네임
카드
카드
하동남해청풍피싱
경남 하동군 금남면 미법마을길 49-23 (남해대교 옆 선창)
010-3856-7355
떼감시를 만나다!!! 계속되는 타작 조황.
경남 하동군 금남면 미법마을길 49-23 (남해대교 옆 선창)
안녕하세요! 하동남해 청풍피싱입니다.
일요일 7분의 조사님 모시고 감성돔 체포작전 펼쳤습니다.
좋은 포인트에 도착했는데 백중사리라
물이 장난아니게 쎄더라구요.
할수없이 만조시간을 기다려야 했습니다.
만조 가까이 되니 물이 약해지는걸 보고 집어 시작했습니다.
아니나다를까 첫 고기가 43입니다.
그때부터 시작!
끝날때까지 덩치및 중치, 위판사이즈 감성돔들이 계속 물었습니다.
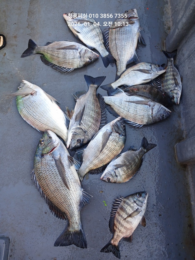
사진 보시죠.











감시 녀석들 또 타작했네요 ㅎㅎ
무슨말이 더 필요하겠습니까!
동출하실분은 연락주세요
선장 010 3856 7355
물 들어올때 배 띄워 노 저어 봅시다.
감성돔 잡으러 하동남해로 오시다
1분이든 2분이든 예약 해 주시면 인원 취합후 기상만 허락한다면 계속 출항합니다.
주,야간 쭈~~욱 예약 받습니다.
조용한 평일 출조 환영합니다
주말 미리미리 빠른예약은 필수입니다.
다녀가신 조사님들 수고많이 하셨습니다
감사합니다.