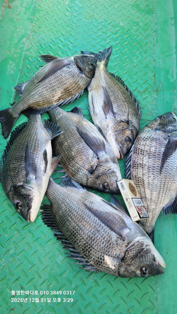
통영한바다호ㅡ감성돔 25년 마지막 날 카고 4짜~~
01월 01일(목)
인낚 현재접속자
4,459명 (
298
)
공지사항
인낚도서관
점주선장전용 공지사항
로그인
광고/제휴 문의
운영진에게
인낚ㅣ인터넷바다낚시
0
어종별선상
어종별갯바위
낚시인조황
점주선장조황
출조정보
낚시광장
낚시지식인
낚시교실
중고장터
휴게실
인낚도서관
인낚몰
0
어종별선상
어종별 선상조황
4대돔 조황
먹물 조황
갈치 조황
볼락&전갱이
빅게임 지깅&파핑
외줄&외수질
기타 어종
어종별 갯바위조황
4대돔 조황
먹물 조황
갈치 조황
볼락&전갱이
농어&삼치&방어&부시리
기타 어종
어종별갯바위
어종별 선상조황
4대돔 조황
먹물 조황
갈치 조황
볼락&전갱이
빅게임 지깅&파핑
외줄&외수질
기타 어종
어종별 갯바위조황
4대돔 조황
먹물 조황
갈치 조황
볼락&전갱이
농어&삼치&방어&부시리
기타 어종
낚시인조황
낚시인 번개조황
낚시인조행기
스탭조행기
우리낚시동호회이야기
전국낚시동호회소개
동호회갤러리
지난 조황자료보기(년도별 조황 자료)
점주선장조황
전국 실시간 조황
선상(배)+좌대 조황
갯바위+방파제 조황
점주선장전용 공지사항
지난 조황자료보기(년도별 조황 자료)
출조정보
낚시인동행출조
점주선장 갯바위 출조
점주선장 선상출조
기상파고정보(기상청)
해상예보
물때표
파고예보(일본)
실시간해양관측예보
스마트조석예보
낚시광장
낚시계뉴스
대회 및 낚시관련 홍보
제품평가단
신상품소개
낚시지식인
Q&A 묻고 답하기
지식인 베스트
조황/포인트 문의
낚시용품 사용기
낚시투표
토론방
新어류도감
낚시교실
낚시기법소개
어종별 낚시교실
입문자교실
중급자교실
낚시용어사전
중고장터
중고장터 이용후기
더치트 사기피해 검색
팝니다
삽니다
교환합시다
무료로 드립니다
부품팝니다
부품삽니다
일반 생활용품 사고 팔기
휴게실
출석부
낚시갤러리
세상사는 이야기(자유게시판)
낚시이야기 마당
먹고사는 이야기
구인구직
칭찬합니다
어째이런일이
습득물 찾기
인낚도서관
인낚 유튜브
인낚 칼럼
블루, 그것이 알고싶다
더블테일의 두 눈으로 보는 세상
입질의추억의 피싱다이어리
나無의 바다 이야기
전문강좌
海巖의 바다낚시 이야기
이성규의 전유동낚시 강좌
조성민의 금요루어클럽
메인
어종별선상
어종별갯바위
낚시인조황
점주선장조황
출조정보
낚시광장
낚시지식인
낚시교실
중고장터
휴게실
인낚도서관
인낚몰
0
전국 실시간 조황
선상(배)+좌대 조황
갯바위+방파제 조황
점주선장전용 공지사항
지난 조황자료보기(년도별 조황 자료)
점주/선장 >
선상 + 좌대 조황
통영한바다호ㅡ감성돔 25년 마지막 날 카고 4짜~~
통영한바다호
0
57
8시간전
● 출항지 : 통영
● 출조인원 : 3~5명
네임
카드
한바다호
경남 통영시 도산면 도산일주로 2209
010-3849-0317
실시간 예약
홈페이지
밴드 바로가기
유튜브/SNS
병오년 새해 복많이 받으시고
어복 충만 하시길 바랍니다
26년 해돋이선상은 바람도불고 해서
취소하고 휴무중입니다
2일도 바람 있지만
등바람 이라 날물만 보고
상황봐서 들물도 할수있슴 더하고
예약은 날물만 보는걸로 받습니다
출항은 7시30분 하고
철수는 미정입니다
가실분 전화주세요
사량도권으로 나갑니다
26년도 통영한바다호와 함께 ~~~
*** 통영 한바다호 예약 안내 ***
예약문의 : 010-3849-0317
오시는길 : 경남 통영시 도산면 도산일주로 2209
홈페이지 : https://hanbadaho.sunsang24.com/
☆☆북통영 ic에서 5분 거리입니다
0
신고
목록
0
댓글
로그인한 회원만 댓글 등록이 가능합니다.
