감성돔 선상 흘림 이루마호 조황
인낚ㅣ인터넷바다낚시
어종별선상
어종별갯바위
낚시인조황
점주선장조황
출조정보
낚시광장
낚시지식인
낚시교실
중고장터
휴게실
인낚도서관
인낚몰
0
홈
어종별선상
어종별갯바위
낚시인조황
점주선장조황
출조정보
낚시광장
낚시지식인
낚시교실
중고장터
휴게실
인낚도서관
인낚몰
어종별선상
어종별갯바위
낚시인조황
점주선장조황
출조정보
낚시광장
낚시지식인
낚시교실
중고장터
휴게실
인낚도서관
인낚몰
어종별선상
4대돔 조황
먹물 조황
갈치 조황
볼락&전갱이
빅게임 지깅&파핑
외줄&외수질
기타 어종
어종별갯바위
4대돔 조황
먹물 조황
갈치 조황
볼락&전갱이
농어&삼치&방어&부시리
기타 어종
낚시인조황
낚시인 번개조황
낚시인조행기
스탭조행기
우리낚시동호회이야기
전국낚시동호회소개
동호회갤러리
지난 조황자료보기(년도별 조황 자료)
점주선장조황
전국 실시간 조황
선상(배)+좌대 조황
갯바위+방파제 조황
점주선장전용 공지사항
지난 조황자료보기(년도별 조황 자료)
출조정보
낚시인동행출조
점주선장 갯바위 출조
점주선장 선상출조
기상파고정보(기상청)
해상예보
물때표
파고예보(일본)
실시간해양관측예보
스마트조석예보
낚시광장
낚시계뉴스
대회 및 낚시관련 홍보
제품평가단
신상품소개
낚시지식인
Q&A 묻고 답하기
지식인 베스트
조황/포인트 문의
낚시용품 사용기
낚시투표
토론방
新어류도감
낚시교실
낚시기법소개
어종별 낚시교실
입문자교실
중급자교실
낚시용어사전
중고장터
중고장터 이용후기
더치트 사기피해 검색
팝니다
삽니다
교환합시다
무료로 드립니다
부품팝니다
부품삽니다
일반 생활용품 사고 팔기
휴게실
출석부
낚시갤러리
세상사는 이야기(자유게시판)
낚시이야기 마당
먹고사는 이야기
구인구직
칭찬합니다
어째이런일이
습득물 찾기
인낚도서관
인낚 유튜브
인낚 칼럼
블루, 그것이 알고싶다
더블테일의 두 눈으로 보는 세상
입질의추억의 피싱다이어리
나無의 바다 이야기
전문강좌
海巖의 바다낚시 이야기
이성규의 전유동낚시 강좌
조성민의 금요루어클럽
인낚몰
홈소개
공지사항
자주 묻는 질문
운영진에게
광고/제휴문의
로그인
자동로그인
회원가입
|
정보찾기
점주선장조황
전국 실시간 조황
선상(배)+좌대 조황
갯바위+방파제 조황
점주선장전용 공지사항
지난 조황자료보기(년도별 조황 자료)
신상품 소개
긱스 나노에이스
낚시고 미장구레 VIP 대본류 벵에돔 파우더
낚시고 위력 벵에돔 파우더
천류 카모 피싱백
천류 레자 피싱백
zzis 찌스 전자기울찌 호리존탈 전유동전용 출시!
