네임
카드
카드
태성레저
경남 통영시 산양읍 풍화일주로 208
010-4127-1314
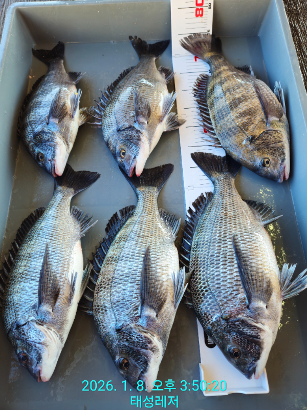
[풍화리 선외기 태성레저]감성돔 흘림+카고51/48/48/48/46외 조황
경남 통영시 산양읍 풍화일주로 208




















