구산면 썬피싱 ㅡ 도다리 조황!! 좋습니다!

신상품 소개


회원 랭킹


공지사항


NaverBand
점주/선장 > 선상 + 좌대 조황

구산면 썬피싱 ㅡ 도다리 조황!! 좋습니다!

구산면썬피싱 0 57
● 출항지 : 마산 ● 출조지 : 마산
홈페이지

41ef0469b2dee1f3689c66cb80273828_1770184220_1467.jpg



41ef0469b2dee1f3689c66cb80273828_1770184221_2968.jpg



41ef0469b2dee1f3689c66cb80273828_1770184222_295.jpg



41ef0469b2dee1f3689c66cb80273828_1770184223_2636.jpg



41ef0469b2dee1f3689c66cb80273828_1770184224_9376.jpg



41ef0469b2dee1f3689c66cb80273828_1770184225_9298.jpg


 


​[썬피싱 출조 안내]


※ 안전을 위한 기본 수칙 꼭 지켜주세요!

  • ​신분증 필수 지참
  • ​구명조끼 반드시 착용
  • ​음주 및 주류 반입 절대 금지
  • ※ 위반 시 승선이 제한될 수 있습니다
  •  

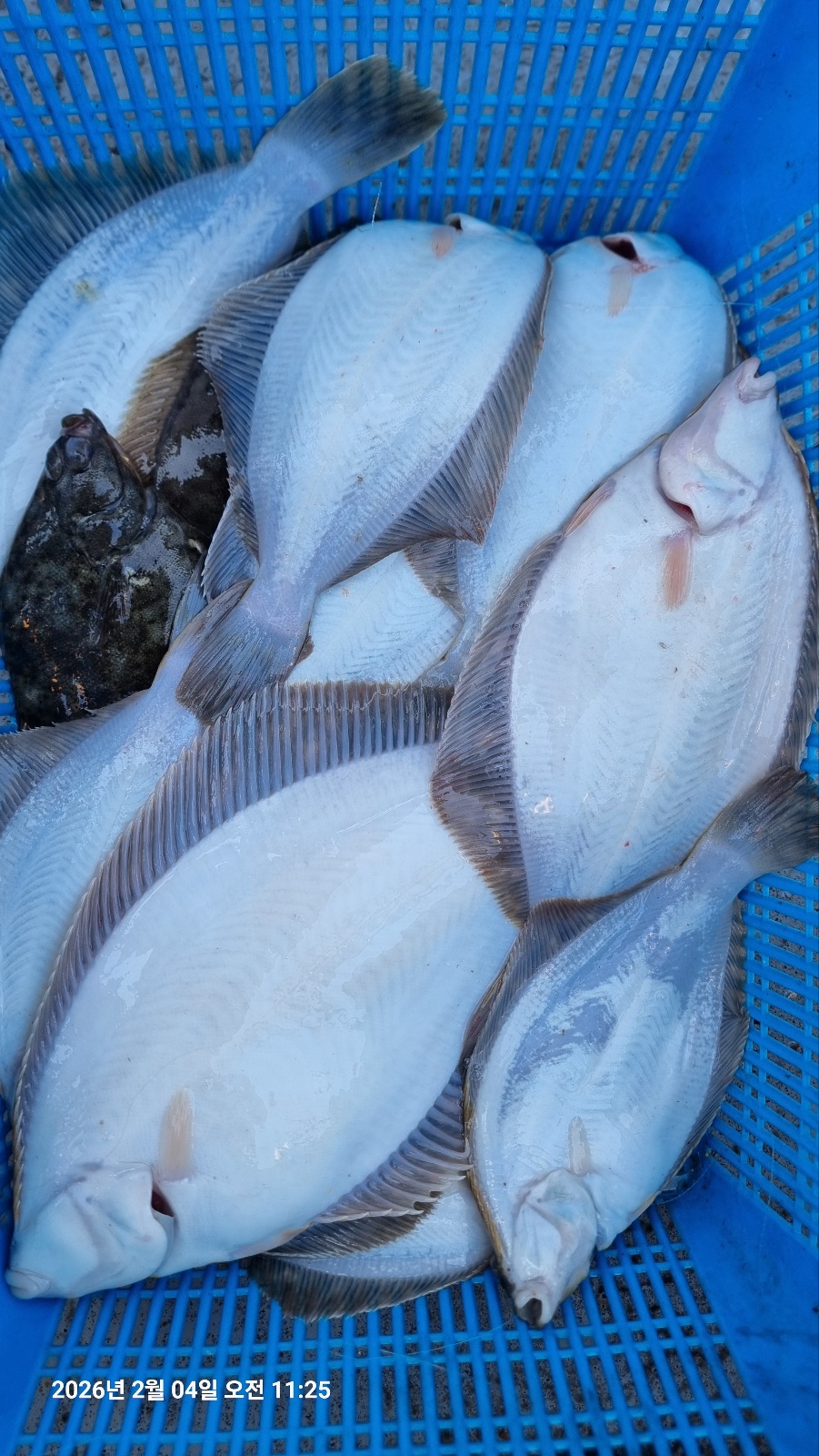
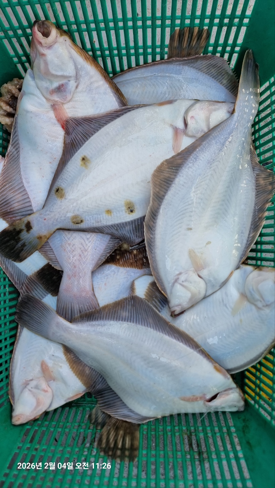
​[오늘의 조황 소식]


