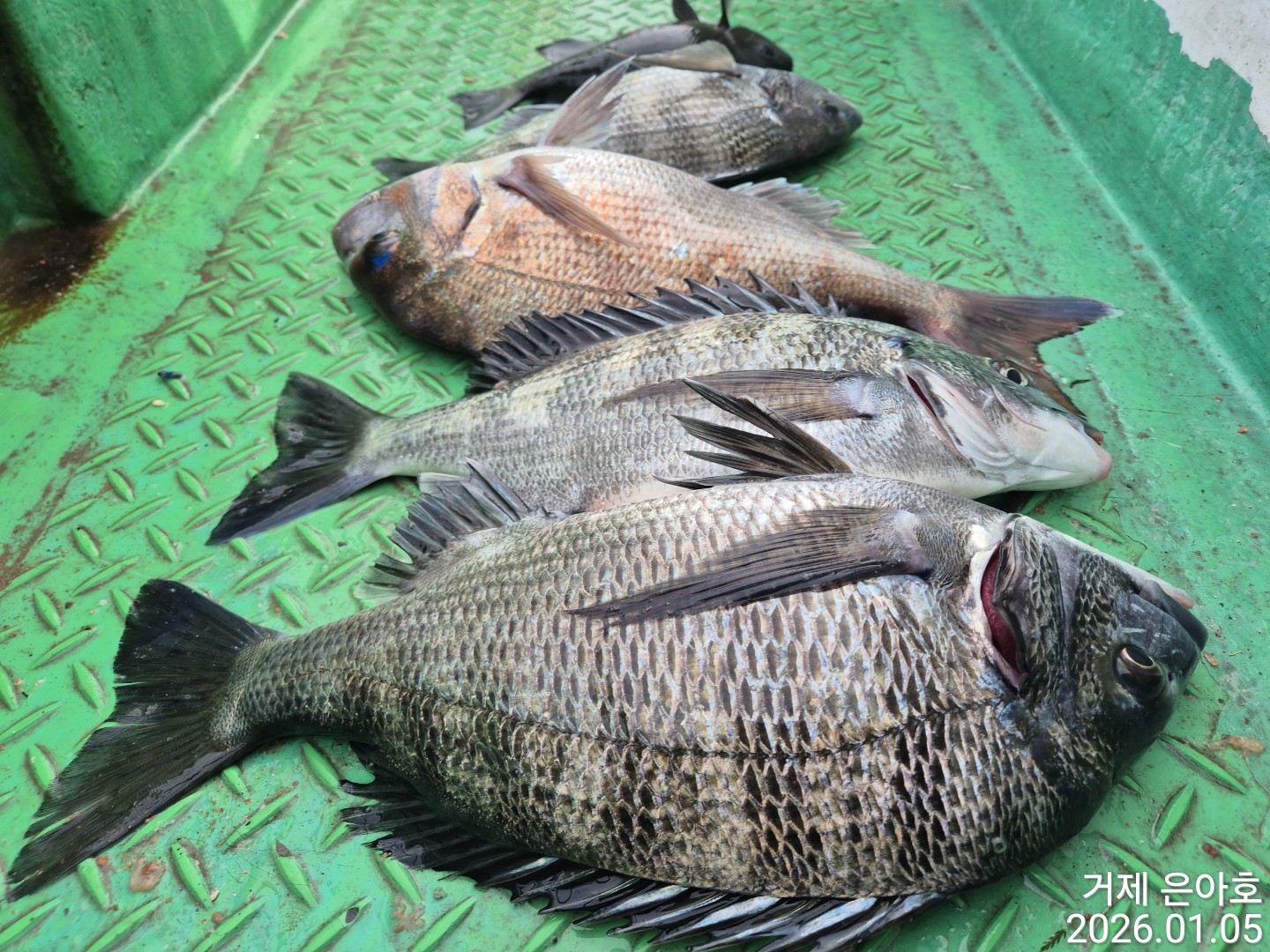
《감성돔 》4짜4짜외 대물 2방팅팅~어초에서 ~

신상품 소개


회원 랭킹


공지사항


NaverBand
점주/선장 > 선상 + 좌대 조황

《감성돔 》4짜4짜외 대물 2방팅팅~어초에서 ~

거제은아호 1 65
● 출항지 : 거제 ● 출조지 : 거제
밴드 바로가기 유튜브/SNS
da4820953b4f24873ac9b2f02bc66283_1767589970_1087.jpg



