감시 카고 4후외 9수 주말까지 여유자리 있습니다
인낚ㅣ인터넷바다낚시
어종별선상
어종별갯바위
낚시인조황
점주선장조황
출조정보
낚시광장
낚시지식인
낚시교실
중고장터
휴게실
인낚도서관
인낚몰
0
홈
어종별선상
어종별갯바위
낚시인조황
점주선장조황
출조정보
낚시광장
낚시지식인
낚시교실
중고장터
휴게실
인낚도서관
인낚몰
어종별선상
어종별갯바위
낚시인조황
점주선장조황
출조정보
낚시광장
낚시지식인
낚시교실
중고장터
휴게실
인낚도서관
인낚몰
어종별선상
4대돔 조황
먹물 조황
갈치 조황
볼락&전갱이
빅게임 지깅&파핑
외줄&외수질
기타 어종
어종별갯바위
4대돔 조황
먹물 조황
갈치 조황
볼락&전갱이
농어&삼치&방어&부시리
기타 어종
낚시인조황
낚시인 번개조황
낚시인조행기
스탭조행기
우리낚시동호회이야기
전국낚시동호회소개
동호회갤러리
지난 조황자료보기(년도별 조황 자료)
점주선장조황
전국 실시간 조황
선상(배)+좌대 조황
갯바위+방파제 조황
점주선장전용 공지사항
지난 조황자료보기(년도별 조황 자료)
출조정보
낚시인동행출조
점주선장 갯바위 출조
점주선장 선상출조
기상파고정보(기상청)
해상예보
물때표
파고예보(일본)
실시간해양관측예보
스마트조석예보
낚시광장
낚시계뉴스
대회 및 낚시관련 홍보
제품평가단
신상품소개
낚시지식인
Q&A 묻고 답하기
지식인 베스트
조황/포인트 문의
낚시용품 사용기
낚시투표
토론방
新어류도감
낚시교실
낚시기법소개
어종별 낚시교실
입문자교실
중급자교실
낚시용어사전
중고장터
중고장터 이용후기
더치트 사기피해 검색
팝니다
삽니다
교환합시다
무료로 드립니다
부품팝니다
부품삽니다
일반 생활용품 사고 팔기
휴게실
출석부
낚시갤러리
세상사는 이야기(자유게시판)
낚시이야기 마당
먹고사는 이야기
구인구직
칭찬합니다
어째이런일이
습득물 찾기
인낚도서관
인낚 유튜브
인낚 칼럼
블루, 그것이 알고싶다
더블테일의 두 눈으로 보는 세상
입질의추억의 피싱다이어리
나無의 바다 이야기
전문강좌
海巖의 바다낚시 이야기
이성규의 전유동낚시 강좌
조성민의 금요루어클럽
인낚몰
홈소개
공지사항
자주 묻는 질문
운영진에게
광고/제휴문의
로그인
자동로그인
회원가입
|
정보찾기
점주선장조황
전국 실시간 조황
선상(배)+좌대 조황
갯바위+방파제 조황
점주선장전용 공지사항
지난 조황자료보기(년도별 조황 자료)
신상품 소개
긱스 나노에이스
낚시고 미장구레 VIP 대본류 벵에돔 파우더
낚시고 위력 벵에돔 파우더
천류 카모 피싱백
천류 레자 피싱백
zzis 찌스 전자기울찌 호리존탈 전유동전용 출시!
