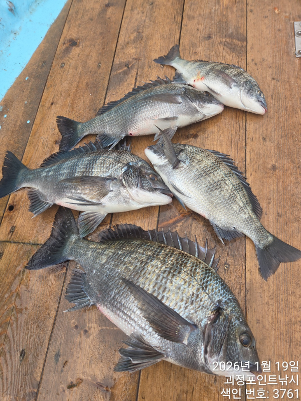
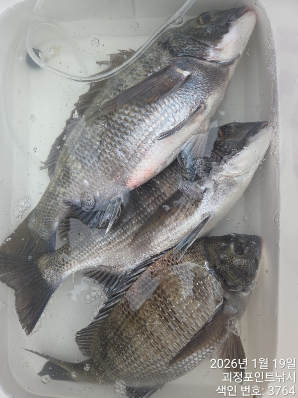
~**감성돔 찌낚시 4짜외~(일요일예약가능)**~

신상품 소개


회원 랭킹


공지사항


NaverBand
점주/선장 > 선상 + 좌대 조황

~**감성돔 찌낚시 4짜외~(일요일예약가능)**~

괴정포인트낚시 0 40
● 출항지 : 진해
e00db6c9b4dfd5659b52614783d1e01c.jpg

KakaoTalk_20260120_231351802.jpg


KakaoTalk_20260120_231351802_01.jpg


KakaoTalk_20260120_231351802_02.jpg


KakaoTalk_20260120_231351802_03.jpg


KakaoTalk_20260120_231351802_04.jpg
~**감성돔 찌낚시 4짜외~(일요일예약가능)**~

    기상악화로 며칠 출항못하고,

 25일(일요일)정상출조합니다~(예약가능합니다)~~


   **아침으로 제법 쌀랑합니다~따끈 오뎅탕 드시고 출발~^^

    **10시이후로는 문자 확인이 어려우니                                       
    전화로 연락 부탁드립니다**.
 
 "포인트피싱" 밴드로 초대합니다!!

 ↓ ↓ ↓ ↓ ↓ ↓ 

  https://band.us/@pointfs

 #밴드로 오셔서 더많은 조황구경하세요#  

감성돔완성.jpg

 


=== 창원 진해 포인트호 예약안내 ===

예약문의 : 010-4785-0205

오시는길 : 경남 창원시 진해구 제덕동 891 (아모르호텔 앞)

홈페이지 : http://pointfishingho.sunsang24.com/


모바일.gif 

blank.png1


  • 페이스북으로 보내기
  • 트위터로 보내기
  • 구글플러스로 보내기
  • 카카오스토리로 보내기
  • 네이버밴드로 보내기
  • 네이버로 보내기
  • 텀블러로 보내기
  • 핀터레스트로 보내기
0 댓글
포토 제목
 
 

인낚 최신글


인낚 최신댓글


온라인 문의 안내


월~금 : 9:00 ~ 18:00
토/일/공휴일 휴무
점심시간 : 12:00 ~ 13:00