통영한바다호ㅡ감성돔 흘림,카고
12월 26일(금)
인낚 현재접속자
2,623명 (
78
)
공지사항
인낚도서관
점주선장전용 공지사항
로그인
광고/제휴 문의
운영진에게
인낚ㅣ인터넷바다낚시
0
어종별선상
어종별갯바위
낚시인조황
점주선장조황
출조정보
낚시광장
낚시지식인
낚시교실
중고장터
휴게실
인낚도서관
인낚몰
0
어종별선상
어종별 선상조황
4대돔 조황
먹물 조황
갈치 조황
볼락&전갱이
빅게임 지깅&파핑
외줄&외수질
기타 어종
어종별 갯바위조황
4대돔 조황
먹물 조황
갈치 조황
볼락&전갱이
농어&삼치&방어&부시리
기타 어종
어종별갯바위
어종별 선상조황
4대돔 조황
먹물 조황
갈치 조황
볼락&전갱이
빅게임 지깅&파핑
외줄&외수질
기타 어종
어종별 갯바위조황
4대돔 조황
먹물 조황
갈치 조황
볼락&전갱이
농어&삼치&방어&부시리
기타 어종
낚시인조황
낚시인 번개조황
낚시인조행기
스탭조행기
우리낚시동호회이야기
전국낚시동호회소개
동호회갤러리
지난 조황자료보기(년도별 조황 자료)
점주선장조황
전국 실시간 조황
선상(배)+좌대 조황
갯바위+방파제 조황
점주선장전용 공지사항
지난 조황자료보기(년도별 조황 자료)
출조정보
낚시인동행출조
점주선장 갯바위 출조
점주선장 선상출조
기상파고정보(기상청)
해상예보
물때표
파고예보(일본)
실시간해양관측예보
스마트조석예보
낚시광장
낚시계뉴스
대회 및 낚시관련 홍보
제품평가단
신상품소개
낚시지식인
Q&A 묻고 답하기
지식인 베스트
조황/포인트 문의
낚시용품 사용기
낚시투표
토론방
新어류도감
낚시교실
낚시기법소개
어종별 낚시교실
입문자교실
중급자교실
낚시용어사전
중고장터
중고장터 이용후기
더치트 사기피해 검색
팝니다
삽니다
교환합시다
무료로 드립니다
부품팝니다
부품삽니다
일반 생활용품 사고 팔기
휴게실
출석부
낚시갤러리
세상사는 이야기(자유게시판)
낚시이야기 마당
먹고사는 이야기
구인구직
칭찬합니다
어째이런일이
습득물 찾기
인낚도서관
인낚 유튜브
인낚 칼럼
블루, 그것이 알고싶다
더블테일의 두 눈으로 보는 세상
입질의추억의 피싱다이어리
나無의 바다 이야기
전문강좌
海巖의 바다낚시 이야기
이성규의 전유동낚시 강좌
조성민의 금요루어클럽
메인
어종별선상
어종별갯바위
낚시인조황
점주선장조황
출조정보
낚시광장
낚시지식인
낚시교실
중고장터
휴게실
인낚도서관
인낚몰
0
전국 실시간 조황
