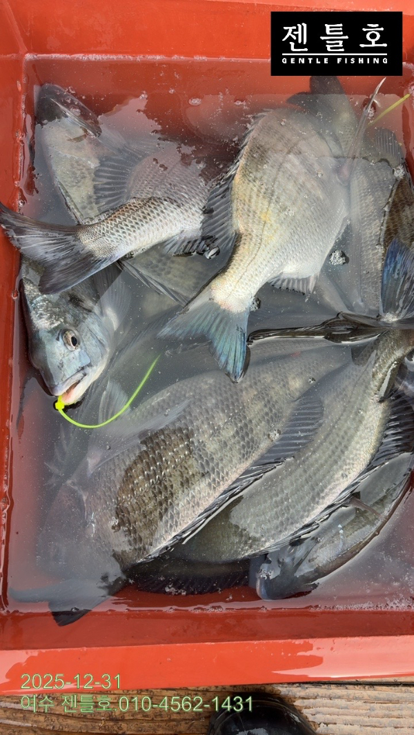
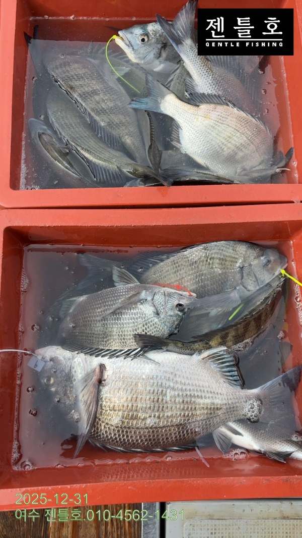
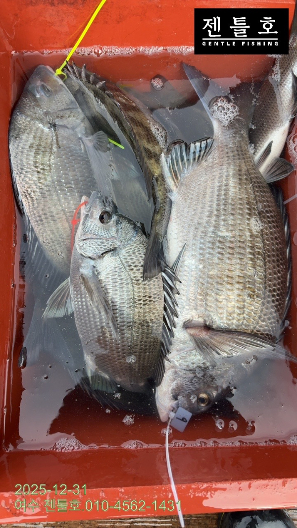
[여수 젠틀호] #감성돔선상 12.31 조황입니다.
01월 01일(목)
인낚 현재접속자
4,281명 (
282
)
공지사항
인낚도서관
점주선장전용 공지사항
로그인
광고/제휴 문의
운영진에게
인낚ㅣ인터넷바다낚시
0
어종별선상
어종별갯바위
낚시인조황
점주선장조황
출조정보
낚시광장
낚시지식인
낚시교실
중고장터
휴게실
인낚도서관
인낚몰
0
어종별선상
어종별 선상조황
4대돔 조황
먹물 조황
갈치 조황
볼락&전갱이
빅게임 지깅&파핑
외줄&외수질
기타 어종
어종별 갯바위조황
4대돔 조황
먹물 조황
갈치 조황
볼락&전갱이
농어&삼치&방어&부시리
기타 어종
어종별갯바위
어종별 선상조황
4대돔 조황
먹물 조황
갈치 조황
볼락&전갱이
빅게임 지깅&파핑
외줄&외수질
기타 어종
어종별 갯바위조황
4대돔 조황
먹물 조황
갈치 조황
볼락&전갱이
농어&삼치&방어&부시리
기타 어종
낚시인조황
낚시인 번개조황
낚시인조행기
스탭조행기
우리낚시동호회이야기
전국낚시동호회소개
동호회갤러리
지난 조황자료보기(년도별 조황 자료)
점주선장조황
전국 실시간 조황
선상(배)+좌대 조황
갯바위+방파제 조황
점주선장전용 공지사항
지난 조황자료보기(년도별 조황 자료)
출조정보
낚시인동행출조
점주선장 갯바위 출조
점주선장 선상출조
기상파고정보(기상청)
해상예보
물때표
파고예보(일본)
실시간해양관측예보
스마트조석예보
낚시광장
낚시계뉴스
대회 및 낚시관련 홍보
제품평가단
신상품소개
낚시지식인
Q&A 묻고 답하기
지식인 베스트
조황/포인트 문의
낚시용품 사용기
낚시투표
토론방
新어류도감
낚시교실
낚시기법소개
어종별 낚시교실
입문자교실
중급자교실
낚시용어사전
중고장터
중고장터 이용후기
더치트 사기피해 검색
팝니다
삽니다
교환합시다
무료로 드립니다
부품팝니다
부품삽니다
일반 생활용품 사고 팔기
휴게실
출석부
낚시갤러리
세상사는 이야기(자유게시판)
낚시이야기 마당
먹고사는 이야기
구인구직
칭찬합니다
어째이런일이
습득물 찾기
인낚도서관
인낚 유튜브
인낚 칼럼
블루, 그것이 알고싶다
더블테일의 두 눈으로 보는 세상
입질의추억의 피싱다이어리
나無의 바다 이야기
전문강좌
海巖의 바다낚시 이야기
이성규의 전유동낚시 강좌
조성민의 금요루어클럽
메인
어종별선상
어종별갯바위
낚시인조황
점주선장조황
출조정보
낚시광장
낚시지식인
낚시교실
중고장터
휴게실
인낚도서관
인낚몰
0
전국 실시간 조황
선상(배)+좌대 조황
갯바위+방파제 조황
점주선장전용 공지사항
지난 조황자료보기(년도별 조황 자료)
점주/선장 >
선상 + 좌대 조황
[여수 젠틀호] #감성돔선상 12.31 조황입니다.
