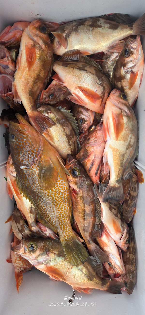
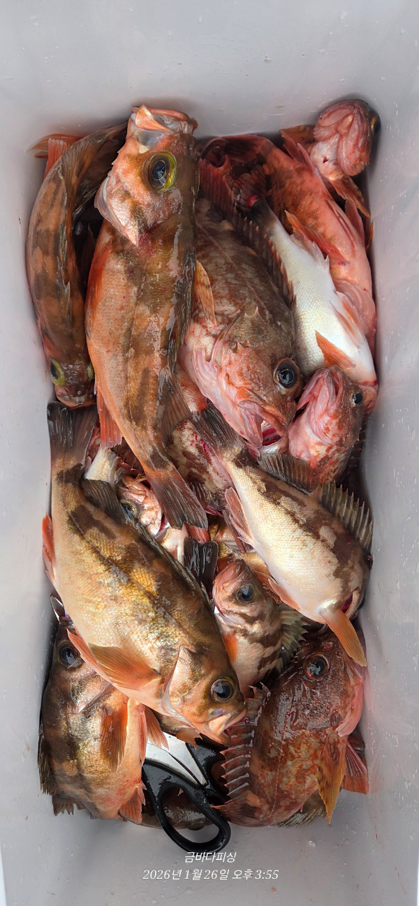
씨알좋은 왕열기 조황입니다
01월 26일(월)
인낚 현재접속자
3,541명 (
239
)
공지사항
인낚도서관
점주선장전용 공지사항
로그인
광고/제휴 문의
운영진에게
인낚ㅣ인터넷바다낚시
0
어종별선상
어종별갯바위
낚시인조황
점주선장조황
출조정보
낚시광장
낚시지식인
낚시교실
중고장터
휴게실
인낚도서관
인낚몰
0
어종별선상
4대돔 조황
먹물 조황
갈치 조황
볼락&전갱이
빅게임 지깅&파핑
외줄&외수질
기타 어종
어종별갯바위
4대돔 조황
먹물 조황
갈치 조황
볼락&전갱이
농어&삼치&방어&부시리
기타 어종
낚시인조황
낚시인 번개조황
낚시인조행기
스탭조행기
우리낚시동호회이야기
전국낚시동호회소개
동호회갤러리
지난 조황자료보기(년도별 조황 자료)
점주선장조황
전국 실시간 조황
선상(배)+좌대 조황
갯바위+방파제 조황
점주선장전용 공지사항
지난 조황자료보기(년도별 조황 자료)
출조정보
낚시인동행출조
점주선장 갯바위 출조
점주선장 선상출조
기상파고정보(기상청)
해상예보
물때표
파고예보(일본)
실시간해양관측예보
스마트조석예보
낚시광장
낚시계뉴스
대회 및 낚시관련 홍보
제품평가단
신상품소개
낚시지식인
Q&A 묻고 답하기
지식인 베스트
조황/포인트 문의
낚시용품 사용기
낚시투표
토론방
新어류도감
낚시교실
낚시기법소개
어종별 낚시교실
입문자교실
중급자교실
낚시용어사전
중고장터
중고장터 이용후기
더치트 사기피해 검색
팝니다
삽니다
교환합시다
무료로 드립니다
부품팝니다
부품삽니다
일반 생활용품 사고 팔기
휴게실
출석부
낚시갤러리
세상사는 이야기(자유게시판)
낚시이야기 마당
먹고사는 이야기
구인구직
칭찬합니다
어째이런일이
습득물 찾기
인낚도서관
인낚 유튜브
인낚 칼럼
블루, 그것이 알고싶다
더블테일의 두 눈으로 보는 세상
입질의추억의 피싱다이어리
나無의 바다 이야기
전문강좌
海巖의 바다낚시 이야기
이성규의 전유동낚시 강좌
조성민의 금요루어클럽
메인
어종별선상
어종별갯바위
낚시인조황
점주선장조황
출조정보
낚시광장
낚시지식인
낚시교실
중고장터
휴게실
인낚도서관
인낚몰
0
전국 실시간 조황
선상(배)+좌대 조황
갯바위+방파제 조황
점주선장전용 공지사항
지난 조황자료보기(년도별 조황 자료)
점주/선장 >
선상 + 좌대 조황
씨알좋은 왕열기 조황입니다
금바다피싱
0
49
5시간전
● 출항지 : 통영
● 출조인원 : 6~10명
네임
카드
금바다피싱
경남 통영시 산양읍 풍화일주로 448
010-3539-2105
실시간 예약
홈페이지
밴드 바로가기
유튜브/SNS
안녕하세요
금바다피싱 입니다
오늘은 어제와 달리 입질이
많이 예민하네요
시간 조금연장해서 줄태우고
철수합니다
내일 27일 예약완료
23일부터 이후로 비어있습니다
출조하실분이나 궁금하신점
언제든 전화주세요
감사합니다
*** 통영 금바다피싱 예약 안내 ***
예약문의 : 010-3539-2105
오시는길 : 경남 통영시 산양읍 풍화일주로 448
홈페이지 : https://seagoldfishing.sunsang24.com/
0
신고
목록
0
댓글
로그인한 회원만 댓글 등록이 가능합니다.