회원 랭킹
42
1
왕초보태공
31
2
울트
28
3
오사마리
23
4
쌩기똥기
18
5
마루미르
16
6
꿈의사냥5짜
14
7
Nike1972
14
8
블루홀리
13
9
시작하는채비와장비
12
10
부산그녀석
12
11
bk2
11
12
때구어장
11
13
벵에만한다
11
14
로그온
10
15
방어지코
10
16
돌붕어
10
17
망상어전문
10
18
대물헌트
10
19
4계절벵에
9
20
감시밥줄
9
21
고기잡으세
9
22
젠틀낚시
9
23
촌놈남해
9
24
전공태
9
25
쌍칼라
8
26
상석바위
8
27
나돔
8
28
신용대
8
29
하루모
8
30
감성전설
8
31
미호
8
32
ctan
8
33
즐낚쵝오
8
34
동해살감시
8
35
Donf까
7
36
감생똥자
7
37
군산감생킬러
7
38
무덕이
7
39
새조개
7
40
양산서가이드피싱샵
7
41
한국밑밥연맹
7
42
거제그놈
7
43
G3매니아
7
44
개꽝도사
7
45
sss1185
7
46
검은바다
7
47
벵에저격수ㅋㅋ
7
48
갓바우조사
7
49
미풍
7
50
말랑파파
7
51
감시마을
6
52
yun
6
53
벵병
6
54
구레전과
6
55
바다가인
6
56
장생포털보낚시
6
57
리치망고제주
6
58
숲공
6
59
광주고프로
6
60
집나간넷째
6
61
우하하
6
62
재팔79
6
63
아빠어부야
6
64
대발22
6
65
지나온추억
6
66
내가가면주의보
6
67
방생또방생
6
68
울산동구27
6
69
야무지네
6
70
짱규
6
71
3짜이하방생
5
72
테리6443
5
73
APPLEPIE
5
74
로지즈
5
75
민쓰
5
76
구태2
5
77
대부도1
5
78
마린보이573
5
79
포포님
5
80
쏘렝이
5
81
거침없이산다
5
82
김해장유아디다스
5
83
돌돌치기
5
84
gaskjy
5
85
광덕
5
86
나라스카이2.5
5
87
굼낚시왕
5
88
도선사
5
89
깨바즐낚
5
90
번디기
5
91
만또라미
5
92
리미티드아마추어
5
93
물망사
5
94
배팡
5
95
사하주민
5
96
진영최조사
5
97
shima0
5
98
치악산돼지
5
99
혀니조사
5
100
앵그리정
공지사항
01.19
★ 삼성브라우저 플러그인 설치 금지!!
09.01
★ 2025년 9월 5일 사이트 리뉴얼 오픈 안내
06.09
★ "Connect Error: No such file or directory" 에러가 발생시
05.29
★ 카이퍼넷 방화벽 차단시 설정방법
07.03
★ 사이트 정상운영 ★ 24.07.03
06.19
★ 사이트 정상운영 ★ 24.06.19
06.17
★ 사이트 정상운영 ★
06.14
★ 서비스 일시정지 - 서버이전작업 ★
07.14
★ 112차 제품평가단 위촉 명단 발표
07.07
★ 112차 제품평가단모집 - 1차
점주/선장 >
선상 + 좌대 조황
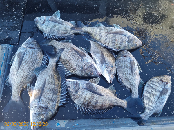
감시 카고 4후외 9수 주말까지 여유자리 있습니다
통영명인낚시
0
38
3시간전
● 출항지 : 통영
● 출조인원 : 1~2명
네임
카드
명인낚시
통영시 미수해안로53-1
010-8528-9888
실시간 예약
홈페이지
밴드 바로가기
유튜브/SNS
물이 쌘날이라 이번주는 카고 합니다
큰게 4후는 됩니다
내일도 출조합니다
밑밥 미끼 개인지참 선비는 10만원 입니다
아침 6시까지 오십시요
======■ 통영 명인낚시 예약 안내 ■=======
▶ 명인호 예약 연락처 :
010-8528-9888
▶ 주소: 통영시 미수해안로53-1
▶ 계좌안내 : 수협 / 2020-4030-1624 / 김권수
▶ 배타는곳: 통영 미수동 해양공원 주차장 선착장
▶ 홈페이지 실시간 예약 바로가기 :
http://minho.sunsang24.com
▶명인낚시(명인호) 밴드 가입하기 :
https://band.us/band/75401458
0
신고
목록
0
댓글
로그인한 회원만 댓글 등록이 가능합니다.
×
Image Upload
로그인한 회원만 등록가능합니다.