×
Image Upload
로그인한 회원만 등록가능합니다.
포토
제목
이름
날짜
[거제] 새해 감성돔흘림조황입니다
출항지 : 거제 / 출조지 : 거제
프로포즈호
3
3분전
프로포즈호
20:42
[진해] 야간낙지 씨알최고~마릿수 쭉쭉 뽑고~!!(토,일,월 예약중)
출항지 : 진해 / 출조지 : 진해
진해라코피싱
19
5분전
진해라코피싱
20:40
[통영] [지깅].방어,부시리,새해첫날,조황""(토,월출항확정)
출항지 : 통영 / 출조지 :
삼덕레저호
29
5분전
삼덕레저호
20:40
[마산] 신조9톤 주말 토,일 쭈꾸미.야간낙지 출항합니다~손맛보러 오세요…
출항지 : 마산 / 출조지 : 마산
신조선짱구호원전항
27
15분전
신조선짱구호원전항
20:30
[고성] 어초밭의감성돔들(46외.흘림)
출항지 : 고성 / 출조지 : 통영
시인의바다
24
18분전
시인의바다
20:27
[사천] 2026년 1월 1일 새해 첫날 원도권 돌문어 출조, 차가운 수…
출항지 : 사천 / 출조지 :
블랙드래곤
7
20분전
블랙드래곤
20:25
[사천] ^1일(목) 왕쭈 조황입니다 "선비5만/점심제공" 쭈욱 예약중입…
출항지 : 사천 / 출조지 :
삼천포태진피싱
10
29분전
삼천포태진피싱
20:15
[진해] 원도권 돌문어 토 일 예약가능 ~ KKK문어 굿
출항지 : 진해 / 출조지 : 진해
진해제네시스호
28
35분전
진해제네시스호
20:10
[통영] 카고 대물 감성돔
출항지 : 통영 / 출조지 : 통영
통영아라피싱
37
58분전
통영아라피싱
19:47
[통영] 26/1/1 통영 재영호 선외기 레저 감성돔 (흘림`카고)조황
출항지 : 통영 / 출조지 : 통영
통영재영호선외기레져
44
58분전
통영재영호선외기레져
19:46
[경주] 1/1 새해 첫날 대삼치&줄타는 열기,우럭들(토,일,월~모집)
출항지 : 경주 / 출조지 : 경주
읍천테크호
21
1시간전
읍천테크호
19:39
[진해] [진해대박낚시]해돋이 참돔 타이라바
출항지 : 진해 / 출조지 :
진해대박낚시
34
1시간전
진해대박낚시
19:38
[진해] 감성돔(카고)ㅡ17수 ,연일 4짜후반.중반.초반급 마릿수로 손맛…
출항지 : 진해 / 출조지 : 거제
진해레져
66
1시간전
진해레져
19:35
[남해] 5-4. 5-5짜
출항지 : 남해 / 출조지 : 남해
산다라호
32
1시간전
산다라호
19:33
[마산] 감성돔 어초여밭흘림 조황 일요일 출조예약받습니다
출항지 : 마산 / 출조지 : 마산
혜인호
30
1시간전
혜인호
19:31
초기화
날짜순
조회순
검색
1
2
3
4
5
Search
검색대상
제목
내용
제목+내용
회원아이디
회원아이디(댓글)
글쓴이
글쓴이(댓글)
또는
그리고
검색어
필수
검색
닫기
검색조건
제목
내용
제목+내용
회원아이디
회원아이디(코)
글쓴이
글쓴이(코)
검색어
또는
그리고
검색
인낚몰 초특가
★3,000★ 하야부사 6단 볼락 전갱이 카드채비 SD724 볼락채비
★1,000★볼락낚시에 최적인 메바트로볼 - 캐스팅볼, 메바볼
★13,000~★3NO 일본 오리지날 직수입 극강 멀티 무광 마크사 원줄
★500★ W쿠션 멀티 수중찌 M L - 전유동 반유동 끄심바리 필수품 수중쿠션
★5,900★ 여러개 있으면 아주 좋은 EVA 시스템 백
★ 1+1 플로팅, 세미, 카본 낚시줄 행사 호수선택가능 / 택상 1+1 원줄, 목줄 행사
★6,000★ 예민함의 끝판왕 애니원찌 벵에돔찌 학공치찌
★15,000★ 오동목 구멍찌 5개 + 메쉬 찌케이스 세트
★22만원★ 40W 집어등을 이 가격에!
★5,000★ 전층쿠션 15세트입 S / L 사이즈
★2,000★ 전층쿠션 5세트입 S / L 사이즈
★10,000 미니집어등5개 + 425배터리 1개 + 스토퍼고무 10개