×
Image Upload
로그인한 회원만 등록가능합니다.
포토
제목
이름
날짜
[통영] [외줄]씨알좋은 왕열기 만쿨 (화요일 출항확정.자리널널)
출항지 : 통영 / 출조지 :
삼덕레저호
68
4분전
삼덕레저호
22:55
[포항] 밤볼락 쿵쾅 우르르 실시간 1/26 뉴대양호
출항지 : 포항 / 출조지 : 포항
신항만NEW대양호
2
6분전
신항만NEW대양호
22:53
[거제] (거제 FM 피싱호 ~감성돔흘림)~수요일 정상출조합니다 ㅡ같이할…
출항지 : 거제 / 출조지 :
FM피싱호
4
12분전
FM피싱호
22:46
[진해] [왕오징어]금/토예약가능!! [도다리]일월화수쭉예약가능!! 회밥…
출항지 : 진해 / 출조지 :
진해매일호
54
24분전
진해매일호
22:35
[통영] [통영대교피싱]금요일 토요일 왕오징어 출조모집
출항지 : 통영 / 출조지 :
통영대교피싱
7
50분전
통영대교피싱
22:08
[부산] 낫개방파제 <나리호 >타이라바 조황입니다
출항지 : 부산 / 출조지 : 부산
부산나리호
8
1시간전
부산나리호
21:54
[포항] 포항 감성돔 선상 조황!
출항지 : 포항 / 출조지 :
제2대진호
36
2시간전
제2대진호
21:00
[진해] 금 토 일 원도권문어 예약가능~ 대물잡으러 고고!!~
출항지 : 진해 / 출조지 : 거제
진해제네시스호
36
2시간전
진해제네시스호
21:00
[진해] 26일 원도권돌문어 13분이서 먹폭K K K ( 수요일예약가능)
출항지 : 진해 / 출조지 : 통영
진해골드스타2
67
2시간전
진해골드스타2
21:00
[진해] 오리온!원도권문어!KK급 문어포함 무겁게 잡고 왔습니다~내일예약…
출항지 : 진해 / 출조지 : 거제
진해오리온피싱
36
2시간전
진해오리온피싱
20:55
[진해] 열기볼락씨알좋고 만쿨대박 오늘출항,쭉 예약가능/봄도다리 시즌오…
출항지 : 진해 / 출조지 : 통영
진해대성낚시
56
2시간전
진해대성낚시
20:50
[진해] 쭈꾸미 엄청~올라오네요~!! 매일출항합니다~~!!!!
출항지 : 진해 / 출조지 :
진해풍산호
73
2시간전
진해풍산호
20:50
[진해] "NEW"26일<주간쭈꾸미>수,목&<야간낙지>금,토 예약가능
출항지 : 진해 / 출조지 :
썬플라워호10톤
52
2시간전
썬플라워호10톤
20:50
[여수,광양] [여수해호낚시16석] 열기 싸이즈가 미쳤네요 왕열기로 쿨러가득 …
출항지 : 여수,광양 / 출조지 :
여수해호낚시
26
2시간전
여수해호낚시
20:48
[진해] 25일 야간낙지 사이즈 대박~!!마릿수 쭉쭉 뽑고~!!(화,수,…
출항지 : 진해 / 출조지 : 진해
진해라코피싱
30
2시간전
진해라코피싱
20:40
초기화
날짜순
조회순
검색
1
2
3
4
5
Search
검색대상
제목
내용
제목+내용
회원아이디
회원아이디(댓글)
글쓴이
글쓴이(댓글)
또는
그리고
검색어
필수
검색
닫기
검색조건
제목
내용
제목+내용
회원아이디
회원아이디(코)
글쓴이
글쓴이(코)
검색어
또는
그리고
검색
인낚몰 초특가
MAEK 맥 호래기 대바늘 호래기콕 J타입 (카본바디 2입)
어부공방 NEW 호래전
야마시타 SB 호래기 대바늘
★3,000★ 하야부사 6단 볼락 전갱이 카드채비 SD724 볼락채비
★1,000★볼락낚시에 최적인 메바트로볼 - 캐스팅볼, 메바볼
★13,000~★3NO 일본 오리지날 직수입 극강 멀티 무광 마크사 원줄
★500★ W쿠션 멀티 수중찌 M L - 전유동 반유동 끄심바리 필수품 수중쿠션
★5,900★ 여러개 있으면 아주 좋은 EVA 시스템 백
★ 1+1 플로팅, 세미, 카본 낚시줄 행사 호수선택가능 / 택상 1+1 원줄, 목줄 행사
★6,000★ 예민함의 끝판왕 애니원찌 벵에돔찌 학공치찌
★15,000★ 오동목 구멍찌 5개 + 메쉬 찌케이스 세트
★22만원★ 40W 집어등을 이 가격에!