회원 랭킹
41
1
왕초보태공
29
2
오사마리
28
3
울트
21
4
쌩기똥기
15
5
꿈의사냥5짜
15
6
마루미르
15
7
Nike1972
14
8
시작하는채비와장비
13
9
블루홀리
12
10
bk2
12
11
벵에만한다
12
12
로그온
12
13
부산그녀석
11
14
때구어장
10
15
망상어전문
10
16
대물헌트
10
17
한국밑밥연맹
10
18
방어지코
9
19
새조개
9
20
촌놈남해
9
21
감시밥줄
9
22
젠틀낚시
8
23
4계절벵에
8
24
나돔
8
25
고기잡으세
8
26
대부도1
8
27
ctan
8
28
즐낚쵝오
8
29
쌍칼라
8
30
상석바위
8
31
개꽝도사
8
32
감성전설
8
33
신용대
7
34
돌붕어
7
35
갓바우조사
7
36
리치망고제주
7
37
영종도청이
7
38
전공태
7
39
하루모
7
40
sss1185
7
41
감생똥자
7
42
Donf까
7
43
벵에저격수ㅋㅋ
7
44
미풍
7
45
짱규
7
46
양산서가이드피싱샵
7
47
구레전과
7
48
말랑파파
7
49
동해살감시
7
50
군산감생킬러
7
51
무덕이
7
52
검은바다
6
53
재팔79
6
54
광주고프로
6
55
바다가인
6
56
yun
6
57
벵병
6
58
구태2
6
59
3짜이하방생
6
60
내가가면주의보
6
61
거제그놈
6
62
집나간넷째
6
63
대발22
6
64
숲공
6
65
방생또방생
6
66
울산동구27
6
67
사하주민
6
68
아빠어부야
6
69
타짜감시
6
70
우하하
6
71
G3매니아
5
72
나라스카이2.5
5
73
shima0
5
74
최리무진
5
75
앵그리정
5
76
장생포털보낚시
5
77
민쓰
5
78
진주진이
5
79
푸른생선
5
80
진영최조사
5
81
잡어바글바글
5
82
내만벵에
5
83
번디기
5
84
감시잡아보자궁
5
85
지나온추억
5
86
로지즈
5
87
전유동매니아
5
88
굼낚시왕
5
89
부시리우스2022
5
90
물망사
5
91
감시마을
5
92
모카사랑해
5
93
쏘렝이
5
94
치악산돼지
5
95
엘리트낚시꾼
5
96
광덕
5
97
포포님
5
98
배팡
5
99
마린보이573
5
100
감시통조림
공지사항
09.01
★ 2025년 9월 5일 사이트 리뉴얼 오픈 안내
06.09
★ "Connect Error: No such file or directory" 에러가 발생시
05.29
★ 카이퍼넷 방화벽 차단시 설정방법
07.03
★ 사이트 정상운영 ★ 24.07.03
06.19
★ 사이트 정상운영 ★ 24.06.19
06.17
★ 사이트 정상운영 ★
06.14
★ 서비스 일시정지 - 서버이전작업 ★
07.14
★ 112차 제품평가단 위촉 명단 발표
07.07
