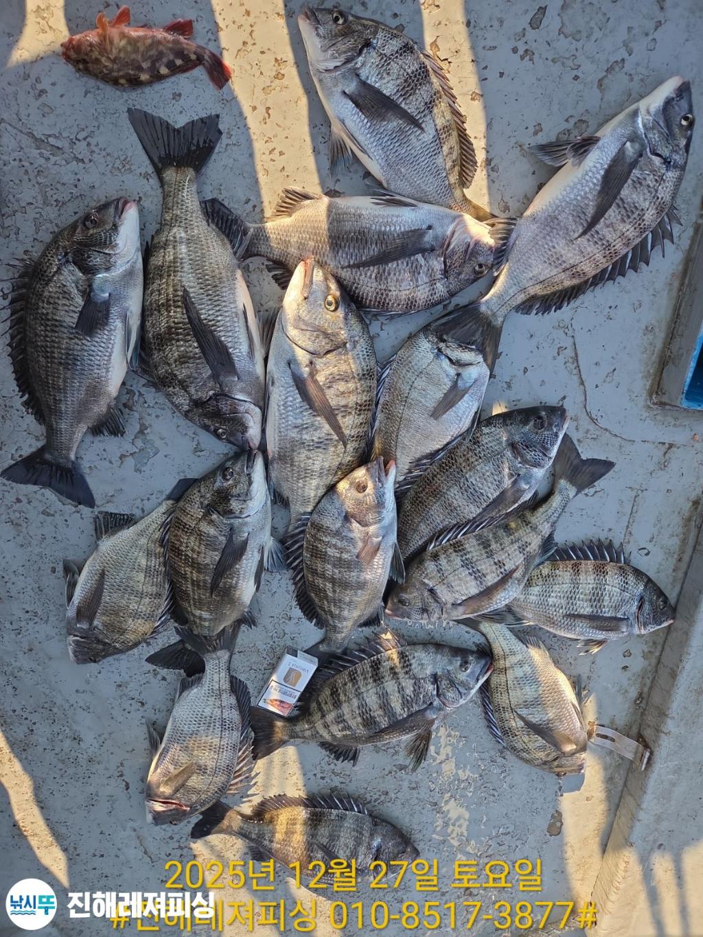
감성돔(카고)ㅡ연일 4짜후반.중반.초반급 마릿수로 손맛 굿굿 (내일 예약가능)

신상품 소개


회원 랭킹


공지사항


NaverBand
점주/선장 > 선상 + 좌대 조황

감성돔(카고)ㅡ연일 4짜후반.중반.초반급 마릿수로 손맛 굿굿 (내일 예약가능)

