열기 출조합니다
01월 09일(금)
인낚 현재접속자
4,566명 (
301
)
공지사항
인낚도서관
점주선장전용 공지사항
로그인
광고/제휴 문의
운영진에게
인낚ㅣ인터넷바다낚시
0
어종별선상
어종별갯바위
낚시인조황
점주선장조황
출조정보
낚시광장
낚시지식인
낚시교실
중고장터
휴게실
인낚도서관
인낚몰
0
어종별선상
어종별 선상조황
4대돔 조황
먹물 조황
갈치 조황
볼락&전갱이
빅게임 지깅&파핑
외줄&외수질
기타 어종
어종별 갯바위조황
4대돔 조황
먹물 조황
갈치 조황
볼락&전갱이
농어&삼치&방어&부시리
기타 어종
어종별갯바위
어종별 선상조황
4대돔 조황
먹물 조황
갈치 조황
볼락&전갱이
빅게임 지깅&파핑
외줄&외수질
기타 어종
어종별 갯바위조황
4대돔 조황
먹물 조황
갈치 조황
볼락&전갱이
농어&삼치&방어&부시리
기타 어종
낚시인조황
낚시인 번개조황
낚시인조행기
스탭조행기
우리낚시동호회이야기
전국낚시동호회소개
동호회갤러리
지난 조황자료보기(년도별 조황 자료)
점주선장조황
전국 실시간 조황
선상(배)+좌대 조황
갯바위+방파제 조황
점주선장전용 공지사항
지난 조황자료보기(년도별 조황 자료)
출조정보
낚시인동행출조
점주선장 갯바위 출조
점주선장 선상출조
기상파고정보(기상청)
해상예보
물때표
파고예보(일본)
실시간해양관측예보
스마트조석예보
낚시광장
낚시계뉴스
대회 및 낚시관련 홍보
제품평가단
신상품소개
낚시지식인
Q&A 묻고 답하기
지식인 베스트
조황/포인트 문의
낚시용품 사용기
낚시투표
토론방
新어류도감
낚시교실
낚시기법소개
어종별 낚시교실
입문자교실
중급자교실
낚시용어사전
중고장터
중고장터 이용후기
더치트 사기피해 검색
팝니다
삽니다
교환합시다
무료로 드립니다
부품팝니다
부품삽니다
일반 생활용품 사고 팔기