포토
제목
이름
날짜
[사천] 원도권 제수용 문어 출조합니다 (평일.주말 자리여유)
출항지 : 사천 / 출조지 :
삼천포스피드피싱
4
6분전
삼천포스피드피싱
19:38
[통영] 26/2/3 통영 재영호 선외기 레저 감성돔 조황
출항지 : 통영 / 출조지 : 통영
통영재영호선외기레져
8
8분전
통영재영호선외기레져
19:37
[진해] 원도권 돌문어 우당탕 피딩K K K ( 목,금,토~예약가능
출항지 : 진해 / 출조지 : 통영
진해골드스타2
7
10분전
진해골드스타2
19:34
[통영] 형만호 선상 카고 조황입니다 내일여유
출항지 : 통영 / 출조지 :
유촌형만호
15
18분전
유촌형만호
19:26
[마산] (행운호)51.48.46.43.외 감성돔 조황
출항지 : 마산 / 출조지 : 마산
행운호
28
24분전
행운호
19:20
[마산] 봄도다리 쌍걸이에 왕도다리로 3분과함께즐기다왔습니다 2인이상 무…
출항지 : 마산 / 출조지 :
재연호
17
29분전
재연호
19:16
[장흥,완도] 완도덕호 2.3 참돔타이라바
출항지 : 장흥,완도 / 출조지 :
완도덕호선장
6
32분전
완도덕호선장
19:12
[진해] 도다리/왕오징어~대포급먹물~예약가능합니다
출항지 : 진해 / 출조지 : 진해
엿쟁이낚시
56
35분전
엿쟁이낚시
19:10
[통영] 타이타이 세자릿수 내일 홍도 직항~
출항지 : 통영 / 출조지 :
통영스텔라호10톤
20
39분전
통영스텔라호10톤
19:06
[진해] 감성돔(흘림)~48,48,46,44!빅싸이즈!우당탕탕,수요일출항…
출항지 : 진해 / 출조지 : 거제
진해여명피싱
90
45분전
진해여명피싱
19:00
[진해] 열기볼락,날마다 만쿨잔치,금,토,쭉,왕오징어,봄도다리.도
출항지 : 진해 / 출조지 : 통영
진해대성낚시
59
45분전
진해대성낚시
19:00
[진해] 감성돔 <<흘림 >> 목요일 출조합니다
출항지 : 진해 / 출조지 : 진해
진해안골청파호
26
47분전
진해안골청파호
18:57
[여수,광양] •2/3《여수 스카이호》"감성돔"1분 조황~(내일 여유자리 있습…
출항지 : 여수,광양 / 출조지 : 여수,광양
여수스카이호
14
51분전
여수스카이호
18:54
1
[거제] 30넘는 대짜 왕~열기 기상좋은 목요일 출조~
1
출항지 : 거제 / 출조지 : 통영
통영수빈호
28
51분전
통영수빈호
18:53
[진해] 봄도다리 대박 금일 장원 17수 (내일 예약 가능)토욜 야간 …
출항지 : 진해 / 출조지 : 진해
진해나드리호
46
1시간전
진해나드리호
18:36
[여수,광양] 나이스2호) 감성돔 출조할 선수분들 연락주세요! 출조합니다!!
출항지 : 여수,광양 / 출조지 :
나이스호2
27
1시간전
나이스호2
18:30
[통영] (문어)2.1K2K 외 K전후~원도권 특별한 씨알~고고피싱호(5…
출항지 : 통영 / 출조지 : 통영
고고피싱호
30
1시간전
고고피싱호
18:30
[사천] 감성돔카고52. 48 47. 45 대박입니다
출항지 : 사천 / 출조지 :
재영피싱
38
1시간전
재영피싱
18:27
[진해] 열기/볼락)우당탕탕~신발짝~도전(금.토.일 쭉~예약가능합니다)
출항지 : 진해 / 출조지 :
진해블루마린낚시
27
1시간전
진해블루마린낚시
18:27
[진해] 진해뉴스타)왕열기 쿨러가득까지~~다음물때 금요일부터(예약가능
출항지 : 진해 / 출조지 : 진해
진해뉴스타피싱
32
1시간전
진해뉴스타피싱
18:22
[고성] 고성드래곤 어초 감시흘림 4짜4짜4짜마리수 수욜 자리여유
출항지 : 고성 / 출조지 : 통영
고성드래곤피싱
107
2시간전
고성드래곤피싱
18:15
[통영] 청송호)감성돔 조황~
출항지 : 통영 / 출조지 : 통영
풍화리청송호
40
2시간전
풍화리청송호
18:13
[진해] 감시흘림,대물감시들,우루루,,(예약가능)
출항지 : 진해 / 출조지 : 거제
뉴비젼호
90
2시간전
뉴비젼호
18:13
[거제] [거제블루]참돔 타이라바 소수인원 마릿수조황입니다 내일자리여유…
출항지 : 거제 / 출조지 :
뉴블루
28
2시간전
뉴블루
18:11
[통영] 통영 금정호 대물감성돔 카고 조황! 내일 자리있습니다!
