림 5짜4짜들 굿,(내일예약가능)
출항지 : 진해 / 출조지 : 거제
진해리드호
22
35분전
진해리드호
12:50
[진해] 열기볼락,날마다 만쿨잔치,쭉 예약가능/왕오징어,봄도다리,쭉 예약…
출항지 : 진해 / 출조지 : 통영
진해대성낚시
57
36분전
진해대성낚시
12:50
초기화
날짜순
조회순
검색
1
2
3
4
5
Search
검색대상
제목
내용
제목+내용
회원아이디
회원아이디(댓글)
글쓴이
글쓴이(댓글)
또는
그리고
검색어
필수
검색
닫기
검색조건
제목
내용
제목+내용
회원아이디
회원아이디(코)
글쓴이
글쓴이(코)
검색어
또는
그리고
검색
인낚몰 초특가
MAEK 맥 호래기 대바늘 호래기콕 J타입 (카본바디 2입)
어부공방 NEW 호래전
야마시타 SB 호래기 대바늘
★3,000★ 하야부사 6단 볼락 전갱이 카드채비 SD724 볼락채비
★1,000★볼락낚시에 최적인 메바트로볼 - 캐스팅볼, 메바볼
★13,000~★3NO 일본 오리지날 직수입 극강 멀티 무광 마크사 원줄
★500★ W쿠션 멀티 수중찌 M L - 전유동 반유동 끄심바리 필수품 수중쿠션
★5,900★ 여러개 있으면 아주 좋은 EVA 시스템 백
★ 1+1 플로팅, 세미, 카본 낚시줄 행사 호수선택가능 / 택상 1+1 원줄, 목줄 행사
★6,000★ 예민함의 끝판왕 애니원찌 벵에돔찌 학공치찌
★15,000★ 오동목 구멍찌 5개 + 메쉬 찌케이스 세트
★22만원★ 40W 집어등을 이 가격에!