휴게실
출석부
낚시갤러리
세상사는 이야기(자유게시판)
낚시이야기 마당
먹고사는 이야기
구인구직
칭찬합니다
어째이런일이
습득물 찾기
인낚도서관
인낚 유튜브
인낚 칼럼
블루, 그것이 알고싶다
더블테일의 두 눈으로 보는 세상
입질의추억의 피싱다이어리
나無의 바다 이야기
전문강좌
海巖의 바다낚시 이야기
이성규의 전유동낚시 강좌
조성민의 금요루어클럽
메인
어종별선상
어종별갯바위
낚시인조황
점주선장조황
출조정보
낚시광장
낚시지식인
낚시교실
중고장터
휴게실
인낚도서관
인낚몰
0
전국 실시간 조황
선상(배)+좌대 조황
갯바위+방파제 조황
점주선장전용 공지사항
지난 조황자료보기(년도별 조황 자료)
점주/선장 >
선상 + 좌대 조황
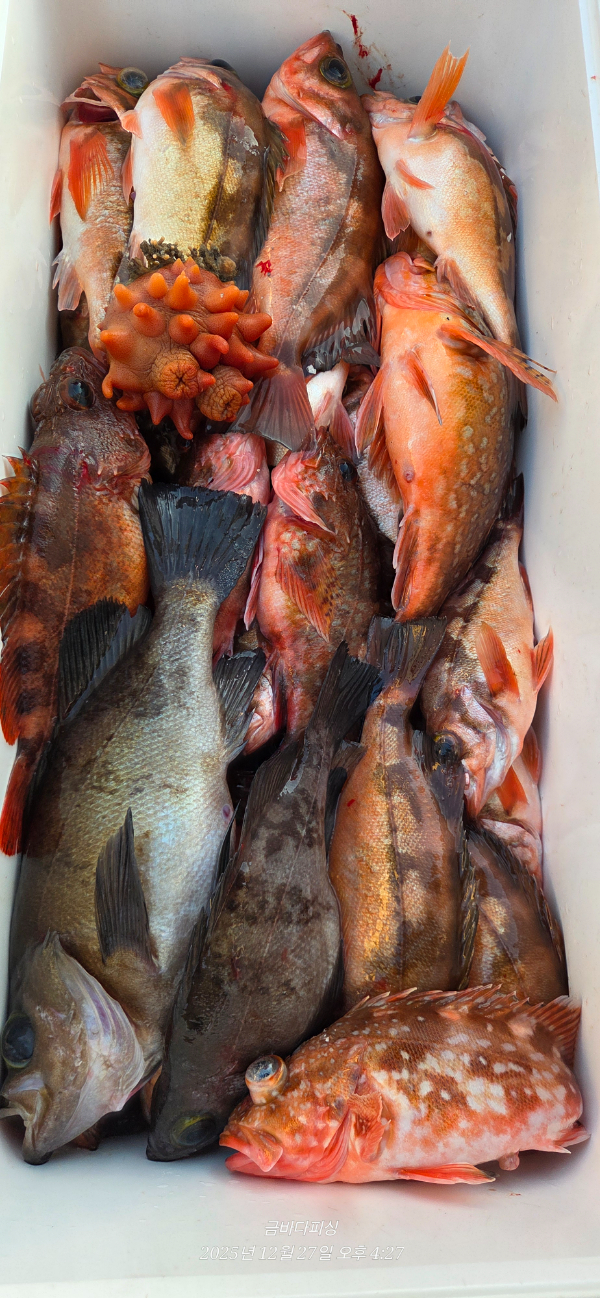
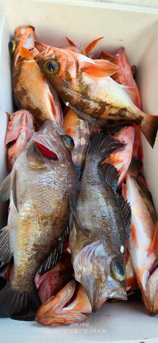
열기 출조합니다
금바다피싱
0
76
01.07 10:10
● 출항지 : 통영
● 출조인원 : 3~5명
네임
카드
금바다피싱
경남 통영시 산양읍 풍화일주로 448
010-3539-2105
실시간 예약
홈페이지
밴드 바로가기
유튜브/SNS
안녕하세요
금바다피싱 입니다
내일 8일 부터 열기 출조합니다
8일 비어있음
9일 비어있음
10일부터는 기상이 안좋아 지네요
출조하실분이나 궁금하신점
언제든 전화주세요
감사합니다
*** 통영 금바다피싱 예약 안내 ***
예약문의 : 010-3539-2105
오시는길 : 경남 통영시 산양읍 풍화일주로 448
홈페이지 : https://seagoldfishing.sunsang24.com/
0
신고
목록
0
댓글
로그인한 회원만 댓글 등록이 가능합니다.
×
Image Upload
로그인한 회원만 등록가능합니다.
