네임
카드
카드
하동남해청풍피싱
경남 하동군 금남면 미법마을길 49-23 (남해대교 옆 선창)
010-3856-7355
계속되는 타작!! 전투낚시
경남 하동군 금남면 미법마을길 49-23 (남해대교 옆 선창)
안녕하세요! 하동남해 청풍피싱입니다.
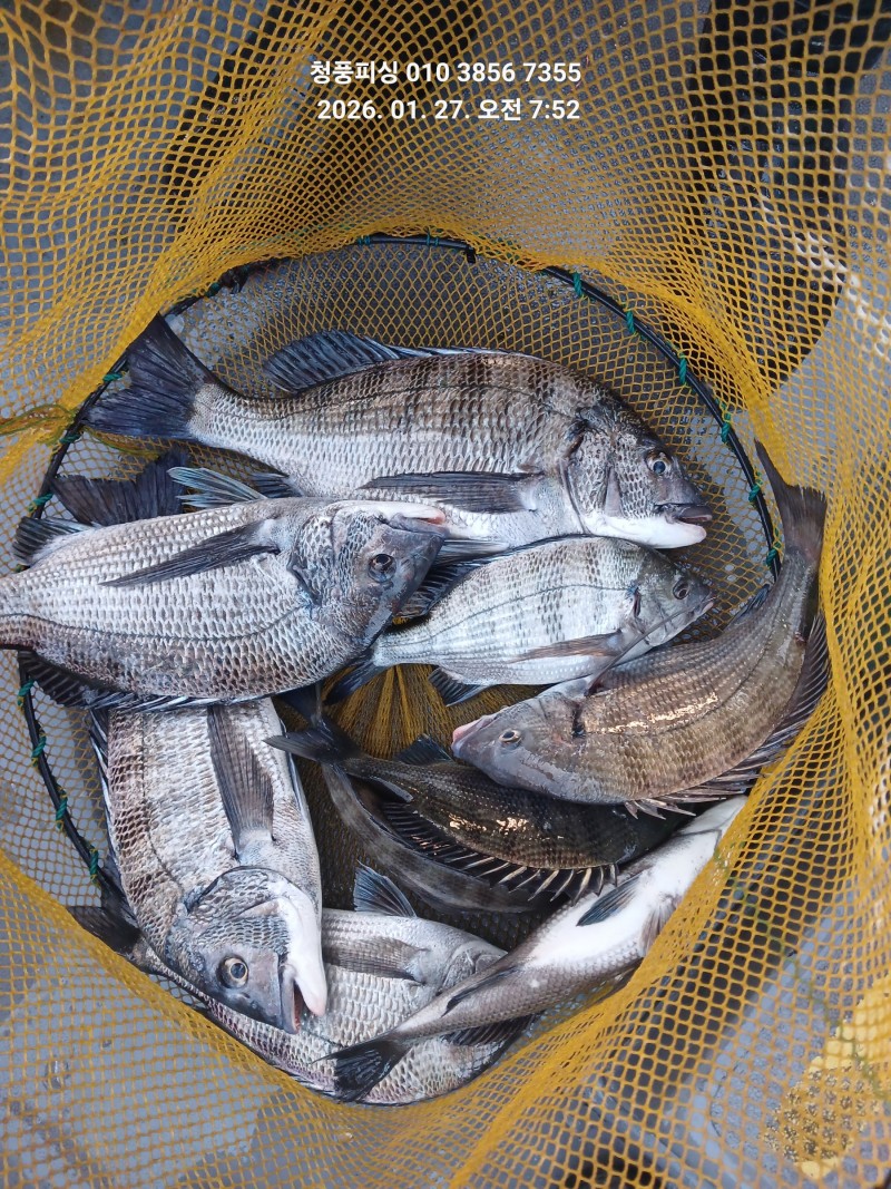
27일 새벽일찍 7분의 조사님 모시고 전투낚시 진행했습니다.
날씨는 추웠지만 결과는 대만족입니다.
5짜를 비롯해 덩치급들이 많이 나왔습니다.
전원 손맛 보고 성공적인 전투낚시였습니다.
사진 보시죠!










성공적인 전투낚시!
다녀가신 조사님들 감사합니다.
누구나 쉽게 손맛 볼수 있는 시기가 왔네요.
개인 기록 갱신할수 있는 찬스!!!
물 들어올때 배 띄워 노 저어 봅시다.
감성돔 잡으러 청풍피싱으로 오시다.
*출 조 모 집*
2월1일 일요일
야간1 자리널널 추가모집
야간2 3명예약중 4자리여유
2월달 쭈~욱 예약 가능합니다
조용한 평일 출조 대환영입니다
주말과 공휴일 빠른예약은 필수입니다
감사합니다
|
|
|
|