선상(배)+좌대 조황
갯바위+방파제 조황
점주선장전용 공지사항
지난 조황자료보기(년도별 조황 자료)
점주/선장 >
선상 + 좌대 조황
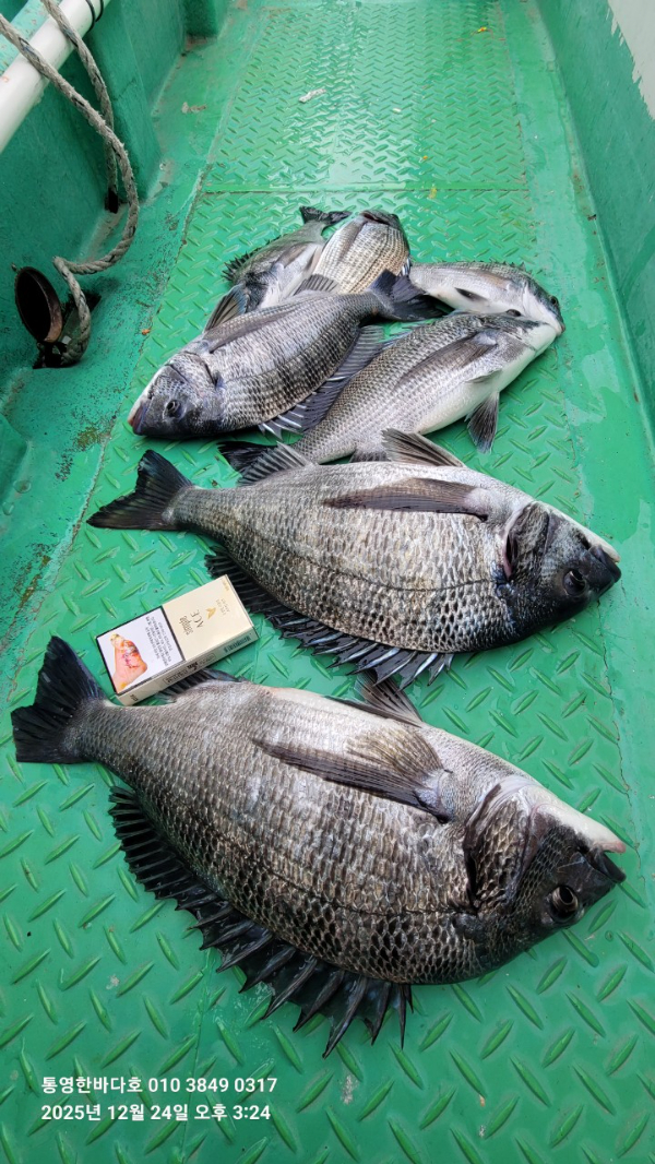
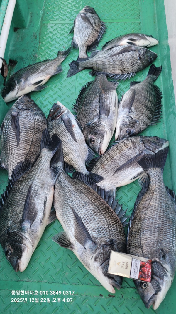
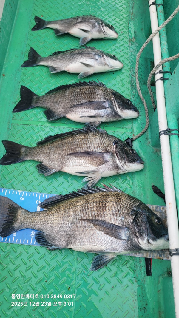
통영한바다호ㅡ감성돔 흘림,카고
통영한바다호
0
48
12.25 13:19
● 출항지 : 통영
● 출조인원 : 6~10명
네임
카드
한바다호
경남 통영시 도산면 도산일주로 2209
010-3849-0317
실시간 예약
홈페이지
밴드 바로가기
유튜브/SNS
25,26 기상관계로 휴무중입니다
20일부터 흘림,카고 5짜.4짜 조황 입니다
27일 토요일부터 정상출조합니다
흘림.카고 문의주세요
27토ㅡ 흘림 예약완료
28일 ㅡ흘림 예약가능
29월 ㅡ흘림.카고 에약가능
30화ㅡ흘림.카고 예약가능
31수ㅡ카고 예약가능
26년1월1일ㅡ해돋이 흘림 예약완료
1월2일부터 예약가능~~
문의는 선상24.밴드.전화..편하신 방법으로 해주시면됩니다
*** 통영 한바다호 예약 안내 ***
예약문의 : 010-3849-0317
오시는길 : 경남 통영시 도산면 도산일주로 2209
홈페이지 : https://hanbadaho.sunsang24.com/
☆☆북통영 ic에서 5분 거리입니다
0
신고
목록
0
댓글
로그인한 회원만 댓글 등록이 가능합니다.
×
Image Upload
로그인한 회원만 등록가능합니다.
포토
제목
이름
날짜
[사천] 쭈꾸미 5만 토,일,오전7시출조 자리여유
출항지 : 사천 / 출조지 : 사천
삼천포선상낚시창남호
4
10분전
삼천포선상낚시창남호
06:01
[거제] (거제 FM 피싱호 ~감성돔흘림)~주말 출조계획 공지합니다
출항지 : 거제 / 출조지 :
FM피싱호
9
1시간전
FM피싱호
05:10
[고성] 대물감성돔 5짜 5짜 4짜 4짜 카고 조항 입니다 1일2일예약 …
출항지 : 고성 / 출조지 : 고성
맥전포스피드피싱
13
1시간전
맥전포스피드피싱
04:54
[진해] (선비 5 만원 ) 야간~낙지 잡으러 출조 갑니다 @ 토,일요일…
출항지 : 진해 / 출조지 : 거제
성진피싱
80
3시간전
성진피싱
02:55
[마산] 태풍이 불어도 호래기는 올라 온다!