da4820953b4f24873ac9b2f02bc66283_1767589970_7415.jpg



da4820953b4f24873ac9b2f02bc66283_1767589971_1738.jpg



da4820953b4f24873ac9b2f02bc66283_1767589971_6018.jpg



da4820953b4f24873ac9b2f02bc66283_1767589972_0146.jpg



da4820953b4f24873ac9b2f02bc66283_1767589972_4516.jpg
 
#점주조황 #선상낚시 #흘림찌낚시 #감성돔 #참돔흘림 #돌문어 #생활낚시(뽈락,전갱이,고등어등등)

《감성돔》4짜4짜외 대물 두방 팅 팅~어초에서 ~
                 내일 예약 가능합니다.

《감성돔》오늘도 찌 줄줄 흘리고왔습니다.
아침 피팅 타임에 대물 두방은 불감당 파워에 팅 팅~
어초에서  막강파워 대물감성돔들이 달려듭니다 
 채비는 항상 튼튼하게 해오세요 
손맛  몸맛 느끼실분 도전해보세요 
황금물때 좋은물때 대물사냥 이어집니다.
언제나 부담없이 연락주세요 

거제은아호 입니다 
선장님들의 풍부한 경험으로 초보자분도 부담없이 연락주시면 친절하게 가르처 드립니다.

★감성돔낚시★
종일낚시: 새벽부터 - 2~3시까지 / 11만원
오전낚시: 새벽부터 - 11시까지 / 8만원
오후낚시: 1시부터 - 해질때까지 / 8만원
※독배는 시간 조정 가능합니다.※

★참돔낚시★
종일낚시 : 새벽부터 - 2시 전ㆍ후까지
오후낚시 : 1시부터 - 해질때까지 (3명부터 출조합니다.)
14만원=밑밥.미끼.도시락.커피.음료수.생수다포함.
장비ᆞ쿨러만 가져오시면 됩니다.
(몇대는 대여가능합니다.미리 말씀해주세요.)

★돌문어★
아침부터 - 2시 전ㆍ후/ 9만원
독배는 시간 조정 가능합니다.
※낚시대 무상대여 해드립니다.※
※채비 만원에 무한제공 해드립니다.몸만 오셔도 됩니다.※

★생활낚시(뽈락+전갱이)★
오전낚시 6시 ~ 11시까지/ 8만원
오후낚시 1시 ~ 6시까지/ 8만원
종일낚시 6시~2~3시까지/ 11만원
독배는 시간 조정 가능합니다.
※3명부터 출항합니다※

★환불규정★
당일~1일전 ~ 환불불가.
2일전           ~ 50%환불.
※단 예약이 들어오면 환불해 드립니다.※

★은아호선단★
거제 은아1호 ㅡ 다이아몬드호
거제 은아3호 ㅡ 레전드호
거제 은아5호 ㅡ 대진호
※협력선단 ㅡ  최강피싱※

★찾아오시는길★
주소 : 거제시 거제면 법동리 536-24(법동낚시공원)
★★★신분증 꼭 지참해주세요★★★

☎예약문의☎
예약전화 : 010-6292-7634
문의전화 : 010-9084-7634

☆은아펜션 운영합니다.☆
거제시 거제면 거제남서로 4234

♡낚시하시고 씻고 가실수 있습니다♡
♡고기 손질하고 가실수 있습니다♡
♡낚시 출조 손님은 펜션 이용시 50% 할인 합니다♡

  • 페이스북으로 보내기
  • 트위터로 보내기
  • 구글플러스로 보내기
  • 카카오스토리로 보내기
  • 네이버밴드로 보내기
  • 네이버로 보내기
  • 텀블러로 보내기
  • 핀터레스트로 보내기
1 댓글
포토 제목
 
 

인낚 최신글


인낚 최신댓글


온라인 문의 안내


월~금 : 9:00 ~ 18:00
토/일/공휴일 휴무
점심시간 : 12:00 ~ 13:00