[여수 젠틀호] #감성돔선상 12.29 조황입니다.
12월 30일(화)
인낚 현재접속자
3,576명 (
303
)
공지사항
인낚도서관
점주선장전용 공지사항
로그인
광고/제휴 문의
운영진에게
인낚ㅣ인터넷바다낚시
0
어종별선상
어종별갯바위
낚시인조황
점주선장조황
출조정보
낚시광장
낚시지식인
낚시교실
중고장터
휴게실
인낚도서관
인낚몰
0
어종별선상
어종별 선상조황
4대돔 조황
먹물 조황
갈치 조황
볼락&전갱이
빅게임 지깅&파핑
외줄&외수질
기타 어종
어종별 갯바위조황
4대돔 조황
먹물 조황
갈치 조황
볼락&전갱이
농어&삼치&방어&부시리
기타 어종
어종별갯바위
어종별 선상조황
4대돔 조황
먹물 조황
갈치 조황
볼락&전갱이
빅게임 지깅&파핑
외줄&외수질
기타 어종
어종별 갯바위조황
4대돔 조황
먹물 조황
갈치 조황
볼락&전갱이
농어&삼치&방어&부시리
기타 어종
낚시인조황
낚시인 번개조황
낚시인조행기
스탭조행기
우리낚시동호회이야기
전국낚시동호회소개
동호회갤러리
지난 조황자료보기(년도별 조황 자료)
점주선장조황
전국 실시간 조황
선상(배)+좌대 조황
갯바위+방파제 조황
점주선장전용 공지사항
지난 조황자료보기(년도별 조황 자료)
출조정보
낚시인동행출조
점주선장 갯바위 출조
점주선장 선상출조
기상파고정보(기상청)
해상예보
물때표
파고예보(일본)
실시간해양관측예보
스마트조석예보
낚시광장
낚시계뉴스
대회 및 낚시관련 홍보
제품평가단
신상품소개
낚시지식인
Q&A 묻고 답하기
지식인 베스트
조황/포인트 문의
낚시용품 사용기
낚시투표
토론방
新어류도감
낚시교실
낚시기법소개
어종별 낚시교실
입문자교실
중급자교실
낚시용어사전
중고장터
중고장터 이용후기
더치트 사기피해 검색
팝니다
삽니다
교환합시다
무료로 드립니다
부품팝니다
부품삽니다
일반 생활용품 사고 팔기
휴게실
출석부
낚시갤러리
세상사는 이야기(자유게시판)
낚시이야기 마당
먹고사는 이야기
구인구직
칭찬합니다
어째이런일이
습득물 찾기
인낚도서관
인낚 유튜브
인낚 칼럼
블루, 그것이 알고싶다
더블테일의 두 눈으로 보는 세상
입질의추억의 피싱다이어리
나無의 바다 이야기
전문강좌
海巖의 바다낚시 이야기
이성규의 전유동낚시 강좌
조성민의 금요루어클럽
메인
어종별선상
어종별갯바위
낚시인조황
점주선장조황
출조정보
낚시광장
낚시지식인
낚시교실
중고장터
휴게실
인낚도서관
인낚몰
0
전국 실시간 조황
선상(배)+좌대 조황
갯바위+방파제 조황
점주선장전용 공지사항
지난 조황자료보기(년도별 조황 자료)
점주/선장 >
선상 + 좌대 조황
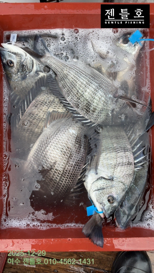
[여수 젠틀호] #감성돔선상 12.29 조황입니다.
여수젠틀호
0
98
16시간전
● 출항지 : 여수,광양
● 출조인원 : 6~10명
네임
카드
젠틀호
전라남도 여수시 신월5길 55
010-4562-1431
실시간 예약
홈페이지
밴드 바로가기
유튜브/SNS
#감성돔선상 #감성돔
안녕하십니까 . 여수 젠틀호 입니다.
29.월. 감성돔선상 조황입니다.
많이 빠지네요. 입질이 예민해요
예약 후 선비입금까지 완료되어야 예약확정입니다.
목줄2호 이상 써주세요. 목줄관리 해주세요!!
주말예약은 미리 서둘러 주세요^^
출항안내는 선상24나 유선으로 문의 바랍니다.
*** 여수 젠틀호 예약 안내 ***
예약문의 : 010-4562-1431
오시는길 : 여수시 신월5길55. 넙내리 방파제
예약사이트 : https://gentle.sunsang24.com/
밴드 : 여수 젠틀호 https://band.us/@gentle
*** 여수 젠틀호 예약 안내 ***
예약문의 : 010-4562-1431
오시는길 : 전라남도 여수시 신월5길 55
홈페이지 : https://gentle.sunsang24.com/
0
신고
목록
0
댓글
로그인한 회원만 댓글 등록이 가능합니다.
