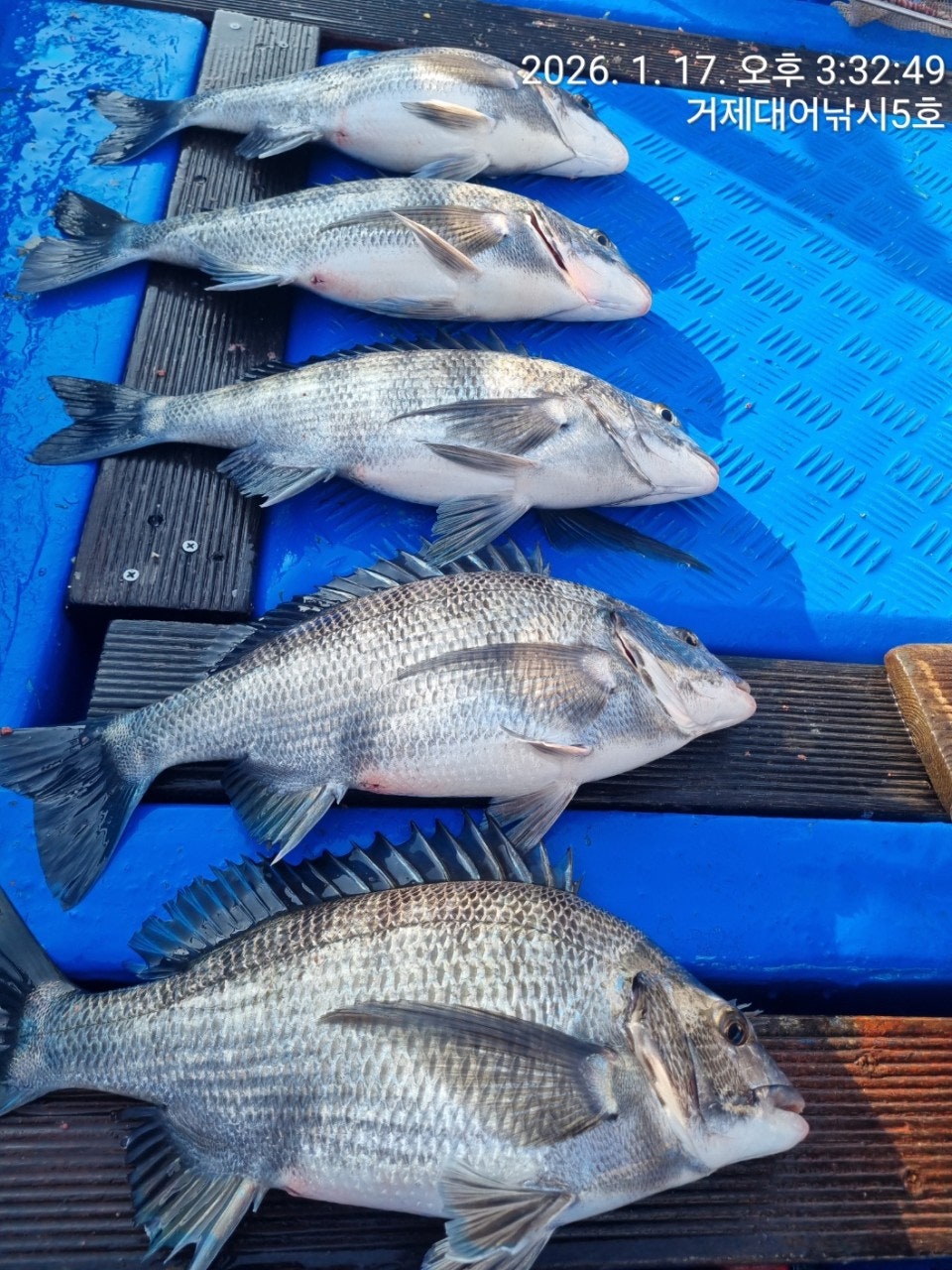
거제대어낚시5호 어초, 여밭 감성돔흘림낚시 조황입니다. 17일 조황입니다~ 제압이 힘든 대물 터트리고 좋은 조류 속 4짜 외 4짜급들로 마릿수 손맛 즐기셨네요 쭉 좋은 물때 구간 대물들의 움직임이 가장 활발할 시기입니다 승률 높은 포인트로 매일 진입하니 함께하실 분들 연락주십시오.
▦ 거제대어낚시 참돔 시상 내역 ▦ 일 1명씩 시상됩니다. 68Cm 이상 - 최상급 원줄 증정
■ 선외기 대여 (4인승)- 13만원, (3인승) - 10만원 / (2인승) - 8만원 / (1인승)- 7만원. 영업구역 내 조정면허증 필요 없으므로, 누구나 이용이 가능합니다. - 선외기 사용교육 3분이면 바로, 운전하실 수 있습니다.
★안전 주의 사항★ - 거제대어낚시 선단 이용시, 안전한 낚시를 위해 선착장 통로 이용시 미끌림을 주의 해 주시길 바랍니다. 통로 좌우에 있는 핸들을 잡고 이동하시면 안전합니다. - 선착장도착전, 배에서 미리 내리지 마시고, 배가 정박하고, 로프를 묶은 뒤에 하선해 주시길 바랍니다.
■ 주변 제휴 민박집 ■ 아지랑 민박(단체-독채) ☎010-6400-2082 해송굴구이민박 (단체) ☎010-2545-3755 거제 대어낚시 주변 파라스파찜질방 검색하시면 됩니다.
■ 환불 규정 ■ 거제대어낚시에서는 출조에 대한 환불규정을 아래와 같이 운영중입니다. "예약완료" 확정시 출조비 전액 환불이 되지 않습니다. 1일전, 도시락과 밑밥에 따른 실비외에 환불(출조일 변경 가능) 2일전, 출조비 전액 환불, "예약 완료" 공지 이후, 취소 요청시에는 환불되지 않습니다.