여수젠틀호
0
28
10시간전
● 출항지 : 여수,광양
● 출조인원 : 6~10명
네임
카드
젠틀호
전라남도 여수시 신월5길 55
010-4562-1431
실시간 예약
홈페이지
밴드 바로가기
유튜브/SNS
#감성돔선상 #감성돔
안녕하십니까 . 여수 젠틀호 입니다.
31.수.감성돔선상 조황입니다.
새해 복 많이 받으세요.
올 한 해도 건강과 평안이 늘 함께하시길 바랍니다.
항상 감사드립니다.
*** 여수 젠틀호 예약 안내 ***
예약문의 : 010-4562-1431
오시는길 : 여수시 신월5길55. 넙내리 방파제
예약사이트 : https://gentle.sunsang24.com/
밴드 : 여수 젠틀호 https://band.us/@gentle
*** 여수 젠틀호 예약 안내 ***
예약문의 : 010-4562-1431
오시는길 : 전라남도 여수시 신월5길 55
홈페이지 : https://gentle.sunsang24.com/
0
신고
목록
0
댓글
로그인한 회원만 댓글 등록이 가능합니다.
×
Image Upload
로그인한 회원만 등록가능합니다.
포토
제목
이름
날짜
[예약가능] [통영 선외기 태성레저]감성돔 흘림+카고51/50/48/47/4…
출항지 : 예약가능 / 출조지 :
태성레저
1
1분전
태성레저
18:39
[경주] 토,일요일 다나까타이라바 & 어초외줄 예약중입니다
출항지 : 경주 / 출조지 :
감포에스코트호
1
4분전
감포에스코트호
18:36
[진해] 왕오징어 출조합니다. (토요일 예약가능)
출항지 : 진해 / 출조지 :
우리피싱호
77
10분전
우리피싱호
18:30
[거제] 《어초.여밭 감성돔》2026년 새해 씨알좋은 감성돔
출항지 : 거제 / 출조지 : 거제
람보4호곤피싱호
16
18분전
람보4호곤피싱호
18:22
[거제] 감성돔흘림 4짜,4짜,4짜급으로 새해첫 출발.내일예약가능
출항지 : 거제 / 출조지 : 거제
거제오로라호
12
19분전
거제오로라호
18:21
[진해] 왕오징어~억수로크놈들 먹물폭탄조항입니다
출항지 : 진해 / 출조지 : 진해
엿쟁이낚시
80
20분전
엿쟁이낚시
18:20
[진해] 감성돔카고49짜손맛짱!!!
출항지 : 진해 / 출조지 : 거제
해경피싱
16
22분전
해경피싱
18:17
[거제] [거제블루]신녀 해돋이 참돔 타이라바출조 다녀왔습니다 참돔 바글…
출항지 : 거제 / 출조지 :
뉴블루
6
25분전
뉴블루
18:15
[통영] (문어)원도권 매일 진입 K오버 K급 대물 공략~고고피싱호(3일…
출항지 : 통영 / 출조지 : 통영
고고피싱호
16
25분전
고고피싱호
18:15
[진해] 열기볼락,왕씨알,9명전원만쿨,토,일,월,화,수,쭉 예약가능 대…
출항지 : 진해 / 출조지 : 진해
진해대성낚시
9
25분전
진해대성낚시
18:14
[고성] 고성드래곤 어초 감시흘림 마리수 토욜 자리여유
출항지 : 고성 / 출조지 : 통영
고성드래곤피싱
17
30분전
고성드래곤피싱
18:10
[진해] 원도권돌문어 초대박K K K ( 토,일~예약가능
출항지 : 진해 / 출조지 :
진해골드스타2
9
30분전
진해골드스타2
18:10
[사천] 55.53.52 토요일 1자리
출항지 : 사천 / 출조지 : 통영
도리스피싱
22
31분전
도리스피싱
18:09
[진해] [알쭈꾸미] 사이즈,마릿수 좋아요~!!(예약가능합니다)
출항지 : 진해 / 출조지 :
진해풍산호
49
35분전
진해풍산호
18:05
[통영] 1/1 원도권돌문어 대물 크라켄 2k오바 2수~ k오바도 다수~…
출항지 : 통영 / 출조지 :
통영리차드피싱
7
40분전
통영리차드피싱
18:00
초기화
날짜순
조회순
검색
1
2
3
4
5
Search
검색대상
제목
내용
제목+내용
회원아이디
회원아이디(댓글)
글쓴이
글쓴이(댓글)
또는
그리고
검색어
필수
검색
닫기
검색조건
제목
내용
제목+내용
회원아이디
회원아이디(코)
글쓴이
글쓴이(코)
검색어
또는
그리고
검색
인낚몰 초특가
★3,000★ 하야부사 6단 볼락 전갱이 카드채비 SD724 볼락채비
★1,000★볼락낚시에 최적인 메바트로볼 - 캐스팅볼, 메바볼
★13,000~★3NO 일본 오리지날 직수입 극강 멀티 무광 마크사 원줄
★500★ W쿠션 멀티 수중찌 M L - 전유동 반유동 끄심바리 필수품 수중쿠션
★5,900★ 여러개 있으면 아주 좋은 EVA 시스템 백
★ 1+1 플로팅, 세미, 카본 낚시줄 행사 호수선택가능 / 택상 1+1 원줄, 목줄 행사
★6,000★ 예민함의 끝판왕 애니원찌 벵에돔찌 학공치찌
★15,000★ 오동목 구멍찌 5개 + 메쉬 찌케이스 세트
★22만원★ 40W 집어등을 이 가격에!
★5,000★ 전층쿠션 15세트입 S / L 사이즈
★2,000★ 전층쿠션 5세트입 S / L 사이즈
★10,000 미니집어등5개 + 425배터리 1개 + 스토퍼고무 10개