×
Image Upload
로그인한 회원만 등록가능합니다.
포토
제목
이름
날짜
[경주] 12/30 1인 최다 7수 랜딩! 괴물 먹삼치들~ (수-오후/목…
출항지 : 경주 / 출조지 :
정도로스
1
11분전
정도로스
23:10
[포항] 밤볼락 실시간 뉴대양호! (화수모집중)
출항지 : 포항 / 출조지 : 포항
신항만NEW대양호
11
25분전
신항만NEW대양호
22:56
[진해] 12/30 K문어 대물2200g외 키로급들 마릿수 조황..( 1…
출항지 : 진해 / 출조지 : 진해
진해물돌이호
10
28분전
진해물돌이호
22:53
1
[진해] 감성돔(흘림)~4짜와3짜!우당탕탕!21수!마릿수짱(수요일1자리예…
1
출항지 : 진해 / 출조지 : 거제
진해여명피싱
135
32분전
진해여명피싱
22:50
[통영] 흘림 대물감성돔 4짜 3짜
출항지 : 통영 / 출조지 : 통영
통영아라피싱
30
1시간전
통영아라피싱
22:18
[사천] (사천저도좌대&펜션)12월30일 대물감성돔 조황
출항지 : 사천 / 출조지 : 사천
사천저도좌대및펜션
53
1시간전
사천저도좌대및펜션
22:17
[진해] 내일 수요일 주간내만문어 예약가능~ 25년 마지막날 문어손맛보러…
출항지 : 진해 / 출조지 : 진해
진해제네시스호
58
1시간전
진해제네시스호
22:15
[진해] 윤피싱 26년 왕오징어로 출발합니다~
출항지 : 진해 / 출조지 : 진해
진해윤피싱
27
1시간전
진해윤피싱
22:11
[고흥,녹동] E스마일 30일 타이 조황입니다
출항지 : 고흥,녹동 / 출조지 :
E스마일호이총무
14
1시간전
E스마일호이총무
22:01
[통영] 25/12/30 통영 재영호 선외기 레저 감성돔 조황
출항지 : 통영 / 출조지 : 통영
통영재영호선외기레져
48
2시간전
통영재영호선외기레져
21:46
[고성] 고성드래곤 어초 감시흘림 마릿수(40수) 목욜 자리여유
출항지 : 고성 / 출조지 : 통영
고성드래곤피싱
143
2시간전
고성드래곤피싱
21:45
[진해] 29일야간 왕낙지들 전원손맛~!!마릿수 쭉쭉 뽑고~!!(금,토,…
출항지 : 진해 / 출조지 : 진해
진해라코피싱
55
2시간전
진해라코피싱
21:40
[포항] >>겨울바다의 꽃!열기&볼락~주/야간~(목금토 예약중)
출항지 : 포항 / 출조지 : 포항
포항포시즌호
41
2시간전
포항포시즌호
21:25
[사천] 1월1일 해돋이 주꾸미 출조확정!! 선비 5만~ 자리여유(예약중…
출항지 : 사천 / 출조지 :
삼천포포인트호
22
2시간전
삼천포포인트호
21:17
[진해] 감성돔(카고)ㅡ17수 ,연일 4짜후반.중반.초반급 마릿수로 손맛…
출항지 : 진해 / 출조지 : 진해
진해레져
103
2시간전
진해레져
21:15
초기화
날짜순
조회순
검색
1
2
3
4
5
Search
검색대상
제목
내용
제목+내용
회원아이디
회원아이디(댓글)
글쓴이
글쓴이(댓글)
또는
그리고
검색어
필수
검색
닫기
검색조건
제목
내용
제목+내용
회원아이디
회원아이디(코)
글쓴이
글쓴이(코)
검색어
또는
그리고
검색
인낚몰 초특가
★3,000★ 하야부사 6단 볼락 전갱이 카드채비 SD724 볼락채비
★1,000★볼락낚시에 최적인 메바트로볼 - 캐스팅볼, 메바볼
★13,000~★3NO 일본 오리지날 직수입 극강 멀티 무광 마크사 원줄
★500★ W쿠션 멀티 수중찌 M L - 전유동 반유동 끄심바리 필수품 수중쿠션
★5,900★ 여러개 있으면 아주 좋은 EVA 시스템 백
★ 1+1 플로팅, 세미, 카본 낚시줄 행사 호수선택가능 / 택상 1+1 원줄, 목줄 행사
★6,000★ 예민함의 끝판왕 애니원찌 벵에돔찌 학공치찌
★15,000★ 오동목 구멍찌 5개 + 메쉬 찌케이스 세트
★22만원★ 40W 집어등을 이 가격에!
★5,000★ 전층쿠션 15세트입 S / L 사이즈
★2,000★ 전층쿠션 5세트입 S / L 사이즈
★10,000 미니집어등5개 + 425배터리 1개 + 스토퍼고무 10개