출항지 : 통영 / 출조지 :
유촌금정낚시
42
2시간전
유촌금정낚시
18:10
[진해] [신조선]원도권문어2080g1440g1360g급외마릿수굿~
출항지 : 진해 / 출조지 : 거제
뉴해경피싱
31
2시간전
뉴해경피싱
18:09
[통영] 풍화리선외기 감성돔 조횡
출항지 : 통영 / 출조지 :
경신레저
50
2시간전
경신레저
18:08
[진해] 쭈꾸미 ! 전원 마릿수 채우고 철수!
출항지 : 진해 / 출조지 :
진해풍산호
38
2시간전
진해풍산호
18:05
[포항] 실시간 포항선상낚시 문꾸미 숭덩숭덩~2/5.목.오전8시 출항~.
출항지 : 포항 / 출조지 :
신항만버스낚시
27
2시간전
신항만버스낚시
18:01
[거제] 2월3일 화요일 현대마린 참돔.방어.뷰시리 만땅소식 전합니다.
출항지 : 거제 / 출조지 :
거제현대마린
26
2시간전
거제현대마린
18:01
초기화
날짜순
조회순
검색
1
2
3
4
5
6
7
8
9
10
Search
검색대상
제목
내용
제목+내용
회원아이디
회원아이디(댓글)
글쓴이
글쓴이(댓글)
또는
그리고
검색어
필수
검색
닫기
검색조건
제목
내용
제목+내용
회원아이디
회원아이디(코)
글쓴이
글쓴이(코)
검색어
또는
그리고
검색
인낚 최신글
18:54
•2/3《여수 스카이호》"감성돔"1분 조황~(내일 여유자리 있습니다.)
+1
18:53
30넘는 대짜 왕~열기 기상좋은 목요일 출조~
18:51
욕지군도] 전투 종일 낚시 5 짜 터지고 벗고지고 계속 됩니다.
18:50
가거도 설 연휴 출항 공지 해드립니다
18:47
마스터 모델 치누mh50 보증서 팝니다
18:46
미조 노구 마안도 갯바위 조황입니다. 02.03
18:36
봄도다리 대박 금일 장원 17수 (내일 예약 가능)토욜 야간 낙지 출동합니다~~
18:32
가거도 출조합니다,
18:30
나이스2호) 감성돔 출조할 선수분들 연락주세요! 출조합니다!!
18:30
(문어)2.1K2K 외 K전후~원도권 특별한 씨알~고고피싱호(5일 예약)
18:27
(유성호) 52,50,49,48,46외 내만,사량권감성돔조황
18:27
감성돔카고52. 48 47. 45 대박입니다
18:27
열기/볼락)우당탕탕~신발짝~도전(금.토.일 쭉~예약가능합니다)
18:22
진해뉴스타)왕열기 쿨러가득까지~~다음물때 금요일부터(예약가능
18:20
목요일 가자미동출
18:15
G5 1.25-50
18:15
고성드래곤 어초 감시흘림 4짜4짜4짜마리수 수욜 자리여유
18:13
청송호)감성돔 조황~
18:13
감시흘림,대물감시들,우루루,,(예약가능)
18:13
가덕도월척낚시 감성돔 조황입니다
18:11
[거제블루]참돔 타이라바 소수인원 마릿수조황입니다 내일자리여유~~
18:10
통영 금정호 대물감성돔 카고 조황! 내일 자리있습니다!
18:10
통영 금정호 대물감성돔 카고 조황! 내일 자리있습니다!
18:09
[신조선]원도권문어2080g1440g1360g급외마릿수굿~
18:08
풍화리선외기 감성돔 조횡
18:05
쭈꾸미 ! 전원 마릿수 채우고 철수!
18:01
실시간 포항선상낚시 문꾸미 숭덩숭덩~2/5.목.오전8시 출항~.
18:01
2월3일 화요일 현대마린 참돔.방어.뷰시리 만땅소식 전합니다.
