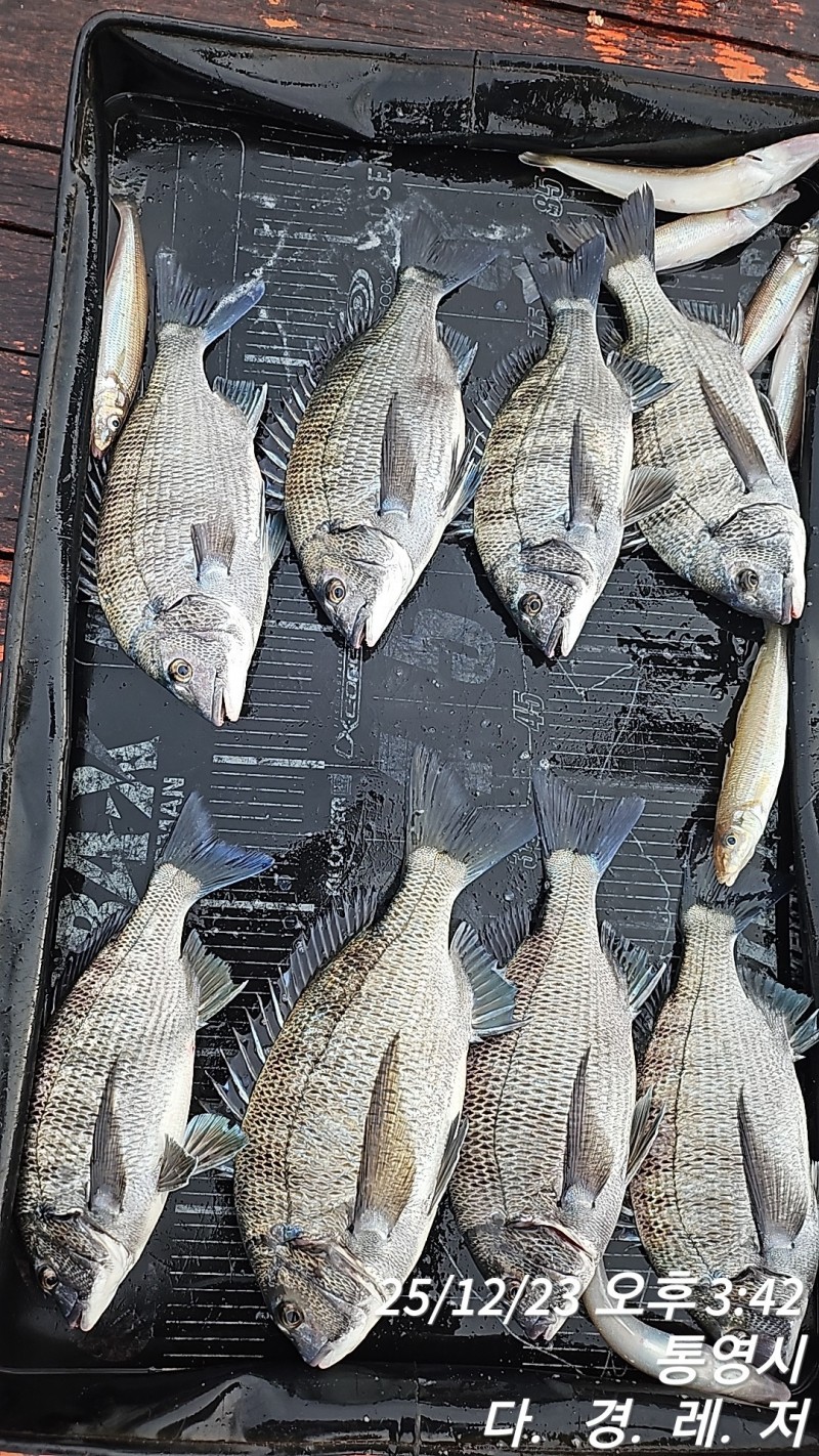
감성돔50/48/45/45외돌문어조황

신상품 소개


회원 랭킹


공지사항


NaverBand
점주/선장 > 선상 + 좌대 조황

감성돔50/48/45/45외돌문어조황

연명다경레져 0 111
● 출항지 : 통영 ● 출조지 : 통영

안녕하세요!!
23/24일 크리스마스 이브날 
카고 루어 조황입니다 
감성돔 최대어는 51cm외도
판때기가 흘러넘치는 감성돔 
조황이고 문어는 킬로급
두판때기를 잡아오셨습니다 
비맞으면서 열낚하신 조사님들 수고하셨습니다 
내일은 예보에 바람이 많아
하루 쉽니다^^
즐거운 이브 밤 되세요 
건~~~행
출조문의 010 4589 7777
20d690e95b92d5b4b1b2d53bf1348231_1766646398_1693.jpg

20d690e95b92d5b4b1b2d53bf1348231_1766646399_0504.jpg

20d690e95b92d5b4b1b2d53bf1348231_1766646399_9508.jpg

20d690e95b92d5b4b1b2d53bf1348231_1766646401_0581.jpg

20d690e95b92d5b4b1b2d53bf1348231_1766646401_9868.jpg

20d690e95b92d5b4b1b2d53bf1348231_1766646402_9668.jpg

20d690e95b92d5b4b1b2d53bf1348231_1766646404_06.jpg

20d690e95b92d5b4b1b2d53bf1348231_1766646620_5577.jpg



20d690e95b92d5b4b1b2d53bf1348231_1766646621_8038.jpg



20d690e95b92d5b4b1b2d53bf1348231_1766646623_344.jpg



20d690e95b92d5b4b1b2d53bf1348231_1766646624_141.jpg

20d690e95b92d5b4b1b2d53bf1348231_1766646625_5008.jpg

20d690e95b92d5b4b1b2d53bf1348231_1766646626_5738.jpg

20d690e95b92d5b4b1b2d53bf1348231_1766646627_8307.jpg

20d690e95b92d5b4b1b2d53bf1348231_1766646628_6592.jpg



20d690e95b92d5b4b1b2d53bf1348231_1766646630_1325.jpg





 
- 당일 조황을 올리셔야 합니다.
- 지난 조황은 2일이내 미등록 조황만 가능합니다.
- 이미 올린 조황을 붙여넣기하여 계속 등재하시면 중복조황에 해당합니다.
- 당일 조황을 올리면서 이전 조황을 같이 올리면 중복조황에 해당합니다.
- 조황없는 출조정보는 출조정보 게시판을 이용하시길 바랍니다.
- 올린 글 삭제하고 다시 올려 상단에 올리려는 방법, 이용규칙 위반입니다.
- 제목에 특수문자 사용하시면 안됩니다. (온점, 쉼표, 느낌표, 괄호, 물결만 허용)

☆ 공지사항에 '조황등재시 유의사항' 게시글을 꼭 확인하시고 조황작성 부탁드리며, 가장 기본적인
규칙이 지켜지지 않을 시 예고없이 글 삭제 및 이용정지 될 수 있음을 알려드립니다.

  • 페이스북으로 보내기
  • 트위터로 보내기
  • 구글플러스로 보내기
  • 카카오스토리로 보내기
  • 네이버밴드로 보내기
  • 네이버로 보내기
  • 텀블러로 보내기
  • 핀터레스트로 보내기
0 댓글
포토 제목
 
 

인낚 최신글


인낚 최신댓글


온라인 문의 안내


월~금 : 9:00 ~ 18:00
토/일/공휴일 휴무
점심시간 : 12:00 ~ 13:00