














안녕하세요
간달프호 차선장입니다
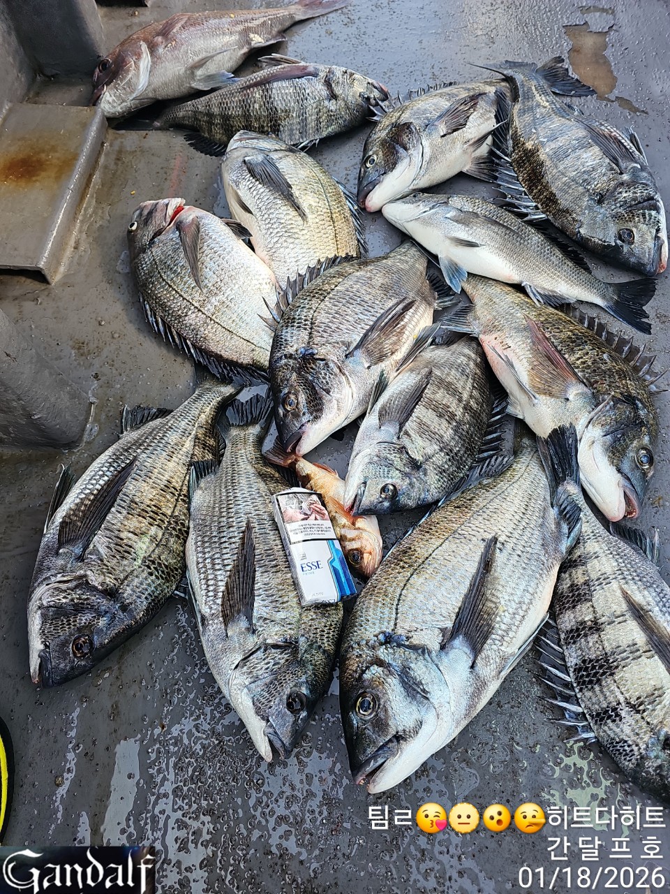
오늘도 깊은 어초에서 줄줄 흘려봤습니다
대물감성돔 48,47,46,45,45외
4짜덩치들 마릿수하고 복귀했습니다
연일 대물들 폭팔합니다
줄줄 흘려서 대물 만나보실분 계시면 언제든지 도전해 보세요
다녀가신분들 모두 수고많으셨습니다
감사합니다
☆최강 7톤급 4.99톤으로 넓고
편안한 낚시 즐겨 보아요 ^^
●갑오징어 선비 안내
새벽 ~ 오후 3시(9만원)
- 거제권 갑오징어 포인트 최다 보유
- 초보자도 쉽게 접근 가능(원포인트 레슨으로 즉시 낚시 가능)
- 낚시대 대여 가능(예약시 필히 요청)
- 12월까지 계속 출조합니다
●무늬 오징어 선비안내
오후 5시~ 새벽 1,2시 입항(10만원)
- 식사,음료,생수 제공됩니다/컵라면은 자유 이용가능
- 2인 이상 계속 출조 예정
※전투낚시는 독배 또는 바다 상황에 맞게 조정해보겠습니다
●돌문어 선비 안내
새벽 ~ 오후 2시 유동적(8만원)
- 식사, 음료, 생수 제공됩니다
- 낚시대 대여도 가능합니다
☆☆ 개인 그늘막/해수라인 준비 되어 있습니다 ☆☆
●참돔 선비안내
새벽 ~ 오후 2시 유동적(14만원)
-밑밥,미끼,식사,생수,커피 제공됩니다
●감성돔 선비 안내
새벽~오후 2시 유동적(11만원)
-밑밥,미끼,식사,생수,커피 제공됩니다
(대체미끼는 개인 지참)
▶출조시 구명조끼/신분증은 반드시 지참해주세.
▶ 예약문의: 간달프호 선장 010-6455-3914
- 부재시 문자주시면 빠른연락 드리겠습니다.
▶ 배타는곳; 경남 거제시 거제면 산달길 703번지
☆☆☆ 주소지 변경 참고 ☆☆☆
▶ 선비 입금하실때
수협 차행우 0010 6455 3914
▶ "간달프 거제"밴드
- 예약일정 확인 가능합니다.
https://band.us/band/72256733