출항지 : 마산 / 출조지 : 마산
돌섬닷컴
27
4시간전
돌섬닷컴
02:04
[진해] (풍산)야간낙지~왕낙지~마릿수 대박~!!(예약가능합니다.)
출항지 : 진해 / 출조지 :
진해풍산호
76
12.25
진해풍산호
12.25
[진해] 감성돔(흘림)~빅싸이즈!48,47,42외!묵찍묵찍(토,일,월,화…
출항지 : 진해 / 출조지 : 거제
진해여명피싱
100
12.25
진해여명피싱
12.25
[진해] 24일<야간 낙지>&<주간쭈꾸미>금,토,일 예약가능
출항지 : 진해 / 출조지 :
썬플라워호10톤
75
12.25
썬플라워호10톤
12.25
[진해] 귀한 호래기 호래기 잡으로 갑니다~~~토예약가능
출항지 : 진해 / 출조지 : 진해
진해천지피싱
28
12.25
진해천지피싱
12.25
[진해] [원도권문어] 토,일 예약가능 킬로오바조황
출항지 : 진해 / 출조지 : 진해
진해제네시스호
46
12.25
진해제네시스호
12.25
[진해] 24일야간 왕낙지들 사이즈 최고~망태기 묵직하게~!!(토,일 예…
출항지 : 진해 / 출조지 : 진해
진해라코피싱
46
12.25
진해라코피싱
12.25
[통영] [지깅]대방어,잡으러 갑니다(일요일,06시 예약가능,이벤트중)
출항지 : 통영 / 출조지 :
삼덕레저호
50
12.25
삼덕레저호
12.25
[진해] 대포왕오징어~먹물폭탄25일입항조황~일요일부터 예약가능합니다
출항지 : 진해 / 출조지 : 진해
엿쟁이낚시
90
12.25
엿쟁이낚시
12.25
[진해] K 대왕돌문어 2900g외 키로급들 조황.. ( 토 / 일요일…
출항지 : 진해 / 출조지 : 진해
진해물돌이호
25
12.25
진해물돌이호
12.25
[거제] 감성돔 거제인성낚시
출항지 : 거제 / 출조지 : 거제
거제인성낚시
41
12.25
거제인성낚시
12.25
초기화
날짜순
조회순
검색
1
2
3
4
5
Search
검색대상
제목
내용
제목+내용
회원아이디
회원아이디(댓글)
글쓴이
글쓴이(댓글)
또는
그리고
검색어
필수
검색
닫기
검색조건
제목
내용
제목+내용
회원아이디
회원아이디(코)
글쓴이
글쓴이(코)
검색어
또는
그리고
검색
인낚몰 초특가
★3,000★ 하야부사 6단 볼락 전갱이 카드채비 SD724 볼락채비
★1,000★볼락낚시에 최적인 메바트로볼 - 캐스팅볼, 메바볼
★13,000~★3NO 일본 오리지날 직수입 극강 멀티 무광 마크사 원줄
★500★ W쿠션 멀티 수중찌 M L - 전유동 반유동 끄심바리 필수품 수중쿠션
★5,900★ 여러개 있으면 아주 좋은 EVA 시스템 백
★ 1+1 플로팅, 세미, 카본 낚시줄 행사 호수선택가능 / 택상 1+1 원줄, 목줄 행사
★6,000★ 예민함의 끝판왕 애니원찌 벵에돔찌 학공치찌
★15,000★ 오동목 구멍찌 5개 + 메쉬 찌케이스 세트
★22만원★ 40W 집어등을 이 가격에!
★5,000★ 전층쿠션 15세트입 S / L 사이즈
★2,000★ 전층쿠션 5세트입 S / L 사이즈
★10,000 미니집어등5개 + 425배터리 1개 + 스토퍼고무 10개