(감성돔)마릿수 행진~4짜3짜 빵빵한 돼지들~대양호(12일 예약)

신상품 소개


회원 랭킹


공지사항


NaverBand
점주/선장 > 선상 + 좌대 조황

(감성돔)마릿수 행진~4짜3짜 빵빵한 돼지들~대양호(12일 예약)

통영대양호국치마을 0 90
● 출항지 : 통영 ● 출조지 : 통영
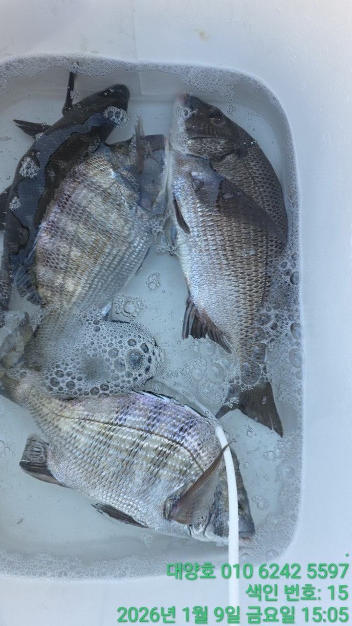
4짜 3짜 감성돔 구덩이 핫조황~
9일(금요일) 주간 통영 감성돔 흘림낚시 "대양호" (철수)핫조황입니다.
▣ 대양호 출조현황 ▶ https://band.us/band/82143442/post/3769
☆ 53Cm이상 체포시 아지카 & 대양호 공동이벤트 최상급라인 증정!!!

10일 11일 기상 악화 휴항
☆ 12일(월요일) 주간 대박POINT 감성돔 흘림낚시 "예약가능"
(감성돔) 대박 어초 빵빵한 4짜 3짜 이만큼~
  • 사용자가 올린 이미지
대형 주차장 주차, 바로 승선하는 편리한 시스템!!! 대양호.
통영 국치마을 대양호입니다.
꾸준한 조황을 보이는 통영 대박 어초 포인트 상당히 추운 날씨
였지만 따박 따박 이어지는 입질이 조사님들 손길을 바쁘게 했고,
겨울을 나기 위해 덩치를 키운 놈들의 막강한 파워에 손맛 욱씬하게
즐기고 마무리 합니다. 4짜 3짜 다양한 씨알들을 확인했고
다음주 살아나는 물때 구간 놈들의 입질이 더욱 활발해질 듯 하니
함께하실 분들 얼른 연락주십시오~

12일(월요일) 주간 통영권 감성돔 흘림낚시 예약 가능합니다.
오늘도 통영 대양호와 함께해주신 조사님들 수고 많으셨습니다.

▣ 대양호 출조 일정 안내 ▣ 기상만 좋으면 상시 출조!!!
▣ 대양호 출조안내 ▶ https://band.us/band/82143442/post/3867
☆1월 10일(토요일) 기상 악화 휴항
☆1월 11일(일요일) 기상 악화 휴항
☆1월 12일(월요일) 주간 통영권 감성돔 흘림낚시 "예약가능"
☆1월 13일(화요일) 주간 통영권 감성돔 흘림낚시 "예약가능"
☆1월 14일(수요일) 주간 통영권 감성돔 흘림낚시 "예약가능"
☆1월 15일(목요일) 주간 통영권 감성돔 흘림낚시 "예약가능"
※ 낚시체험 신청한분들 예약전 인원을 꼭~전달해주세요~(장비/구명복 대여)

★대양호 ☎ 010-6242-5597010 7375-7195
▩ 대양호 밴드 https://band.us/@daeyangho
(대주차장, 전용휴계실 운영)
▩ 통영 문어삼촌들 밴드 https://band.us/@tyds
(출항지) 통영시 인평동 506 (국치 2길 61)
  • 사용자가 올린 이미지
  • 사용자가 올린 이미지
  • 사용자가 올린 이미지
  • 사용자가 올린 이미지
▣ 통영 감성돔낚시 ▣
- 2026년 쭈욱 달립니다.

대양호 통영/거제권 주간(돌문어) 안내 ▣
평일(원도권) 주간 전투낚시 (최고의 핫한 포인트로 진입)
(시간) 6시 출발 ~ 입항 오후 3시 30까지(유동적) (원도권 10만원)
- 생수, 캔커피, 도시락제공
평일(야간) 돌문어낚시
(시간) 오후 5시 ~ 11시 철수

▣ 대양호 무늬오징어 팁런 안내 ▣
(월 화 수 목 일요일)
- 야간 팁런은 저녁 6시 출발~ 익일 새벽 1시까지 운영 (선비 9만원)
(금요일, 토요일) 야간 무늬오징어 팁런 전투낚시
- 오후 6시 출발~ 익일 새벽 3시까지 운영 (선비 12만원)
- 김밥,사발면, 커피 제공

▣▣ 문어체험낚시 (가족팀/단체팀 전문) ▣▣ "몸만 오십시요"
※ 낚싯대+릴+구명복 장비 (유상 1만원 대여 가능) 에기, 봉돌만 개인 준비

▧ 협력 숙박시설 이용 안내 ▧
- 고고 선단배에 한해 숙박료 10% 상시 할인 적용중입니다.
1) 마티스비치 스파펜션 ☎010-2361-3710 /통영시 국치1길 52-24
- 객실료의 10%할인 적용.
2) 바다52 스파 펜션 ☎010-4049-7873 / 통영시 국치1길 52-20
- 객실료의 10%할인 적용.

▣ 대양호 협력 선단 운영 ▣ 동일포인트 진입!
개인부터 단체까지 수용이 가능한 선단 구성입니다.
1) 6톤~12인승(두족류 전문)
2) 4.99톤~12인승(두족류전문)
3) 4.05톤~12인승(두족류.생활낚시)
★풍부한 포인트 관리로 항상 최선을 다하는 선단을 운영중입니다.

★예약 필수 - 입금확인시에만 "예약으로 확정"
전화상으로 예약은 예약 완료가 아닙니다. 다른 곳과 조황을 비교하면서
예약만 해두면 다른 조사님들이 그 피해를 볼 수 있습니다. 예약 취소는
비용 지출은 물론, 다른 분들의 즐거움을 망치는 행동으로 대양호에서는
절대 근절합니다.
★ 선내 구명복 미착용 및 음주 반입 행위는 법적인 책임을 질 수 있습니다.

★대양호 ☎ 010-6242-5597010 7375-7195
▩ 대양호 밴드 https://band.us/@daeyangho (대주차장, 전용휴계실 운영)
▩ 통영 문어삼촌들 밴드 https://band.us/@tyds
(출항지) 통영시 인평동 506 (국치 2길 61)
★예약계좌 ; 수협 0010-6242-5597 (예금주) 권득식
  • 사용자가 올린 이미지

, , , , , , , , , , , , , , , , , , , , , , , , , , , , , , , , , ,

  • 페이스북으로 보내기
  • 트위터로 보내기
  • 구글플러스로 보내기
  • 카카오스토리로 보내기
  • 네이버밴드로 보내기
  • 네이버로 보내기
  • 텀블러로 보내기
  • 핀터레스트로 보내기
0 댓글
포토 제목
 
 

인낚 최신글


인낚 최신댓글


온라인 문의 안내


월~금 : 9:00 ~ 18:00
토/일/공휴일 휴무
점심시간 : 12:00 ~ 13:00