17:59
통영현대레저)53.50.50.48.47외감성돔
17:56
"HOT"<주간도다리> & <야간낙지>예약가능
17:55
아티누스 신형 동계복 ar-947 3L
17:55
양지암 갯바위 감성돔 학공치 소식입니다
17:55
<<동부피싱>>선예약 받습니다~ 여수,고흥,영목항~ 붉바리,한치갈치,문어,쭈꾸미,갑오징어등 홈페이지 예약받는중
17:55
신발짝 돼지~열기 주렁주렁 줄타기로 만쿨(금요일부터예약
17:54
대물감성돔카고55짜4짜3짜마릿수굿~손맛짱!!!
+1
17:54
마스터 모델2 뜰채 슬라이딩이 원래 그런가요???
17:50
[봄도다리]솥뚜껑 왕도다리 마리수 몸만오세요!! 예약가능
17:49
5자 감성돔
17:48
뉴성진호/세분이서 4짜4짜4짜3짜 감성돔
17:48
진해안골프로낚사 카고감성돔
17:46
니신 신제품 소식 있나요?
17:46
감성돔카고 4짜 후반
17:45
*개나리호* 치패 낚시 감성돔입니다.
17:44
문어) 원도권 키로오버 쭉쭉~ 금토일 원도권예약가능
17:44
선라인 내피
17:42
19 인해 아틀레타 0.6-53 윤성정품
17:39
가이드수리용 열풍기
17:38
2월3일 제주포세이돈호
17:37
시마노 RB (Q,R,S,T,U)구형 블랙 2XL 삽니다
17:31
씨알큰 왕도다리^^ 내일예약가능
인낚 최신댓글
18:54
5일(목) 주간열기낚시 예약가능합니다. 06시까지 오시면 자리추첨후 출조합니다.
18:33
슬라이딩은 거리낌 없이 현역 뜰채중 최고라고 생각했는데 아닌 경우도 있군요 그렇더라도 저는 뜰채를 사용후 세…
17:54
수향기는 신품이 나왔어도 한참전에 나왔어야 되는 모델인것 같구요. 명파기는 신품 60만원 미만에 구매 가능하…
17:44
오 장착후 알려주셔요. 저는 100% 호환된다에 걸겠습니다. 앞으로부터 2~3주 혹은 이상 소요되는게 흠이겠…
17:05
여기저기 검색중인데 어텐더3는 무겁다고 하니 걱정이네요 손목이약해서.. 오히려 g5가 가볍다는데 맞나요?
16:39
저도 신상어텐더3 추천합니다 g5낚시대는 분명 좋으나 시마노대사용하셨다면 바트대보면 두꺼움에 한번놀라실거고 …
16:26
어텐더3 추천하고 갑니다.
16:03
좋은 답변 감사합니다
16:03
좋은 정보 감사합니다
16:02
정성스런 답변 감사합니다 많이 참고가 되었습니다
15:56
아. 아깝네요 다음에 기회되면 함께할께요 야영 너무좋아합니다...ㅠ
15:32
그냥 개인적인 저의 생각입니다. 갯바위 낚싯대가 현재 중국산 가성비 제품들이 엄청 쏟아지고 있는것 같구요..…
14:56
낼도 당찬 손맛 보실분 연락주세요 감사합니다
12:26
정직한 선장님 항상 고맙습니다 선장님 배 타고 갯바위 가고싶어요 통영 최고의 선장님 이십니다
11:52
그래도 월척입니다. 우왕굳!!!
11:51
5일(목) 주간열기낚시 예약가능합니다. 06시까지 오시면 자리추첨후 출조합니다.
11:42
알아본 결과 12토너와 18토너가 호환된답니다, 그러니까 당연히 15토너도 호환 되겟죠! 일단 구매 햇습니다…
11:31
저도 15토너 2500, 3000 주력릴인데 암 레버 도장까짐이 있어 나중에 바꾸어야지라고 생각했는데 생산종…
10:15
지향하는 바가 전혀 다른 낚시대라서 휨세를 보거나 제조사 설명을 보면 이거다 하는게 있으실거 같은데요. 시야…
10:12
짧아서요
10:08
내일 예약 가능합니다
10:03
내일 예약 가능합니다
09:01
02.02
Lock
비밀댓글입니다.
02.02
@북회귀선 감사해여^^
02.02
예~넘 비싸다고 생각합니다.