포토
제목
이름
날짜
[고흥,녹동] 9일 돌돔덜덜이 실시간 ~
출항지 : 고흥,녹동 / 출조지 :
1고흥녹동장보고호1
0
28초전
1고흥녹동장보고호1
20:38
[진해] 야간낙지 사이즈 최고최고~마릿수 쭉쭉 뽑고~!!(예약가능)
출항지 : 진해 / 출조지 : 진해
진해라코피싱
27
4분전
진해라코피싱
20:35
[진해] 왕오징어 씨알억수로크다네요~기상이 좋아지면 출조합니다
출항지 : 진해 / 출조지 : 진해
엿쟁이낚시
60
9분전
엿쟁이낚시
20:30
[진해] 신발짝 왕열기 집중공략 떵떵떵 만쿨(월요일부터예약가능
출항지 : 진해 / 출조지 :
진해최강리드
94
9분전
진해최강리드
20:30
[고흥,녹동] 금요일 새벽 거문도선상 조황입니다~
출항지 : 고흥,녹동 / 출조지 : 고흥,녹동
풍남킹스타호
5
12분전
풍남킹스타호
20:27
[통영] [외줄] 줄타는 왕열기,볼락들(수요일부터,06시30분 출항 )
출항지 : 통영 / 출조지 :
삼덕레저호
67
14분전
삼덕레저호
20:25
[여수,광양] [여수플라워호] 9일 먼바다 열기 조황~ 신발짝 왕열기!! 14…
출항지 : 여수,광양 / 출조지 :
여수플라워호
3
19분전
여수플라워호
20:19
[진해] 열기볼락,이어지는 만쿨잔치 화욜부터, 예약가능/대포오징어,출항 …
출항지 : 진해 / 출조지 : 통영
진해대성낚시
11
22분전
진해대성낚시
20:17
[경주] 금요일밤 에스코트호에 왕오징어가 쭉쭉 뽑힙니다 월요일 예약중입니…
출항지 : 경주 / 출조지 :
감포에스코트호
9
22분전
감포에스코트호
20:16
[진해] 손맛끝판 감성돔 5짜 포함 총12수!!!
출항지 : 진해 / 출조지 : 거제
도선낚시
18
28분전
도선낚시
20:11
[진해] "감성돔" 48.46외 4짜들 조황입니다~(예약가능)
출항지 : 진해 / 출조지 : 거제
창원사랑호
133
29분전
창원사랑호
20:10
[통영] 통영신광호 감성돔카고 5짜부터4짜까지 조황입니다
출항지 : 통영 / 출조지 : 통영
통영신광호
11
29분전
통영신광호
20:09
[진해] (문어)대물은 원도권 K오버 중량급들 집중 공략~강민호(12일 …
출항지 : 진해 / 출조지 : 진해
진해강민호
36
34분전
진해강민호
20:05
[진해] 열기볼락,만쿨잔치 월,화,수,목,금,토,일 예약가능 대포오징어,…
출항지 : 진해 / 출조지 : 통영
진해대성낚시
60
34분전
진해대성낚시
20:05
[거제] (거제 FM 피싱호 ~참돔흘림)~출조계획 공지합니다
출항지 : 거제 / 출조지 :
FM피싱호
17
34분전
FM피싱호
20:04
초기화
날짜순
조회순
검색
1
2
3
4
5
Search
검색대상
제목
내용
제목+내용
회원아이디
회원아이디(댓글)
글쓴이
글쓴이(댓글)
또는
그리고
검색어
필수
검색
닫기
검색조건
제목
내용
제목+내용
회원아이디
회원아이디(코)
글쓴이
글쓴이(코)
검색어
또는
그리고
검색
인낚몰 초특가
MAEK 맥 호래기 대바늘 호래기콕 J타입 (카본바디 2입)
어부공방 NEW 호래전
야마시타 SB 호래기 대바늘
★3,000★ 하야부사 6단 볼락 전갱이 카드채비 SD724 볼락채비
★1,000★볼락낚시에 최적인 메바트로볼 - 캐스팅볼, 메바볼
★13,000~★3NO 일본 오리지날 직수입 극강 멀티 무광 마크사 원줄
★500★ W쿠션 멀티 수중찌 M L - 전유동 반유동 끄심바리 필수품 수중쿠션
★5,900★ 여러개 있으면 아주 좋은 EVA 시스템 백
★ 1+1 플로팅, 세미, 카본 낚시줄 행사 호수선택가능 / 택상 1+1 원줄, 목줄 행사
★6,000★ 예민함의 끝판왕 애니원찌 벵에돔찌 학공치찌
★15,000★ 오동목 구멍찌 5개 + 메쉬 찌케이스 세트
★22만원★ 40W 집어등을 이 가격에!