★ 112차 제품평가단모집 - 1차
11.01
★ 111차 제품평가단 위촉 명단 발표
점주/선장 >
선상 + 좌대 조황
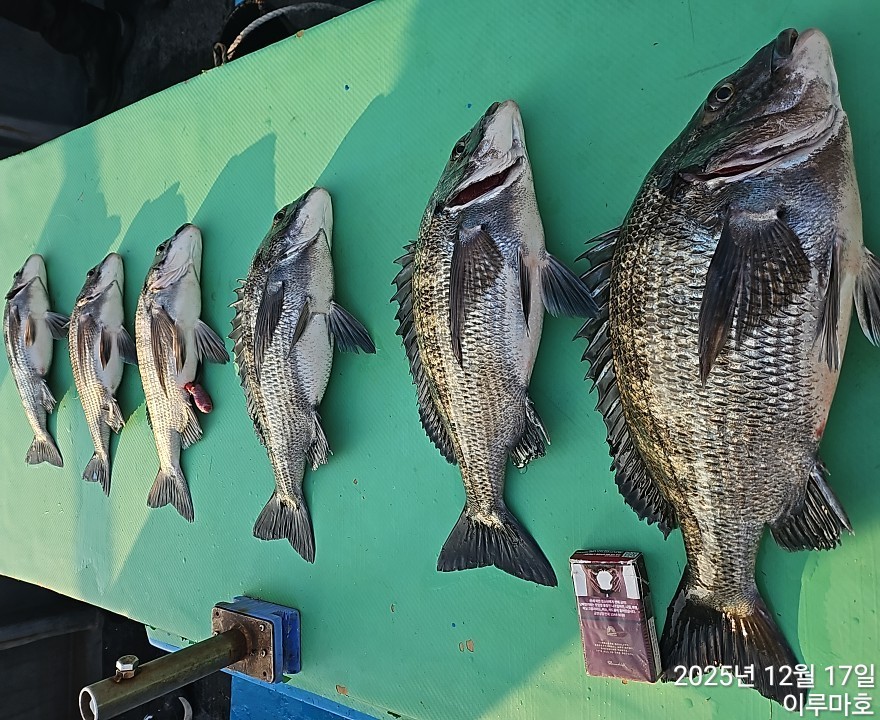
감성돔 선상 흘림 이루마호 조황
이루마호
0
97
2025.12.18 06:51
● 출항지 : 진해
● 출조지 : 진해
● 출조인원 : 3~5명
0
https://band.us/band/89938721
네임
카드
이루마호
경남 창원시 진해구 제덕동 제덕선착장
010-8416-7961
실시간 예약
홈페이지
밴드 바로가기
유튜브/SNS
☆☆☆☆감성돔 맛집 이루마호 조황☆☆☆☆
감성돔 조황입니다
사이즈랑 마릿수 더 자세한 사진은 밴드 오시면 됩니다.
출조시간 및 문의사항 전화주세요!!!
감성돔 대박 행진 이어가실 조사님
예약 문의 아래로!!
문의 연락처
010 8416 7961
밴드 오시면 빠른 조황 확인도 가능합니다
https://band.us/band/89938721
입금계좌. 수협(이현석)
202050338973
선입금확인후예약완료
구명조끼 필수 (선내비치)
음주자 탑승 불가
신분증 필수
0
감성돔
,
이루마호
,
진해
신고
목록
0
댓글
로그인한 회원만 댓글 등록이 가능합니다.
×
Image Upload
로그인한 회원만 등록가능합니다.
포토
제목
이름
날짜
[사천] 원도권 어초카고내일출동 예약중
출항지 : 사천 / 출조지 :
재영피싱
0
19초전
재영피싱
11:03
[거제] (선외기)대물 감성돔 초대박 5짜5짜4짜4짜4짜4짜4짜~(3일 …
출항지 : 거제 / 출조지 : 거제
거제대어낚시선외기
4
2분전
거제대어낚시선외기
11:01
[사천] 야간낙지조황! 무료승선이벤트중! 주간문어, 야간낙지 매일출조!
출항지 : 사천 / 출조지 :
더블케이호
2
2분전
더블케이호
11:01
[진해] "대물감성돔" 5짜5짜49.48.47.46외 전원 마릿수 팍~…
출항지 : 진해 / 출조지 : 거제
창원사랑호
76
3분전
창원사랑호
11:00
[거제] 감성돔어초흘림 46외마릿수조황
출항지 : 거제 / 출조지 : 통영
대박스토리호
4
4분전
대박스토리호
10:59
[거제] (흘림)대물 감성돔 공략 4짜 외 5짜 전후 참돔~대어1호(3일…
출항지 : 거제 / 출조지 : 거제
거제대어1호
3
5분전
거제대어1호
10:58
[진해] 2월 1일(일) 참돔 조황
출항지 : 진해 / 출조지 :
천사피싱진해삼포
1
6분전
천사피싱진해삼포
10:57
[진해] 감성돔흘림!!히트히트히트!!내일정상출항예약가능
출항지 : 진해 / 출조지 : 거제
진해백호
2
6분전
진해백호
10:57
[거제] (감성돔)5짜급 48Cm 외 4짜 3짜 덩어리들 HIT~가고파호…