도다리

오늘도 씨알좋은 봄도다리 다녀왔습니다ㆍ


손맛많이 봤습니다ㆍ

씨알도 엄청굵게 올라와주었습니다ㆍ

미끼가 싱싱한게 좋은 조과거둔것 같습니다ㆍ

봄도다리 매일출조합니다ㆍ

시간되시면 출조연락부탁드립니다ㆍ

오늘 어복많고 솜씨좋으신 조사님들께 감사인사 드립니다ㆍ

ㅡ감사합니다ㅡ​




​[출조 정보]


  • 대상 어종
  • 도다리
    • ​내만갈치
    • ​돌장어
    • ​돌문어
    • ​호래기

  • 출조 시간
  • 도다리 : 출항 오전 7시 ㅡ 입항 오후 12시 30분
    • ​내만갈치 · 돌장어 : 오후 6시 30분 출항 / 익일 새벽 1시 전후 입항
    • ​주간 돌문어 : 오전 6시 출항 / 오후 12시 30분 입항
    • ​호래기 : 오후 5시 30분 출항 / 익일 새벽 1시 전후 입항

  • 요금
    • ​내만권 : 6만 원
    • ​고성 · 거제권 : 7만 원

​[위치 및 예약]

  • 위치
    • ​경남 창원시 마산합포구 구산면 반동리 611-6
    • ​(반동굴구이 지나서 두 번째 방파제)

  • 예약 문의: 010-2587-1506

  • 밴드 안내: https://band.us/band/9271028092710280

  • 계좌 번호: 농협 821072 52 046 049 진만석

  • 예약금 안내: 처음 오시는 조사님들은 예약금을 받고 예약을 확정합니다.

  • 환불 규정
    • ​당일 취소 : 환불 불가
    • ​전날(출조 전일) 취소 : 50% 환불
    • ​2일 전 취소 : 100% 환불
  • ​기상 불량 및 선박 정비 시 : 100% 환불
​ 

  • 페이스북으로 보내기
  • 트위터로 보내기
  • 구글플러스로 보내기
  • 카카오스토리로 보내기
  • 네이버밴드로 보내기
  • 네이버로 보내기
  • 텀블러로 보내기
  • 핀터레스트로 보내기
0 댓글
포토 제목
 
 

인낚 최신글


인낚 최신댓글


온라인 문의 안내


월~금 : 9:00 ~ 18:00
토/일/공휴일 휴무
점심시간 : 12:00 ~ 13:00