진해레져 0 52
● 출항지 : 진해 ● 출조지 : 진해

감성돔(카고)ㅡ연일 4짜후반.중반.초반급 릿수로 손맛 굿굿 (내일 예약가능)
내일 ㅡ화요일부터 ㅡ 예약가능.
씨알 좋습니다 
ㅡ감성돔 (카고) ㅡ 5짜없이 4짜
중반.초반.3짜후반급으로 손맛
놓친 고기가  ㅠㅠ
여에 쳐박고 벗겨지고..ㅠㅠ
ㅡ 카고ㅡ 내일 예약가능합니다
ㅡ 대물감성돔 손맛보러 갑니다
걸면 대물급들입니다
ㅡ어초.여밭으로 출조합니다
<<< 감성돔 >>>
카고 ㅡ카고 출조합니다
월/화/수/목/금ㅡ 자리 있습니다
물때좋아 손맛 기대됩니다
함께하실분은 연락주세요.
문의 ㅡ010-8517-3877
감성돔(카고)ㅡ원줄 터지고 목줄 나가고 벗겨지고..
어제에 연이어 대물급으로 손맛굿굿
감성돔(카고)5짜.4짜후반.중반급으로 손맛 굿굿
날씨만 받쳐주면 대박 조황 이어집니다
완전 반합니다
감시가 빨래판입니다
이번주ㅡ황금물때입니다.
걸면 대물입니다. 평균 45급
연일 이어지는 대물손맛 ㅡ쭉 이어집니다
덩치급으로 씨알이 빨래판입니다
대물손맛 기대됩니다
기분좋은 출조길 함께하실분은 연락주세요
좋은 조황을 위해 열심히 달려보겠습니다
문의 ㅡ010-8517-3877 ㅡ 진해레져피싱
ㅡㅡㅡㅡㅡㅡㅡㅡㅡㅡㅡㅡㅡㅡㅡㅡㅡㅡㅡㅡㅡ
● 기분좋은 출조길 함께하실분은 연락주세요
ㅡㅡㅡㅡㅡㅡㅡㅡㅡㅡㅡㅡㅡㅡㅡㅡㅡㅡㅡㅡㅡ
○ 매일ㅡ 1. 2호선( 10톤/ 5톤 )출조합니다
○ 5시~6시출항
️ㅡ010-8517-3877
☆1.2호선으로 출조합니다
○자리는 추첨제입니다
○이틀연속 출조하는분. 자리선택가능
(닻도우미 자리선택가능)
️카고ㅡ선비:밑밥.크릴 .옥수수 포함 (12만원)
️대체미끼는 (옥수수) 드립니다
ㅡㅡㅡㅡㅡㅡㅡㅡㅡㅡㅡㅡㅡㅡㅡㅡㅡ
문의 010-8517-3877 진해레져피싱
ㅡㅡㅡㅡㅡㅡㅡㅡㅡㅡㅡㅡㅡㅡㅡㅡㅡ
●감성돔 카고채비●
• 낚시대ㅡ감성돔(2호~3호대).카고대(2호~3호)
• 릴 ㅡ 4000~6000번.
원줄5호~6호.목줄3호~5호
• 카고망 ㅡ30호~40호. 추가봉돌10호(준비)
• 바늘 ㅡ5호~7호
ㅡㅡㅡㅡㅡㅡㅡㅡㅡㅡㅡㅡㅡㅡㅡㅡㅡㅡㅡ
문의 ㅡ010-8517-3877 진해레져피싱
ㅡㅡㅡㅡㅡㅡㅡㅡㅡㅡㅡㅡㅡㅡㅡㅡㅡㅡㅡ
ㅡ 배타는 곳에 가게있습니다
주차후 가게로 오시면됩니다. (킹콩피싱)
가게앞에 배타는곳이라 아주 편해졌습니다.
ㅡㅡㅡㅡㅡㅡㅡㅡㅡㅡㅡㅡㅡㅡㅡㅡㅡㅡㅡㅡㅡ
네비주소 ㅡ창원시 진해구 장천동 782번지
또는진해항제1부두 비지니스센터앞
계좌 ㅡ수협 2060 0077 8533 김종호
꼭 입금후 ●날짜와●입금자 성함●문자주세요️
#전화로 예약해주시고 문의해주세요 감사합니다
밴드 가입시ㅡ실시간 및 동영상 볼수있습니다
https://band.us/@cnfwh

선상24 예약가능
https://leisurefishing.sunsang24.com/
F2836507IY.jpgF283650644.jpgF2836505AY.jpgF2836504I5.jpgF2836503TB.jpgF283650211.jpgF2836501R8.jpgF2836500O8.jpgF2836499KB.jpgF28364986X.jpgF2836497NL.jpgF2836496ZC.jpgF2836495OV.jpgF2836494C2.jpgF2836493AQ.jpgF28364925Q.jpgF2836491SI.jpgF2836490P5.jpgF2836489WO.jpgF2836488DG.jpg


  • 페이스북으로 보내기
  • 트위터로 보내기
  • 구글플러스로 보내기
  • 카카오스토리로 보내기
  • 네이버밴드로 보내기
  • 네이버로 보내기
  • 텀블러로 보내기
  • 핀터레스트로 보내기
0 댓글
포토 제목
 
 

인낚 최신글


인낚 최신댓글


온라인 문의 안내


월~금 : 9:00 ~ 18:00
토/일/공휴일 휴무
점심시간 : 12:00 ~ 13:00