출항지 : 거제 / 출조지 : 거제
거제가고파
7
9분전
거제가고파
10:54
[통영] 통영스카이호.."" 왕뽈락& 왕열가 퍼담기""..내일 화,수요일…
출항지 : 통영 / 출조지 : 통영
통영스카이
10
11분전
통영스카이
10:52
[거제] (감성돔)대물 물때 어초여밭 덩치급들 속출~대동낚시(3일 예약)
출항지 : 거제 / 출조지 : 거제
거제대동낚시
5
12분전
거제대동낚시
10:51
[진해] (풍산호)도다리~ 점심 밥 대박~!! 푸짐한 점심~^^
출항지 : 진해 / 출조지 :
진해풍산호
13
14분전
진해풍산호
10:49
[마산] 원전항)9톤 도다리 첫날 왕도다리 이거지?!왕도다리 통통하니 손…
출항지 : 마산 / 출조지 : 마산
신조선짱구호원전항
11
14분전
신조선짱구호원전항
10:49
[마산] 진동킹덤호/감성돔 어초 흘림 조황 ᆢ
출항지 : 마산 / 출조지 : 마산
진동킹덤호피싱
13
15분전
진동킹덤호피싱
10:48
[진해] 감성돔흘림 56 52 50 50 50 48 47 47 46 45…
출항지 : 진해 / 출조지 : 진해
진해왕낚시
12
16분전
진해왕낚시
10:47
[고흥,녹동] [최남단출항~포인트진입90분~120분!] 먼바다 참돔 타이라바!…
출항지 : 고흥,녹동 / 출조지 :
삼산낚시리조트
3
18분전
삼산낚시리조트
10:45
[진해] 도다리~ 시즌시작~ 씨알굿~ 손맛굿~ 전원손맛~ 주간도다리 / …
출항지 : 진해 / 출조지 :
진해나래호
11
19분전
진해나래호
10:44
[부산] 북서풍호 1일 문어 조황
출항지 : 부산 / 출조지 : 부산
파워피싱부산
6
19분전
파워피싱부산
10:44
[진해] "HOT" 2/1출항 <주간도다리> & <야간낙지>예약가능
출항지 : 진해 / 출조지 :
썬플라워호10톤
10
25분전
썬플라워호10톤
10:38
[진해] 감성돔(흘림)~대물감성돔!빅싸이즈!5짜와4짜,화요일출항(예약가능…
출항지 : 진해 / 출조지 : 거제
진해여명피싱
9
27분전
진해여명피싱
10:36
[진해] 진해 대물감시카고 벗겨지고 벗겨지고 벗겨져도 버글버글 18수
출항지 : 진해 / 출조지 :
진해포세이돈피싱
12
29분전
진해포세이돈피싱
10:34
[진해] 감성돔 카고 손맛굿굿 ㅡ예약가능
출항지 : 진해 / 출조지 : 진해
진해레져
30
33분전
진해레져
10:30
[장흥,완도] 완도더킹호 참돔타이라바 호조황 입니다^^ 수 목 자리여유~~
출항지 : 장흥,완도 / 출조지 :
완도더킹호
5
35분전
완도더킹호
10:28
[진해] 왕도다리 사이즈좋고 마리수되고ㅡ
출항지 : 진해 / 출조지 : 진해
진해바루나피싱
27
36분전
진해바루나피싱
10:27
[진해] 대물감시카고50짜48짜4짜3짜마릿수굿~손맛짱!!!