02.02
직수카페 ~ 피싱맥스,하시레피싱,마캥피셔 가격은 서로고만고만 몇만원 차이, 관세는 운이 진~~~짜 안좋으면 …
02.02
낼도 당찬 손맛 보실분 연락주세요 감사합니다
02.02
다이와 덩공이나 윤성조구는 면책금이 없고 가마가츠는 국내나 국외 전부 면책금 동일합니다
02.02
네이버에 카페가입하시든지 아니면 네이버쇼핑에서 사셔도 되요 단 금액이 너무싸면 조심해야 됩니다 관세 물 수 …
02.02
최근 근황은없나요 ??
02.02
아마 안될겁니다. 18이랑 22는 드랙음 내는 부품이 틀려요
02.02
@노스윈드 안녕하세요. 아가미피싱 선장님, 사무장님 모두 낚시를 잘 하는 분들이라 가이드가 확실하지요. 오랜…
02.02
아항..근데 얘는 아에 안나는데 어디 이상이있는게 아닌가싶어서요..소리가 나게 할려면 자가로 쉽게할수있나요?
02.02
@나무진 안녕하세요, 울보미소입니다. 먼저 부족한 제 글 좋게 봐주셔서 감사합니다. 출조 다녀올 때마다 일기…
02.02
우루쿠스 정식수입업체는 피싱AS입니다 피싱AS에 의뢰해보세요
02.02
드랙음은 스풀하고 상관있습니다.. 18토너 스풀은 드랙음이 아주 작아서 불만사항이 많아서 22토너 스풀은 득…
02.02
@폭주기관차 이른 시간에 대상어를 만난 것 까진 좋았는데, 이후 몇 시간 동안 잡어들과 놀다 보니 또 아쉬워…
02.02
@유엔아이 안녕하세요, 처음 뵙겠습니다. 울보미소입니다. 첫 만남인데 댓글이 많이 늦었네요. 죄송합니다. 여…
02.02
5일(목) 주간열기낚시 예약가능합니다. 06시까지 오시면 자리추첨후 출조합니다.
02.02
비싸도 넘 비싸 돈 조금 더 보태서 다인승 독배 가는게 낳을거 같은 느낌!
02.02
02.01
낚시인을호구로아는건지 선비가가면갈수록넘하네요
02.01
사진찍은날 이후는 이러다할 조황이 없어서 일거라 봅니다.
02.01
감사합니다 선생님 ㅠㅠ즐낚안낚하세요
02.01
5일(목) 주간열기낚시 예약가능합니다. 06시까지 오시면 자리추첨후 출조합니다.
02.01
3일(화)부터 좋은날 좋은 물때!!! 예약중 입니다^_^
02.01
@샤드 샤드님 합성사진 인지 아닌지 어떻게 구분 하는지요? 전문적인 지식인것 같은데 공유 해 줄수 있나요?
02.01
만료가1년인데 조금 지난건 해주는걸로 알고 있습니다 윤성에 문의 하시면 될듯합니다 요세 윤성 그렇게 빡빡하게…
02.01
와 저분 많이 늙으셨네 세월이 참 ㅠ
온라인 문의 안내
*운영진에게 문의
*광고/제휴 문의
월~금 : 9:00 ~ 18:00
토/일/공휴일 휴무
점심시간 : 12:00 ~ 13:00
인낚몰 초특가
MAEK 맥 호래기 대바늘 호래기콕 J타입 (카본바디 2입)
어부공방 NEW 호래전
야마시타 SB 호래기 대바늘
★3,000★ 하야부사 6단 볼락 전갱이 카드채비 SD724 볼락채비
★1,000★볼락낚시에 최적인 메바트로볼 - 캐스팅볼, 메바볼
★13,000~★3NO 일본 오리지날 직수입 극강 멀티 무광 마크사 원줄
★500★ W쿠션 멀티 수중찌 M L - 전유동 반유동 끄심바리 필수품 수중쿠션
★5,900★ 여러개 있으면 아주 좋은 EVA 시스템 백
★ 1+1 플로팅, 세미, 카본 낚시줄 행사 호수선택가능 / 택상 1+1 원줄, 목줄 행사
★6,000★ 예민함의 끝판왕 애니원찌 벵에돔찌 학공치찌
★15,000★ 오동목 구멍찌 5개 + 메쉬 찌케이스 세트
★22만원★ 40W 집어등을 이 가격에!