낚시뚜에서 인낚으로 보내는 자동조황
| |||||||||||||||||||
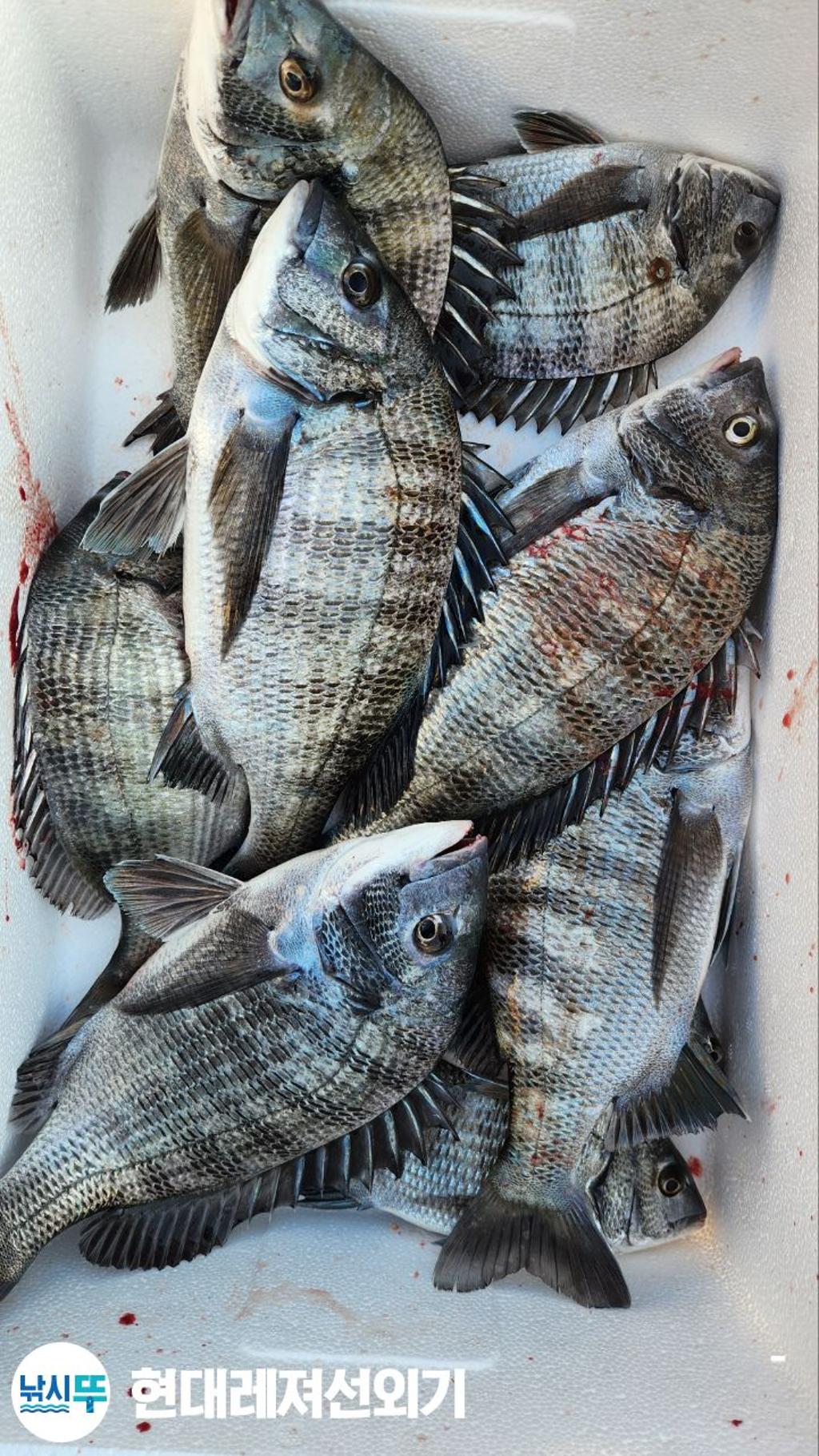
통영 풍화리 선외기 현/대/레/져
4인승 : 14대 보유 [20마력3대][25마력 4대][30마력 3대] 90마력선실형4인승 4대 보유 2ton / 선외기 업체 유일 90마력 파워 4인승 선실형4인승에는 전동윈찌및어탐기가 설치되어있어 모든쟝르의루어낚시하기에 최적화되어있습니다 빠른 포인트 진입 및 안정감 장시간 낚시 하는데 피로감 현저히 줄여줍니다 선체내 작은선실 아이들이나 여성분들 날씨가 춥거나 비와 바람이 강할때 휴식공간 영업구역내 면허증 없이 잠깐동안 작동법 숙지하시면 누구가 쉽게 이용가능합니다 저희업장은 대여용 구명동의를 최신형 팽창식조끼를 구비하여 놓았습니다 문의 010-4860-0200
주소 경상남도 통영시 산양읍 풍화리 829-6 [산양초등학교 풍화분교앞]
준비물 개인낚시장비,채비,미끼,도시락
채비,미끼는 미리 전문 낚시점에서 구입 부탁드립니다. 현대레저 밴드 https://band.us/n/acaa2azezfe7f 현대레저 블로그 https://blog.naver.com/hyb012 현대레저 밴드 / 블로그 실시간 조황과 이벤트가 준비되어있습니다 1인승자격증보유자한함 8만원원 2인승 10만원 3인승 130,000원 일반4인승 150000원 선실형4인승 170000원 | |||||||||||||||||||
![]() ![]() ![]() ![]() ![]() ![]() ![]() ![]() ![]() ![]() ![]() | |||||||||||||||||||
고생하셨고요 수고하셨습니다 감사합니다 | |||||||||||||||||||
겨울철 대물시즌 맞이하여 여러어장 임대 닻작업 많이해두었습니다. 곤리 소장군도 미역 다시마 굴양식장 지금 까지와 다른 다량의포인트 개발확보작업으로 원하는포인트 언제든지 진입 낚시 할수있는 여건을 마련였습니다 언제든지찾아주세요 언제나 즐겁고 행복한 시간이 되도록 준비하는 현대레저 입니다 문의 010-4860-0200
주소 경상남도 통영시 산양읍 풍화리 829-6 [산양초등학교 풍화분교앞] 준비물 개인낚시장비(낚시대 카고전용2~3호대) 채비(카고20~30호10개) 미끼(옥수수캔,백크릴,대체미끼)
흘림1~1.5호대및원줄2.5호~3호 찌는2~3호목줄1.7~2호 생활낚시 /체험낚시 [겨울전어,뽈락,밀치,쥐치] 문의환영
참돔채비시 여러가지조법이 이용되지만 대체로감성돔과비슷합니다. 다른점은 카드변형체비로 볼락카드를강하게 사용한다생각하시면됩니다 사용되는 기둥줄 자체제작 무료드리고있으니 나머지(목줄.바늘)만준비 궁굼한점은 문의주시기바랍니다 . 참돔대물시즌에는 원줄5.6호 목줄5.6호 사용하시고 바늘은 10~12호면8짜이상은 무리가없으리라 생각됩니다 채비,미끼는 미리 전문 낚시점에서 구입 부탁드립니다. | |||||||||||||||||||
| |||||||||||||||||||
![]() |
|
|
|
|
