출항지 : 진해 / 출조지 : 거제
해경피싱
15
43분전
해경피싱
10:20
[진해] 신발짝 왕열기+볼락에 초릿대 덩실덩실 춤추고 모두 쿨러조황으로 …
출항지 : 진해 / 출조지 :
진해김해낚시비타민
33
45분전
진해김해낚시비타민
10:18
[진해] (문어)제수용 K전후 2연타 3연타 원도권으로 달려~강민호(3일…
출항지 : 진해 / 출조지 : 진해
진해강민호
18
46분전
진해강민호
10:17
[사천] 감성돔 예약중
출항지 : 사천 / 출조지 : 사천
피싱에이스호
16
47분전
피싱에이스호
10:16
[울진] 울진 후포 제이존호 열기 낚시 조황입니다
출항지 : 울진 / 출조지 :
제이존호
8
51분전
제이존호
10:12
[통영] 경동레저(신광) 선외기낚시 마릿수 감성돔 전어 조황
출항지 : 통영 / 출조지 :
경동레져
33
53분전
경동레져
10:10
초기화
날짜순
조회순
검색
1
2
3
4
5
6
7
8
9
10
Search
검색대상
제목
내용
제목+내용
회원아이디
회원아이디(댓글)
글쓴이
글쓴이(댓글)
또는
그리고
검색어
필수
검색
닫기
검색조건
제목
내용
제목+내용
회원아이디
회원아이디(코)
글쓴이
글쓴이(코)
검색어
또는
그리고
검색
인낚 최신글
10:54
(감성돔)5짜급 48Cm 외 4짜 3짜 덩어리들 HIT~가고파호(3일 예약)
10:52
통영스카이호.."" 왕뽈락& 왕열가 퍼담기""..내일 화,수요일 출조 예약가능합니다
10:51
(감성돔)대물 물때 어초여밭 덩치급들 속출~대동낚시(3일 예약)
10:51
1일 거문도 조황 입니다.
10:51
RB-111U
10:51
2월3일 화요일저녁8시출발~목요일오전철수 // 6일 금요일저녁7시출발~일요일오전철수 초도,장도~거문도,좌대 야영,민박낚시 출조안내
10:49
(풍산호)도다리~ 점심 밥 대박~!! 푸짐한 점심~^^
10:49
원전항)9톤 도다리 첫날 왕도다리 이거지?!왕도다리 통통하니 손맛보고~
10:49
수요일 초도.거문도 출조 합니다.
10:48
진동킹덤호/감성돔 어초 흘림 조황 ᆢ
10:47
감성돔흘림 56 52 50 50 50 48 47 47 46 45~(예약가능)
10:45
[최남단출항~포인트진입90분~120분!] 먼바다 참돔 타이라바! 7분 모시고 다녀왔습니다^^ [2월 선비 이벤트!!!]
10:44
[최남단출항~포인트진입90분~120분!] 먼바다 참돔 타이라바! 7분 모시고 다녀왔습니다^^ [2월 선비 이벤트!!!]
10:44
도다리~ 시즌시작~ 씨알굿~ 손맛굿~ 전원손맛~ 주간도다리 / 야간낙지 예약가능~
10:44
북서풍호 1일 문어 조황
10:38
"HOT" 2/1출항 <주간도다리> & <야간낙지>예약가능
10:36
감성돔(흘림)~대물감성돔!빅싸이즈!5짜와4짜,화요일출항(예약가능)
10:34
진해 대물감시카고 벗겨지고 벗겨지고 벗겨져도 버글버글 18수
10:33
주말 금오열도 갯바위 감성돔 조황입니다
10:30
감성돔 카고 손맛굿굿 ㅡ예약가능
10:29
저렴한 에기 분양합니다.
10:28
완도더킹호 참돔타이라바 호조황 입니다^^ 수 목 자리여유~~
10:27
대박호)사량도~4짜4짜4짜4짜4짜4짜4짜3짜3짜
10:27
왕도다리 사이즈좋고 마리수되고ㅡ
10:20
대물감시카고50짜48짜4짜3짜마릿수굿~손맛짱!!!
10:18
신발짝 왕열기+볼락에 초릿대 덩실덩실 춤추고 모두 쿨러조황으로 화, 수 ,목~
10:17
(문어)제수용 K전후 2연타 3연타 원도권으로 달려~강민호(3일 예약)
10:16
감성돔 예약중
10:13
막대찌
10:12
울진 후포 제이존호 열기 낚시 조황입니다
10:10
경동레저(신광) 선외기낚시 마릿수 감성돔 전어 조황
10:09
부산권 타이라바 조황입니다.
