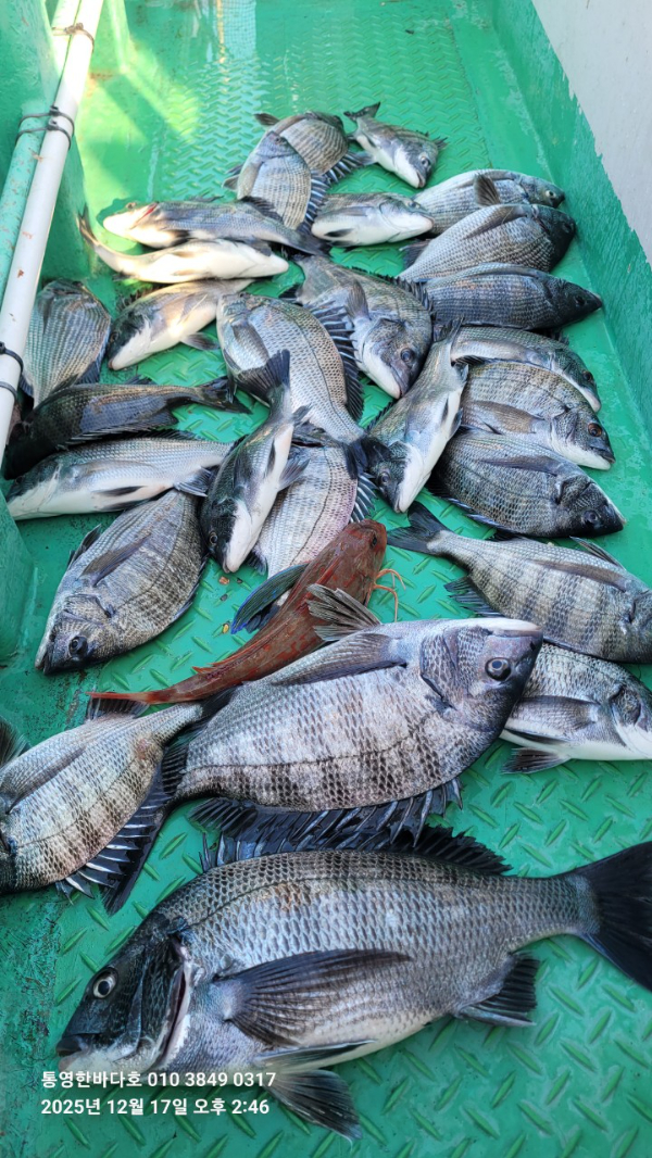
통영한바다호ㅡ감성돔 흘림4짜외 마리수.내일 예약가능

신상품 소개


회원 랭킹


공지사항


NaverBand
점주/선장 > 선상 + 좌대 조황

통영한바다호ㅡ감성돔 흘림4짜외 마리수.내일 예약가능

통영한바다호 0 51
● 출항지 : 통영

1000026060.jpg


1000026063.jpg


금일 감성돔 흘림 조황입니다 
사짜외 마리수 조황입니다 
내일 흘림 기상도 넘 좋습니다

가실분 전화주세요
금요일 카고
토.일 흘림 예약가능합니다


문의나 조황정보는 밴드,선상24,전화로~~~



*** 통영 한바다호 예약 안내 ***


예약문의 : 010-3849-0317

오시는길 : 경남 통영시 도산면 도산일주로 2209
홈페이지 : https://hanbadaho.sunsang24.com/

모바일.jpg 

blank.png1


  • 페이스북으로 보내기
  • 트위터로 보내기
  • 구글플러스로 보내기
  • 카카오스토리로 보내기
  • 네이버밴드로 보내기
  • 네이버로 보내기
  • 텀블러로 보내기
  • 핀터레스트로 보내기
0 댓글
포토 제목
 
 

인낚 최신글


인낚 최신댓글


온라인 문의 안내


월~금 : 9:00 ~ 18:00
토/일/공휴일 휴무
점심시간 : 12:00 ~ 13:00