네임
카드
카드
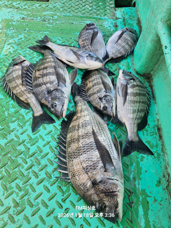
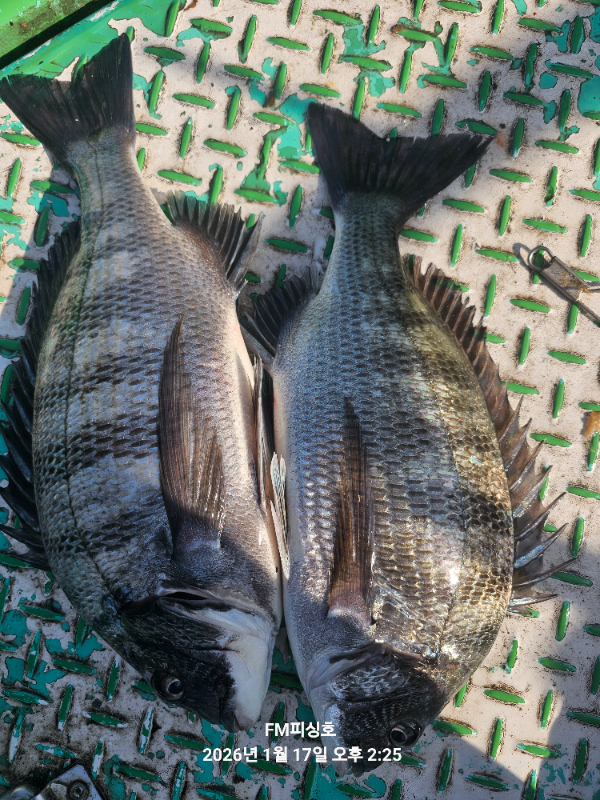
에프엠피싱호
경남 거제시 둔덕면 술역리 789-8
010-4998-5333
경남 거제시 둔덕면 술역리 789-8




ㅡㅡㅡㅡㅡㅡㅡㅡㅡㅡ
ㅡ공지합니다ㅡㅡ
ㅡ종일낚시(야간) ㅡ초저녁낚시(야간)
ㆍ출항ㅡ일몰 30분전 ㆍ출항 ㅡ17:00시
ㆍ철수 ㅡ02:00시 전ㆍ후. ㆍ철수 ㅡ23:00
ㆍ선비ㅡ10만원. ㆍ선비ㅡ8만원
ㆍ밑밥.미끼(크릴.청개비) .식사.간식.음료기타등
등 ㅡ전품목제공(장비만 들고오세요)
ㅡ종일낚시 (주간}
ㆍ선비ㅡ11만원
ㆍ시간~출항 ᆢ05:00시 전ㆍ후
철수 ~14:00시 전ㆍ후
ㆍㆍ밑밥.미끼.간식.식사.음료..생수 기타등등
●(FM피싱호)손님들께 죄송한 마음을 올림니다.
ㆍ간간히 펑크낸 조사님들이 계셔서 예약은
어쩔수없이
선 입금후 예약을 잡도록 하겠습니다
너그러운 마음으로 양해바랍니다.
ㆍ
=== 거제도 에프엠피싱호 예약안내 ===
예약문의 : 010-4998-5333
오시는길 : 거제시 둔덕면 술역리789-8(방파제 중간에 배타는곳이 있습니다)
홈페이지 : http://fm.sunsang24.com/