10:03
1일 야간낙지 사이즈최고~롱다리 쭉쭉 뽑고~!!(화,수,목 예약중)
+1
10:03
대짜 왕~열기 조황~ 목요일 출조
10:03
54.47.43.42이하 터지고~~~
09:58
- 갑오징어 HIT - 31일 심해 갑오징어 조황 ( 평일선비 10만원)
09:55
감성돔 어초 흘림낚시 5짜 5짜 히트히트 신조선 경품 이벤트 주중 주말자리여유
09:53
시마노레마레6000번릴판매합니다
09:53
이소리미티드 델가드(판매완료) 콜트나이트(거래중), 21테크늄 2500
09:52
gm3536(가마가츠동계복)
09:51
1일 오전>> 왕열기 마릿수 쿨러 조황~(화수 주/야간 예약)
09:51
(원도권)문어 전문 2.5K 2.1K 외 마릿수 GOOD~고고피싱호(3일 예약)
09:50
폭군 겨울 먹삼치들 상황!
09:49
(大물)4K 대왕문어 외 1.6K 1.4K 덩치들~현서피싱(3일 예약)
09:48
뉴 태진호 봠볼락@ 열기조황!!!!( 화요일.수요일 양일간 아침7시 열기출항)!!!
09:48
뉴 태진호 봠볼락@ 열기조황!!!!( 화요일.수요일 양일간 아침7시 열기출항)!!!
09:47
(문어) 4K 200g 2월 대물 시즌 기분 좋은 시작~락피싱(3일 예약)
09:38
제주현무호 하루종일 느나느나
09:35
대물 감성돔 55.5 53 52 47.5 46 46 45 45 44 42....
09:35
문어) 원도권문어 kkk조황~ 금토일 원도권예약가능~
인낚 최신댓글
10:04
5일(목) 주간열기낚시 예약가능합니다. 06시까지 오시면 자리추첨후 출조합니다.
07:55
비싸도 넘 비싸 돈 조금 더 보태서 다인승 독배 가는게 낳을거 같은 느낌!
02:14
02.01
낚시인을호구로아는건지 선비가가면갈수록넘하네요
02.01
사진찍은날 이후는 이러다할 조황이 없어서 일거라 봅니다.
02.01
감사합니다 선생님 ㅠㅠ즐낚안낚하세요
02.01
5일(목) 주간열기낚시 예약가능합니다. 06시까지 오시면 자리추첨후 출조합니다.
02.01
3일(화)부터 좋은날 좋은 물때!!! 예약중 입니다^_^
02.01
@샤드 샤드님 합성사진 인지 아닌지 어떻게 구분 하는지요? 전문적인 지식인것 같은데 공유 해 줄수 있나요?
02.01
만료가1년인데 조금 지난건 해주는걸로 알고 있습니다 윤성에 문의 하시면 될듯합니다 요세 윤성 그렇게 빡빡하게…
02.01
와 저분 많이 늙으셨네 세월이 참 ㅠ
02.01
조황이 없으니 지난 조황이라도 올리는 것 같습니다. 결국 조황이 좋지 않다는 이야기가 되겠지요.
02.01
원도권 대물 감성돔과 한판 겨루기가 너무 멋집니다. 멋진 영상 대리만족하며 즐감하였네요. 마릿수 대물 손맛 …
02.01
예약 가능합니다 !
02.01
02.01
감성돔 23마스터튠 1-530 원가 절감 끝판왕이지만 휨새 조작감이 좋아요 긴꼬리 21극상 1.2-500 조…
02.01
02.01
02.01
01.31
안녕하십니까? 그랜드 맥스 선장님. 오늘 안도 동고지에서 (작은 홈통15M거리) 낚시한 사람입니다. 1.안도…
01.31
▶작성자 본인에 의해 삭제된 댓글입니다.(삭제일시 : 2026-01-31 22:59:42)
01.31
가마가츠... 요즘 추세... 가볍고 좋은 낚시대...라고 생각한다는데 전 아니라고 생각하는데요? 부동의 1…
01.31
별일이다있네요 고생 많이하셨겠네요 힘내시길
01.31
아직도저런일이 있네요 낚시시간은지켜줘야하는데
01.31
5일(목) 주간열기낚시 예약가능합니다. 06시까지 오시면 자리추첨후 출조합니다.
01.31
와~~~~~ 답변 감사합니다 ~!!
