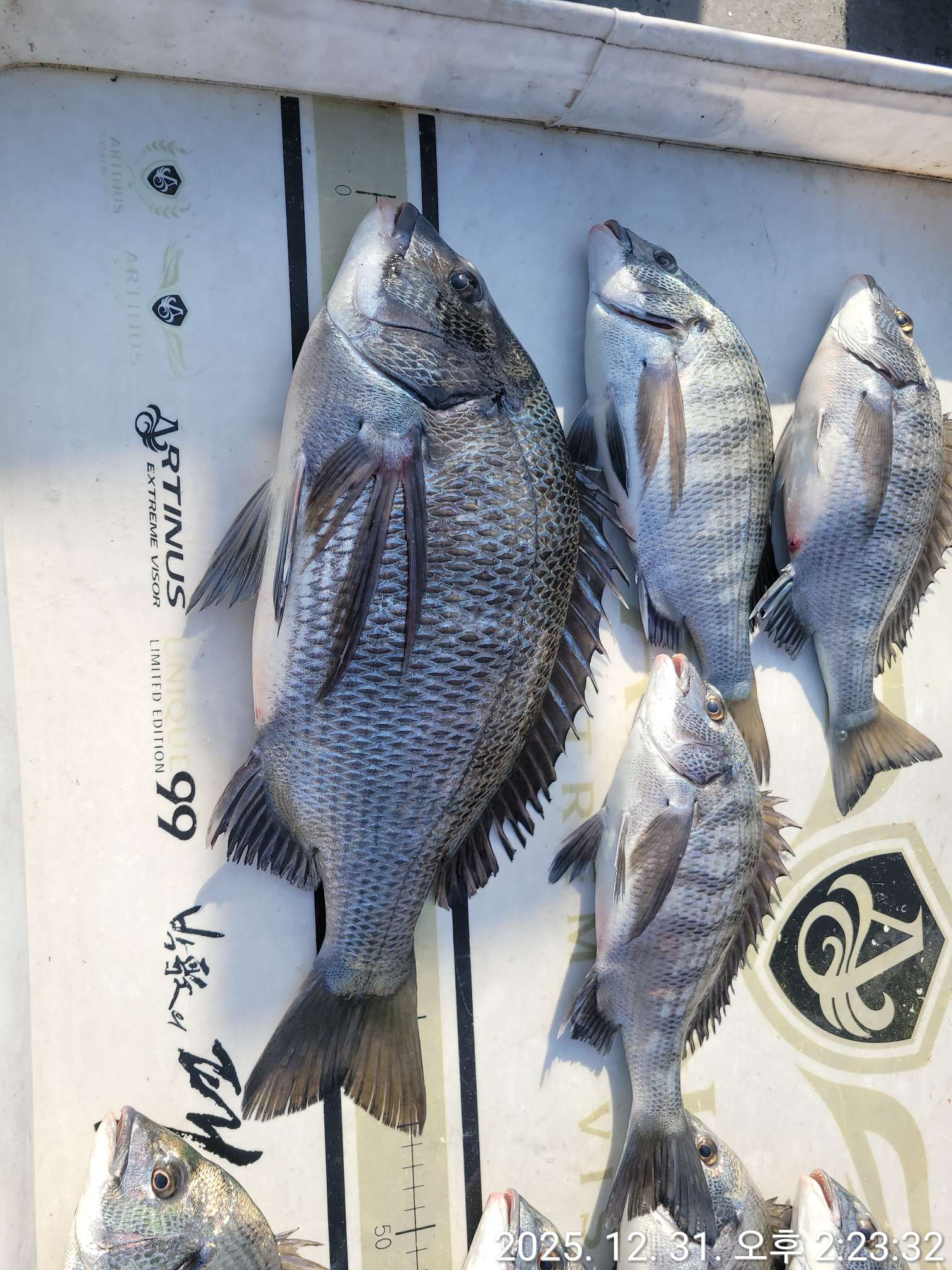
흘림46외3짜총8수두분조황

신상품 소개


회원 랭킹


공지사항


NaverBand
점주/선장 > 선상 + 좌대 조황

흘림46외3짜총8수두분조황

진해니모호 0 30
● 출항지 : 진해 ● 출조지 : 진해
밴드 바로가기
♡(조황안내)♡
    안녕하세요.
    선상생활낚시진해니모호입니다.
♡1월 감성돔예약 받습니다     
   두분46외3짜총8수조황 입니다  
        1일 목요일      예약완료 
        2일 금요일      자리여유 
        3일 토요일      예약완료 
        4일 일요일      자리여유 
        5일 월요일      자리여유 
        6일 화요일      자리여유 
주중~ 주말 예약중~ 
  예약:010-4580-6737 (독배환영)
 ♡(니모호 예약안내)♡
예약: 3톤 니모호 
생수 캔커피 식사 제공합니다
수세식 화장실로 여성분들도 편안하게 선상낚시를 즐길수 있습니다 
조사님들을 위해 최선의 노력을 다하는 니모호 입니다
궁금하신점 전화주시면 상세한 설명 드리겠습니다~
배타는곳: 경남 창원시 진해구 진희로36 ( 제황산동 51 )
- 속천여격터미널 GS편의점 옆52m
♡감성돔 출조 안내♡
(  11월 부터 출조합니다)
출조시간 : 오전 6시 출항  오후 2시 입항(유동적)
준비물 : 감성돔 낚시대 막대찌(2호 3호 )   기포기 
점심은 라면 입니다
선비 : 10만원(밑밥, 미끼크릴 포함)
 ♡(백조기 출조안내)♡
출조시간: 오전6시출항 오후1시입항 (유동적)
준비물: 청개비(2~3통) 
끝이낭창한 연질대(낚시대2~4미터 잡어대 루어대 모두가능)
볼락3봉바늘(빙글뱅글12~13호) 고리추(25~30호) 쿨러 가져오시고
초보도 쉽게 잡을수 있도록 도와드립니다
(점심은 미제공 식사는 개인준비 입니다)
선비: 6만원
♡(돌문어 출조안내)♡
출조시간: 오전6시출항 오후1시30분입항(유동적)
준비물: 문어낚시대 왕눈이애기 추30,40호
여유있게 준비하세요
쿨러(얼린생수2개) 가져오시고 그냥오셔도 됩니다
초보도 쉽게 잡을수 있도록 도와 드립니다
(점심은 문어라면  입니다)
선비: 6만원
낚시대 및 베이트릴 대여 1만원입니다.
(밴드에 오시면 빠른조항과 예약현황을 확인할수 있습니다)
네이버밴드(니모호) 바로가기
https://band.us/n/a2a4A6w8YdkeN

[네이버 지도]
경남 창원시 진해구 속천동 11
https://naver.me/GG7T98Kz

 주세요

  • 페이스북으로 보내기
  • 트위터로 보내기
  • 구글플러스로 보내기
  • 카카오스토리로 보내기
  • 네이버밴드로 보내기
  • 네이버로 보내기
  • 텀블러로 보내기
  • 핀터레스트로 보내기
0 댓글
포토 제목
 
 

인낚 최신글


인낚 최신댓글


온라인 문의 안내


월~금 : 9:00 ~ 18:00
토/일/공휴일 휴무
점심시간 : 12:00 ~ 13:00