#선사조황
#드림피싱
#01089192884
#감성돔흘림
#무늬오징어팁런
#뽈락루어
#한치#탈치텐빈,텐야
반갑습니다
통영 견유항에 위치한 4.99톤 23년신조선 승선정원 12명 선상전용선 입니다.
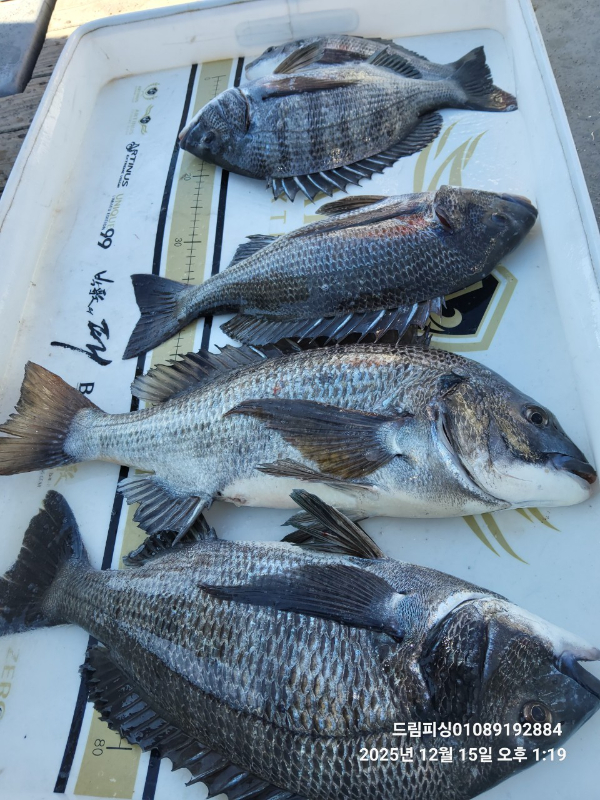
월요일 눈여겨본 어초 선장혼자 탐사나왔습니다..
조류흐름은 미약헀지만 덩치들이 덤비네요...
화요일은 카고낚시가 예약이 되어 있습니다..
수요일 부터 집중 출조합니디...
수요일~주말 예약중입니다...



화요일 카고출조....3분 예약중
수요일부터 쭉~~~~예약가능합니다..
토,일...소수인원 예약중입니다..
주중,주말...감성돔 흘림 예약중입니다..
본격적인 어초,여밭 감성돔 시즌을 시작합니다....
같이하실분 연락 주세요...
4분이상 무조건출항합니다..
☆선상24 홈패이지 예약가능
☆♥신분증지참 필수☆
☆♥주류반입 절대금지☆..출항후 적발시 즉시철수합니다.
♥♥통영드림피싱 밴드 검색하시면 많은정보 보실수 있습니다.♥♥
♥입금계좌 수협 2020 4557 7248 홍순호 입니다.
♥출조문의..010 8919 2884♥
♥배타는곳.. 통영시 용남면 견유2길 39번지 입니다.
지번주소...통영시 용남면 장평리 423-3번지입니다.
*** 통영 드림호 예약 안내 ***
예약문의 : 010-8919-2884
오시는길 : 경남 통영시 용남면 견유2길 39
홈페이지 : https://tydream.sunsang24.com/