네임
카드
카드
포항포시즌호
포항시 북구 해안로515(여남방파제)
01071361235
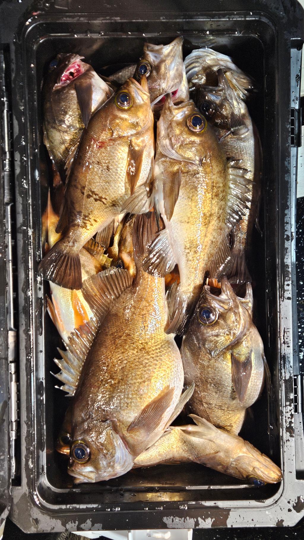
16조황>> 야간볼락 쿨러조황~굿~!(일 오후5시)
포항시 북구 해안로515(여남방파제)
낚시뚜에서 인낚으로 보내는 자동조황
| |||||||||||||||||||
포항 선상낚시 포/시/즌/호 2020.8 월 진수한 최신식 선상낚시배
예약문의 010 .7136. 1235
경상북도 포항시 북구 해안로 515 [여남방파제]
수 협 계좌번호 : 0010-7136-1235 (예금주 : 김나경)
실시간조황 및 예약현황 ▼▼▼ BAND 바로가기 | |||||||||||||||||||
1월 16일 금요일 (야간 볼락) 16일 금요일 야간볼락 사이즈 조코 마니마니~♡ 오신분들 고생하셨고 감사합니다 ● 18일 일요일 오후 5시 집합&출항 (야간볼락)~자리널널~ ● 19일 월요일 미리 예약주세요♡ [필독] *미끼사용안합니다! *쿨러 20~40리터이하~(대장쿨러절대금지!) *주간) 봉돌 70호(일제채비 6~7호) *야간) 봉돌 30~50호(일제채비 5~6호) 또는 루어 20~30그램(하야부사 바늘 묶어서~) ♡예약문의 010 7136 1235♡ 1/17 (토) * 예약마감 1/18 (일) * 열기&볼락 (오전) 예약마감 * 야간 라이트볼락 (오후) 5시 집합&출항 1/19 (월) * 열기&볼락 (오전) 6시 집합&출항 * 야간 라이트볼락 (오후) 5시 집합&출항 . . ● 주간 열기&볼락 (선비 8만원/6시간) >>낚시대대여비 : 1만원 >>채비세트 선상구매가능 * 채비(6~7호)에 봉돌 70호사용(미끼 절대금지) ● 야간 라이트볼락 (선비 8만원/6시간) >>낚시대대여비 : 1만원 >>채비세트 선상구매가능 *일제채비(5호~6호)에 봉돌30호 또는 루어20~30밑에 하야부사 바늘 묶어서 하시면 됩니다 ●정박지주소 : 포항시 북구 해안로515 (포항여남방파제) . . . | |||||||||||||||||||
![]() ![]() ![]() ![]() ![]() ![]() ![]() ![]() ![]() ![]() ![]() ![]() ![]() ![]() ![]() ![]() ![]() ![]() ![]() ![]() ![]() ![]() ![]() ![]() ![]() ![]() ![]() ![]() | |||||||||||||||||||
매일 전원히트~!! 포항선상낚시배중 가장 깨끗하고 편의시설 좋으며 간식거리 넘쳐나고 친절하고 아~~주 상냥한 선장님과 예약사무장까지~!! 이건 제일이라고 자신있게 말할수있습니다^_^ 이제 선상낚시도 하나의 서비스업으로 자리매김했다고 생각합니다. 비슷한 선비를 내고 어느배를 탈것인지는 조사님들의 몫이지요~ 우리 현명하신 조사님들의 탁월한 선택하시길 바라며 포시즌호는 늘 그자리에서 조사님들 기다릴께요 ♡포시즌호와 함께 좋은 추억만 가져가세요♡ | |||||||||||||||||||
| |||||||||||||||||||
![]() |
|
|
|
|

