01.31
▶작성자 본인에 의해 삭제된 댓글입니다.(삭제일시 : 2026-01-31 17:59:55)
01.31
내일 자리여유 있습니다
01.31
가마가츠 신신정품은 홀로그램 스티커가 로드에하나,보증서에 하나 붙어 있어서 두개가 일치해야 보증처리 가능한데…
01.31
즐감합니다. 여수권 금오열도야 아가미 출조점이 그 진수를 보여 주지여 가이드 친절하고 벵에돔이 이채롭습니다.
01.31
@북회귀선 답글이 너무 늦었습니다. (인낚에도 알림 기능이 있으면 좋겠다는 생각이 자주 드네요) 12월에는 …
01.31
그건 그간 출항을 안했거나 , 그간 조황이 없어서 일겁니다 ..... 가시면 거의 꽝 입니다 ㅋㅋㅋㅋ
01.31
1일 통영 원도권 돌문어낚시 주간 예약가능합니다. 감사합니다
01.31
1일 통영 원도권 돌문어낚시 주간 예약가능합니다. 감사합니다
01.31
비브람만 신는 사람도 잇던데 펠트가 좋긴하나보네요
01.31
스파이크 주문해버려서 써보고 위험하면 펠트 주문할려구요ㅋ
01.31
이미 주문을 해버려서 써보고 위험하면 다시 펠트 주문할려구요ㅠ
01.31
7만원 하던 시절을 훅~지났죠 몇 년 시간이 지나면서 다른 물가 오름을 따르는 변화겠죠 간혹 카드 결재 안 …
01.31
뭔가 꿍꿍이가 있든가 꿀리는게 있든가 그게 아니고서야 왜 그럴까요 뻔하다 여깁니다
01.31
내일 예약가능합니다
01.31
비브람으로 교체후 추자출조해서 이틑날 발판좋은 갯바위에서 미끄러져 넘어져 아직까지 팔이 아프네요.ㅠ 바로 펠…
01.31
@유엔아이 감사합니다 감시가 너무 잘생겨서 재수고기로ㅎㅎ
01.30
저는마모
01.30
손맛보셨네요 추카추카합니다 감시최고
01.30
아닙니다 감사합니다
01.30
▶작성자 본인에 의해 삭제된 댓글입니다.(삭제일시 : 2026-01-30 22:52:10)
01.30
2번사진 합성
01.30
1번빼고 다 합성
01.30
1번 사진은 긴가민가하고 나머지는 전부 감성돔 복사 붙여넣기 한 합성사진이네요 날짜도 당연히 안맞겠죠
01.30
1,2번은 정상인듯하나 3,4번 사진은 감성돔을 따와서 붙였네요. 그럼 1,2번도 신뢰성이 없어지죠
온라인 문의 안내
*운영진에게 문의
*광고/제휴 문의
월~금 : 9:00 ~ 18:00
토/일/공휴일 휴무
점심시간 : 12:00 ~ 13:00
인낚몰 초특가
MAEK 맥 호래기 대바늘 호래기콕 J타입 (카본바디 2입)
어부공방 NEW 호래전
야마시타 SB 호래기 대바늘
★3,000★ 하야부사 6단 볼락 전갱이 카드채비 SD724 볼락채비
★1,000★볼락낚시에 최적인 메바트로볼 - 캐스팅볼, 메바볼
★13,000~★3NO 일본 오리지날 직수입 극강 멀티 무광 마크사 원줄
★500★ W쿠션 멀티 수중찌 M L - 전유동 반유동 끄심바리 필수품 수중쿠션
★5,900★ 여러개 있으면 아주 좋은 EVA 시스템 백
★ 1+1 플로팅, 세미, 카본 낚시줄 행사 호수선택가능 / 택상 1+1 원줄, 목줄 행사
★6,000★ 예민함의 끝판왕 애니원찌 벵에돔찌 학공치찌
★15,000★ 오동목 구멍찌 5개 + 메쉬 찌케이스 세트
★22만원★ 40W 집어등을 이 가격에!