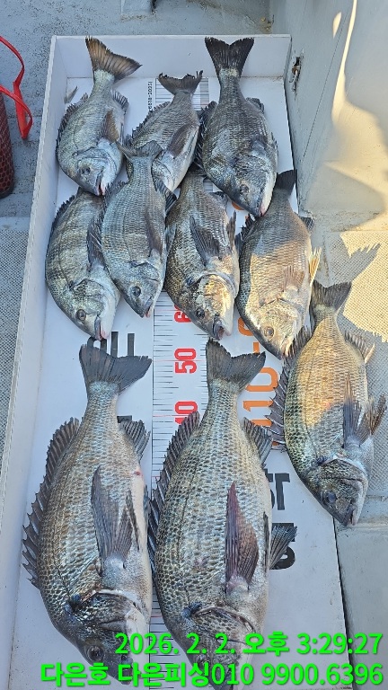
감성돔 흘림 55 53.외4짜들 무더기히트

신상품 소개


회원 랭킹


공지사항


NaverBand
점주/선장 > 선상 + 좌대 조황

감성돔 흘림 55 53.외4짜들 무더기히트

다은피싱 0 131
● 출항지 : 진해 ● 출조지 : 거제
실시간 예약 밴드 바로가기
■감성돔 흘림■
현.  종일 출조중.  오전5시전후 출발. ~  오후2시전후철수중

오전5시전후 ~ 오후1시전후
밑밥 미끼. 집밥식사 커피 음료수 생수제공 10만

오후 2시전후 ~ 저녁8시전후철수
밑밥 미끼 커피 음료수 생수제공. 7만


■밴드  다은호■
가입하시면. 실시간조황및. 출조정보를. 빠르게 볼수있습니다

■예약전번.■
010. 9900. 6396

■입금계좌■
부산은행. 112. 9900. 6396. 03. 이도현

선입금후 예약완료입니다

■출조. 한분이라도 취소 없이 출항합니다
편하게. 연락주세요 
f68fddaa1f89104c592a52a2b7001489_1770017439_9105.jpg



f68fddaa1f89104c592a52a2b7001489_1770017440_2189.jpg



f68fddaa1f89104c592a52a2b7001489_1770017440_5321.jpg



f68fddaa1f89104c592a52a2b7001489_1770017440_8069.jpg



f68fddaa1f89104c592a52a2b7001489_1770017441_221.jpg



f68fddaa1f89104c592a52a2b7001489_1770017441_5044.jpg



f68fddaa1f89104c592a52a2b7001489_1770017441_7845.jpg



f68fddaa1f89104c592a52a2b7001489_1770017442_0612.jpg



f68fddaa1f89104c592a52a2b7001489_1770017442_3582.jpg



f68fddaa1f89104c592a52a2b7001489_1770017447_9846.jpg



f68fddaa1f89104c592a52a2b7001489_1770017448_285.jpg



f68fddaa1f89104c592a52a2b7001489_1770017448_5677.jpg



f68fddaa1f89104c592a52a2b7001489_1770017458_4331.jpg



f68fddaa1f89104c592a52a2b7001489_1770017458_7068.jpg



f68fddaa1f89104c592a52a2b7001489_1770017458_9426.jpg



 

  • 페이스북으로 보내기
  • 트위터로 보내기
  • 구글플러스로 보내기
  • 카카오스토리로 보내기
  • 네이버밴드로 보내기
  • 네이버로 보내기
  • 텀블러로 보내기
  • 핀터레스트로 보내기
0 댓글
포토 제목
 
 

인낚 최신글


인낚 최신댓글


온라인 문의 안내


월~금 : 9:00 ~ 18:00
토/일/공휴일 휴무
점심시간 : 12:00 ~ 13:00